開啟輔助訪問
 找回密碼
 立即加入

1419 黃蜂 年度全球風王形態近乎完美

簽到天數: 588 天

[LV.9]以壇為家II

Meow|2014-10-7 14:19 | 顯示全部樓層
開眼速度很快,只是中途接受資料好像出了問題。
vis-animated.gif

點評

純觀賞就好,不要希望盼風。  發表於 2014-10-7 19:31
而且還預測走類似路徑  發表於 2014-10-7 18:17
以台灣風迷的角度來看眼睜睜看著龐然大物兩隻接著從旁離開 實在很沒滋味吼 呵呵  發表於 2014-10-7 18:16
回復

使用道具 舉報

簽到天數: 440 天

[LV.9]以壇為家II

jsd6660|2014-10-7 18:16 | 顯示全部樓層
CI# /Pressure/ Vmax
6.9 / 917.7mb/137.4kt

下一報升格C5機率很高~!
19WP.GIF

點評

CDG一旦完整呈現的話,應該回像去年海燕那樣輕鬆給個145-150浬左右。  發表於 2014-10-7 19:41
140浬的希望濃厚,有機會與哈隆、金娜薇與東太瑪麗葉並列風王,不排除再高一個檔次。  發表於 2014-10-7 19:35
勁過巴蓬,肯定的。  發表於 2014-10-7 19:32
09Z 還是 T6.5,就算下一報 T7.0 也只會先給 135 節。  發表於 2014-10-7 18:19
回復

使用道具 舉報

簽到天數: 582 天

[LV.9]以壇為家II

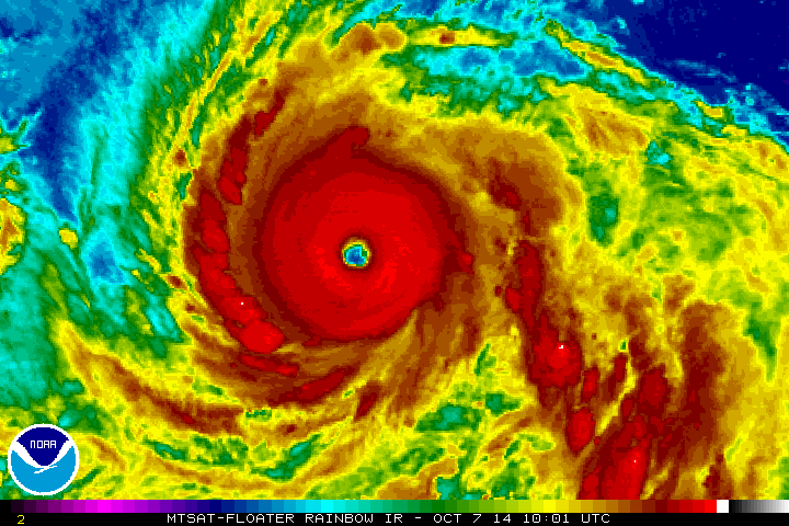
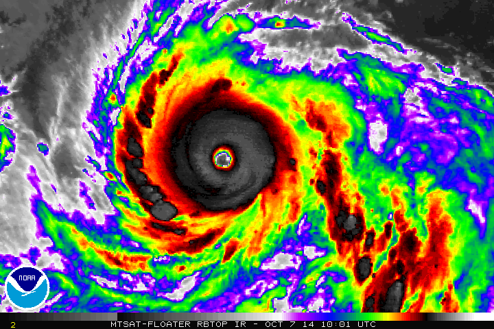
蜜露|2014-10-7 18:29 | 顯示全部樓層


幾乎猛爆..恐怖!!

秋颱的特色..

黃蜂開的眼是中眼..雖然不是針眼

但是開眼非常順利~而且已經很圓潤
20141007.1001.mtsat-2.ircolor.19W.VONGFONG.120kts.933mb.17.3N.135.2E.100pc.jpg


8小時內達成.開眼步驟~而底層相當不錯

強度可能勝過巴逢的針眼時期..甚至有可能挑戰哈隆 瑪莉 金娜薇的等級.

底層我真的嚇到了....
20141007.0925.f17.91pct91h91v.19W.VONGFONG.120kts.933mb.17.3N.135.2E.47pc.jpg


點評

另外他長的有點像1982年的馬克  發表於 2014-10-7 18:30

評分

參與人數 1水氣能量 +15 收起 理由
wangsj1968 + 15 贊一個!

查看全部評分

回復

使用道具 舉報

簽到天數: 1989 天

[LV.Master]伴壇終老

ben811018|2014-10-7 18:45 | 顯示全部樓層
趕快存圖啦!!!
應該很有機會在12z升格強颱
100701.gif 100702.gif 100703.gif 1007006.gif 1007005.gif

點評

謝大大提供 呵呵  發表於 2014-10-8 14:34
http://www.ssd.noaa.gov/PS/TROP/floaters.html 要注意這沒有永久存檔  發表於 2014-10-7 20:09
請問大大這漂亮的雲圖應該去哪個網站抓才有呢? 可以提供一下嗎? 謝謝囉  發表於 2014-10-7 20:04
主要也是實用,RBTOP 看深對流與風眼發展很清楚。  發表於 2014-10-7 19:57
還滿喜歡RAINBOW的色調~就很紮實XDD  發表於 2014-10-7 19:41
RBTOP 是最好看的色調  發表於 2014-10-7 18:59
回復

使用道具 舉報

簽到天數: 588 天

[LV.9]以壇為家II

Meow|2014-10-7 19:55 | 顯示全部樓層
今天中午正在清空風眼的颱風黃蜂,由 Aqua 衛星拍攝。

Vongfong 2014-10-07 0435Z.jpg
https://commons.wikimedia.org/wi ... 014-10-07_0435Z.jpg
回復

使用道具 舉報

簽到天數: 588 天

[LV.9]以壇為家II

Meow|2014-10-7 20:04 | 顯示全部樓層
本帖最後由 Meow 於 2014-10-7 20:16 編輯

12Z 黃蜂將一次成為猛烈颱風、超級颱風、強烈颱風。

CURRENT INTENSITY (CI) NUMBER OF        0.70000000000000E+001        NUMERIC
DATA TROPICAL (DT) NUMBER OF THE        0.70000000000000E+001        NUMERIC
MODEL EXPECTED TROPICAL (MET) NU        0.60000000000000E+001        NUMERIC
TREND OF PAST 24-HOUR CHANGE (+:        0.15000000000000E+001        NUMERIC
PATTERN TROPICAL (PT) NUMBER OF        0.70000000000000E+001        NUMERIC
FINAL TROPICAL (T) NUMBER OF THE        0.70000000000000E+001        NUMERIC

TPPN10 PGTW 071210

A. TYPHOON 19W (VONGFONG)

B. 07/1132Z

C. 17.3N

D. 134.2E

E. ONE/MTSAT

F. T7.0/7.0/D2.5/24HRS  STT: D0.5/03HRS

G. IR/EIR

H. REMARKS: 01A/PBO EYE/ANMTN. WMG EYE SURROUNDED BY W (+1.0
ADJUSTMENT FOR CMG) YIELDS A DT OF 7.0. PT WAS 6.5; MET WAS
6.0. DBO DT.

I. ADDITIONAL POSITIONS:
   07/0708Z  17.3N  135.1E  SSMS


   LONG
回復

使用道具 舉報

簽到天數: 588 天

[LV.9]以壇為家II

Meow|2014-10-7 20:26 | 顯示全部樓層
這動畫最後一張讓日本、美國都評價 T7.0。
bd-animated.gif

點評

正常~ 西太是熱帶氣旋殿堂  發表於 2014-10-7 22:33
每年風王 感覺都出現在西太平洋 海上  發表於 2014-10-7 22:14
好一個美麗的環狀熱帶氣旋,成為今年度風王坐上寶座時刻不遠了。  發表於 2014-10-7 21:31
回復

使用道具 舉報

簽到天數: 588 天

[LV.9]以壇為家II

Meow|2014-10-7 20:52 | 顯示全部樓層
JMA 評價最大風速 105 節,已成為猛烈颱風,還繼續上望 110 節、905 百帕,挑戰年度風王。

1419-00.png

台風第19号 (ヴォンフォン)
平成26年10月07日21時45分 発表

<07日21時の実況>
大きさ        -
強さ        猛烈な
存在地域        フィリピンの東
中心位置        北緯 17度25分(17.4度)
東経 134度10分(134.2度)
進行方向、速さ        西 20km/h(11kt)
中心気圧        915hPa
中心付近の最大風速        55m/s(105kt)
最大瞬間風速        75m/s(150kt)
25m/s以上の暴風域        全域 190km(100NM)
15m/s以上の強風域        北東側 390km(210NM)
南西側 330km(180NM)

<08日09時の予報>
強さ        猛烈な
存在地域        フィリピンの東
予報円の中心        北緯 17度55分(17.9度)
東経 132度20分(132.3度)
進行方向、速さ        西北西 15km/h(9kt)
中心気圧        905hPa
中心付近の最大風速        55m/s(110kt)
最大瞬間風速        80m/s(155kt)
予報円の半径        90km(50NM)
暴風警戒域        全域 300km(160NM)

<08日21時の予報>
強さ        猛烈な
存在地域        フィリピンの東
予報円の中心        北緯 18度25分(18.4度)
東経 131度25分(131.4度)
進行方向、速さ        西北西 ゆっくり
中心気圧        905hPa
中心付近の最大風速        55m/s(110kt)
最大瞬間風速        80m/s(155kt)
予報円の半径        130km(70NM)
暴風警戒域        全域 330km(180NM)

<09日21時の予報>
強さ        猛烈な
存在地域        フィリピンの東
予報円の中心        北緯 19度55分(19.9度)
東経 130度55分(130.9度)
進行方向、速さ        北北西 ゆっくり
中心気圧        910hPa
中心付近の最大風速        55m/s(105kt)
最大瞬間風速        75m/s(150kt)
予報円の半径        200km(110NM)
暴風警戒域        全域 410km(220NM)

<10日21時の予報>
強さ        非常に強い
存在地域        日本の南
予報円の中心        北緯 22度50分(22.8度)
東経 131度50分(131.8度)
進行方向、速さ        北北東 15km/h(8kt)
中心気圧        920hPa
中心付近の最大風速        50m/s(100kt)
最大瞬間風速        70m/s(140kt)
予報円の半径        300km(160NM)
暴風警戒域        全域 480km(260NM)

點評

到日本時就減弱了  發表於 2014-10-7 22:02
日本十月真可憐⋯⋯來了中颱,才過沒幾天又要糟強颱攻擊!  詳情 回復 發表於 2014-10-7 21:24
回復

使用道具 舉報

快速回覆
您需要登錄後才可以回帖 登錄 | 立即加入

本版積分規則

本平台僅供學術討論之用,預報應以氣象局為準

威普網站虛擬主機贊助公司

臺灣第一個天氣類型社群平台 即時天氣資訊、精準颱風動態

線上客服
FB傳送訊息
廣告行銷
精準行銷 物超所值
官方粉專
發佈 快速回復 返回頂部 返回列表