開啟輔助訪問
 找回密碼
 立即加入

1419 黃蜂 年度全球風王形態近乎完美

簽到天數: 1 天

[LV.1]初來乍到

lily2890|2014-10-7 21:24 來自手機 | 顯示全部樓層
Meow 發表於 2014-10-7 20:52
JMA 評價最大風速 105 節,已成為猛烈颱風,還繼續上望 110 節、905 百帕,挑戰年度風王。



日本十月真可憐⋯⋯來了中颱,才過沒幾天又要糟強颱攻擊!
回復

使用道具 舉報

簽到天數: 1989 天

[LV.Master]伴壇終老

ben811018|2014-10-7 21:28 | 顯示全部樓層
榮耀時刻~趕緊存圖XDDD


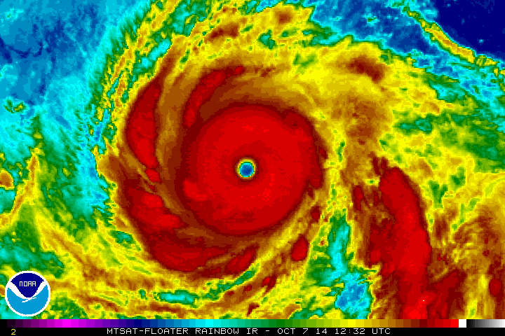
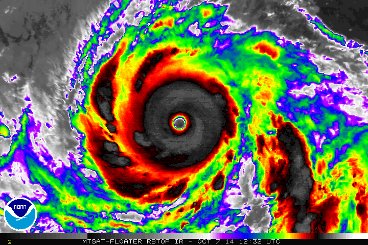
10074554.gif 1007454945956.gif 20141007.1012.f18.91pct91h91v.19W.VONGFONG.120kts.933mb.17.3N.135.2E.76pc.jpg 20141007.1012.f18.rain.19W.VONGFONG.120kts.933mb.17.3N.135.2E.76pc.jpg

點評

Me too, 令人想起海燕  發表於 2014-10-8 01:36
跟去年 海燕颱風 一樣 圓 雲牆又紮實  發表於 2014-10-7 22:15
回復

使用道具 舉報

簽到天數: 734 天

[LV.9]以壇為家II

CX723-A330|2014-10-7 21:29 | 顯示全部樓層
未命名.png 未命名.png

這結構和風眼....
給cat.5絕對沒誇張

點評

右下側還有大片對流發展......  詳情 回復 發表於 2014-10-7 23:56
回復

使用道具 舉報

簽到天數: 5037 天

[LV.Master]伴壇終老

s6815711|2014-10-7 21:33 | 顯示全部樓層


氣象局晚間8時升格為強颱 近中心最大風速直接跳至53公尺/秒

點評

已經到 從每秒53公尺(16級風)直接跳過55公尺!直接升到58公尺(17級風)!  發表於 2014-10-8 06:00
今天早上2點 還維持中颱下限(每秒35公尺) 不到24小時 已經到53公尺 只有這時候生成颱風才有這樣爆衝  發表於 2014-10-7 22:41
黃蜂的CDO滿可觀. 個人保守挑戰海燕機率不大. 大約金娜薇 利奇馬 三巴 之間的水平.  發表於 2014-10-7 22:31
等白天就知道 是今天晚上最巔峰 還是明天過後 是否還會再往上爬就知道了  發表於 2014-10-7 22:20
55~58應該有可能 不一定衝到63以上  發表於 2014-10-7 22:17
不太可能吧 看它緯度  發表於 2014-10-7 22:09
不太可能挑戰海燕 海燕真的是天時地利之作  發表於 2014-10-7 22:09
個人覺得 有挑戰跟海燕那樣淺能 看看明天結果有辦法突破53以上  發表於 2014-10-7 22:06
從風速每秒45公尺(14級風)升到53公尺(16級)直接跨越兩級!  發表於 2014-10-7 22:05
回復

使用道具 舉報

簽到天數: 76 天

[LV.6]常住居民II

BlankCat|2014-10-7 21:33 | 顯示全部樓層
菲律賓名字: Ompong
怎又是那些近音名字

點評

請善用點評。  發表於 2014-10-8 01:07
回復

使用道具 舉報

簽到天數: 588 天

[LV.9]以壇為家II

Meow|2014-10-7 21:33 | 顯示全部樓層
中央氣象局好久沒有分析到強烈颱風了。

2014VONGFONG-100712_PTA_1_download.png

強烈颱風 編號第19號
國際命名  VONGFONG  中文譯名  黃蜂
》颱風現況
2014年10月07日20時
      中心位置 北緯17.4度 東經134.1度
      過去移動方向   西
      過去移動時速   21 公里
      中心氣壓   920 百帕
      近中心最大風速 53 公尺/秒
      瞬間之最大陣風 65 公尺/秒
      七級風半徑220公里 十級風半徑80公里

點評

不過真要比較..10年代 黃蜂 三巴 海燕 梅姬 利奇馬. 幾乎確定是五王  發表於 2014-10-8 00:07
還好現在是秋天, 否則以黃蜂目前預測路徑, 台灣各地將難免狂吃下沉氣流....  發表於 2014-10-7 23:38
他真的會這麼快轉嘛  發表於 2014-10-7 23:29
增強速度不是普通的誇張,早上02點氣象局才從33升到35公尺,但是晚上8點就已經飆到53公尺了。  發表於 2014-10-7 23:16
去年 秋颱天兔颱風 襲台時候 風速有55公尺  發表於 2014-10-7 22:36
金娜薇 55  發表於 2014-10-7 22:32
應該強度在53至55公尺到頂了。  發表於 2014-10-7 22:28
預報誤差圈這麼大 總會有緩衝時期  發表於 2014-10-7 22:21
最近一直偏西快速移動啊  發表於 2014-10-7 22:06
有阿!今年夏天有個哈隆颱風 風速也有53公尺  發表於 2014-10-7 21:58
回復

使用道具 舉報

簽到天數: 76 天

[LV.6]常住居民II

BlankCat|2014-10-7 21:36 | 顯示全部樓層
台灣也確認此為「強烈颱風」了

點評

短文盡量善用點評  發表於 2014-10-7 22:06
回復

使用道具 舉報

簽到天數: 588 天

[LV.9]以壇為家II

Meow|2014-10-7 23:33 | 顯示全部樓層
Long 小姐,您確定這是 OW 風眼?

20141007_1432Z-bd.gif

TPPN10 PGTW 071525

A. SUPER TYPHOON 19W (VONGFONG)

B. 07/1432Z

C. 17.5N

D. 133.7E

E. ONE/MTSAT

F. T7.0/7.0/D2.0/24HRS  STT: S0.0/03HRS

G. IR/EIR

H. REMARKS: 01A/PBO EYE/ANMTN. OW EYE SURROUNDED BY W (+1.0
ADJUSTMENT FOR CMG) YIELDS A DT OF 7.0. MET AND PT WERE 6.5.
DBO DT.

I. ADDITIONAL POSITIONS:
   07/1012Z  17.4N  134.5E  SSMS
   07/1206Z  17.3N  134.1E  MMHS
   07/1254Z  17.4N  134.1E  MMHS


   LONG
回復

使用道具 舉報

快速回覆
您需要登錄後才可以回帖 登錄 | 立即加入

本版積分規則

本平台僅供學術討論之用,預報應以氣象局為準

威普網站虛擬主機贊助公司

臺灣第一個天氣類型社群平台 即時天氣資訊、精準颱風動態

線上客服
FB傳送訊息
廣告行銷
精準行銷 物超所值
官方粉專
發佈 快速回復 返回頂部 返回列表