開啟輔助訪問
 找回密碼
 立即加入

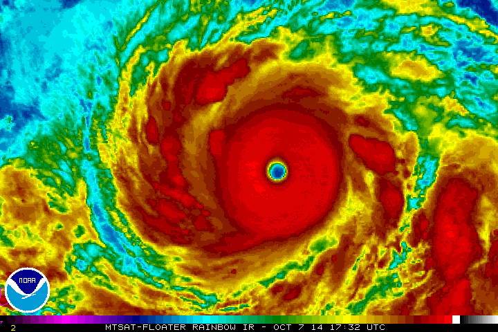
1419 黃蜂 年度全球風王形態近乎完美

簽到天數: 1989 天

[LV.Master]伴壇終老

ben811018|2014-10-8 09:37 | 顯示全部樓層
存圖!!!!!
有機會挑戰海燕~
100808Z.GIF 1008001.gif 1008002.gif 20141007.2246.f18.91pct91h91v.19W.VONGFONG.155kts.907mb.17.6N.133.2E.83pc.jpg 20141007.2246.f18.rain.19W.VONGFONG.155kts.907mb.17.6N.133.2E.84pc.jpg 20141007.2332.MTSAT2.vis.19W.VONGFONG.WPAC.png

點評

氣壓已到900百帕=每秒60M/S(氣象局卻只給58M/S有點不太懂) 超過2009年米勒58M/S、2009年妮坦58M/S、2013年利奇馬58M/S 三大強颱  發表於 2014-10-8 17:26
請問各位大大:目前黃蜂仍持續偏西移動,不知會不會跟南海北方那個高層反氣旋的導引有關?還是導引氣流弱因地球自轉因素而偏西緩慢飄移?還是北轉前物理慣性假動作 ?還是仍受東環導引成份較大?(氣流場是250HPA)  詳情 回復 發表於 2014-10-8 10:13
可以問一下第一張和最後一張是哪找的?  發表於 2014-10-8 10:10
JTWC 不死心  發表於 2014-10-8 10:01
不可能 沒有CDG何實測是不可能超越海燕的  發表於 2014-10-8 10:00
回復

使用道具 舉報

簽到天數: 13 天

[LV.3]偶爾看看II

chen|2014-10-8 10:13 | 顯示全部樓層
本帖最後由 chen 於 2014-10-8 16:43 編輯
ben811018 發表於 2014-10-8 09:37
存圖!!!!!
有機會挑戰海燕~

請問各位大大:目前黃蜂仍持續偏西移動,不知會不會跟南海北方那個高層反氣旋的導引有關?還是導引氣流弱因地球自轉因素而偏西緩慢飄移?還是北轉前物理慣性假動作 ?還是仍受東環中低導引成份較大?還是其他因素.........(氣流場是250HPA)
777777.jpg

點評

應該是較低層的偏西導引氣流較強而中高層偏北的導引氣流相對薄弱,因此偏西導引的成分就較大  發表於 2014-10-8 16:21
[attachimg]46636[/attachimg] 雖然颱風越強就要看越高層的駛流 可是主要還是看500hpa比較適合 現在慢慢往130度靠近~ 也到高壓的末端了~高壓型態也在調整 跨過130還沒北轉再來擔心吧XDDD  詳情 回復 發表於 2014-10-8 12:21
本來就預估明天才會明顯轉北  發表於 2014-10-8 12:17
對啊!過去還是快速偏西移動,還沒西北啊  發表於 2014-10-8 11:45
還沒哦 主要還是偏西進行 西北可能要再等等 (就我剛剛看CWB的衛星雲圖)  發表於 2014-10-8 11:40
很像已經開始偏西北了  發表於 2014-10-8 11:34
依據中央氣象局的評估,打臉的機率從1%提升到3-5%  發表於 2014-10-8 11:30
現在會偏西應該是慣性始然,畢竟這麼巨大的一個系統要一下子煞車轉向是很難的。會不會打機構的臉等晚上再看吧  發表於 2014-10-8 11:23
SWW
250hpa有點太高了XD要看整層平均比較有參考價值  發表於 2014-10-8 11:03
有機會打機構的臉嗎XDDDD  發表於 2014-10-8 10:53
回復

使用道具 舉報

簽到天數: 1913 天

[LV.Master]伴壇終老

服部武藏|2014-10-8 11:47 | 顯示全部樓層
1008 1100 HX2.jpg

可見光雲圖看颱風眼 總覺得颱風眼底層有雲系呀@@...
這是我看錯還是怎樣0.0?(非常的好奇XD)

點評

下沉氣流只能到達邊界層,大概 850hPa 層面。  發表於 2014-10-8 12:18
通常越強的颱風底層越不乾淨,這種低雲的形成主要和颱風內部的動力過程以及海氣交互作用有關 水汽來源有三種: 1.高海溫下蒸發之水汽通量 2.眼牆內下沉空氣經過眼壁時產生混合將水汽往下帶入底層大氣 3.眼牆劇烈對  詳情 回復 發表於 2014-10-8 12:08
回復

使用道具 舉報

簽到天數: 969 天

[LV.10]以壇為家III

kbty245|2014-10-8 11:49 | 顯示全部樓層
現在黃蜂的巔峰基本上已經過了,對流強度很明顯的消減了不少。不過周遭環境還是非常不錯的,海溫夠,西南氣流也提供了大量的水氣,南高直接覆蓋在黃蜂上方為其提供了良好的高層反氣旋加強輻散流出,好的輻散也造就好的輻合。現在黃蜂應該還有再增強的機會,就看晚點會不會再爆出新的對流吧。
還記得去年的海燕,白天時對流衰退,大家都認為巔峰已過,150kts封頂,結果到了下午開始爆出大量CDG,之後的事大家都知道了…

黃蜂到底能不能達成165kts呢?我們繼續看下去~

現在黃蜂已經走到弱點正南了,因為本身是個非常龐大的系統,受慣性影響,減速轉向要一段時間。短時間可能會再往西走一段距離。北轉地點可能比機構預估的還偏西。

用手機無法上圖……殘念…

點評

黃蜂一度上望165kts  發表於 2014-10-8 17:55
我說的150kts是說去年海燕很多人以為150kts就封頂啦XD  發表於 2014-10-8 16:19
我是說他目前的巔峰是155kts而非150kts拉 不是指上望的強度  發表於 2014-10-8 13:57
今年副高廢到不能再廢,已連續被數個台風KO突破北上了。所以今次不敢寄厚望,待黃蜂過了慣性轉向點128至130E再作打算吧!  發表於 2014-10-8 13:36
丹尼爾大我是說老J早上預測黃蜂會達到165kts啦  發表於 2014-10-8 12:26
像去年的天兔,弱點都出來了還是被往西壓,但今年的副高連區區一個娜克莉都頂不住了,能頂的住本年度的風王嗎??  發表於 2014-10-8 12:24
也不是沒這種可能啦…只是那也要副高夠強,頂的住才行啊…  發表於 2014-10-8 12:21
是155kts...  發表於 2014-10-8 12:20
想請問黃蜂有可能沒突破弱點嗎  發表於 2014-10-8 11:58
回復

使用道具 舉報

該用戶從未簽到

newlifesean|2014-10-8 12:08 | 顯示全部樓層
服部武藏 發表於 2014-10-8 11:47
可見光雲圖看颱風眼 總覺得颱風眼底層有雲系呀@@...
這是我看錯還是怎樣0.0?(非常的好奇XD)
...

通常越強的颱風底層越不乾淨,這種低雲的形成主要和颱風內部的動力過程以及海氣交互作用有關

水汽來源有三種:

1.高海溫下蒸發之水汽通量
2.眼牆內下沉空氣經過眼壁時產生混合將水汽往下帶入底層大氣
3.眼牆劇烈對流降水產生空氣拖曳下沉作用到海面輻散,輻散空氣向眼內推進輸送水氣平流


眼內的動力過程可以分成垂直跟水平兩種

垂直的部份,由於眼內下沉在底層產生逆溫,逆溫層所在位置及其下方大氣均屬較穩定態(大約850hPa高度)
,前述三種的水汽來源就被困在這逆溫層裏頭,並不斷混合達到飽和形成低雲

所以眼內不乾淨,海溫越高下沉作用越強對流越旺盛的強颱,輸入水汽量越多,自然越不乾淨

另外一個動力過程是眼牆上的高風速區,因為眼牆向內向外均有很大的渦度梯度,又風速很大,此時有擾動過程就會形成波動在眼內及眼牆外分別沿著眼牆以順/逆時針傳遞

形成波動帶動低雲運動,眼牆內的部分之波動運動就產生低雲渦,也就是常常在可見光內看到的中尺度渦漩,如下圖這張伊莎貝爾颶風:

ch10_intro_isabel_2003.jpg

簡單講就是上述這樣,這是盡可能不用數學公式的說法,詳細文章探討要引述一堆文獻公式太麻煩了,有興趣深入了解再說吧

點評

1995年安琪拉颱風在白天的時候,也有這種風眼內的渦旋在旋轉。  發表於 2014-10-9 04:35
補上海燕的:http://tinyurl.com/l3sqthu 事實上低雲也好渦漩也好,反映的就是颱風眼牆內劇烈的熱力與動力混合過程  發表於 2014-10-8 12:30
就算是海燕也有很明顯的渦旋在風眼底部。  發表於 2014-10-8 12:21

評分

參與人數 9水氣能量 +300 收起 理由
t02436 + 29
blackcat + 30 不能同意你更多!
stan + 20 好特別!
krichard2011 + 50 贊一個!
millerkit31 + 21 精準!

查看全部評分

回復

使用道具 舉報

簽到天數: 1989 天

[LV.Master]伴壇終老

ben811018|2014-10-8 12:21 | 顯示全部樓層
chen 發表於 2014-10-8 10:13
請問各位大大:目前黃蜂仍持續偏西移動,不知會不會跟南海北方那個高層反氣旋的導引有關?還是導引氣流弱因 ...

up50_2014100800.png

雖然颱風越強就要看越高層的駛流
可是主要還是看500hpa比較適合
現在慢慢往130度靠近~
也到高壓的末端了~高壓型態也在調整
跨過130還沒北轉再來擔心吧XDDD

點評

結果還撲向台灣北部來 導致給大眾罵翻天  發表於 2014-10-8 17:31
如果北轉角度過小 一定會差身過 台灣近海(不排除發布海上颱風警報)?、過去例子氣象局太多了本來都講說都會轉向日本 颱風卻無法玩掌握  發表於 2014-10-8 17:30
個人認為目前較低層的偏西導引氣流較強而中高層的導引氣流相對薄弱,因此導致過去一段時間偏西移動的成分較大  發表於 2014-10-8 16:32
然而想請教,孟加拉灣的熱帶風暴,可以阻礙華南高壓往西南縮,使弱點不進一步加大,從而改變戰局嗎?  發表於 2014-10-8 13:47
撐過130 也是出乎意料了 比之前預測偏西許多....  詳情 回復 發表於 2014-10-8 12:54
哇,沒懸念了,副高才過一天就退老遠了,看來差不多要依慣性緩慢往北移動  發表於 2014-10-8 12:46
慣性可能會讓它晃啊晃過130再北轉  發表於 2014-10-8 12:31
回復

使用道具 舉報

簽到天數: 6 天

[LV.2]偶爾看看I

nilson0606|2014-10-8 12:54 | 顯示全部樓層
ben811018 發表於 2014-10-8 12:21
雖然颱風越強就要看越高層的駛流
可是主要還是看500hpa比較適合
現在慢慢往130度靠近~

撐過130 也是出乎意料了 比之前預測偏西許多....

點評

除非台灣有殺蟲劑 黃蜂就不會偏到台灣來  發表於 2014-10-8 17:33
過了128關鍵再說爆冷機率吧!現在副高弱點仍明顯,北轉機會始終較大。  發表於 2014-10-8 13:40
逼近130還不見要轉北跡象  發表於 2014-10-8 13:12
除非跨過130還不北轉~哈哈  發表於 2014-10-8 13:00
本來就預期在130~131之間開始北轉~還在眾機構的預期內  發表於 2014-10-8 13:00
回復

使用道具 舉報

簽到天數: 1989 天

[LV.Master]伴壇終老

ben811018|2014-10-8 13:55 | 顯示全部樓層
補張今天清晨的~
20141007.1933.f16.x.ir1km.19WVONGFONG.155kts-907mb-176N-1332E.100pc.jpg


最新風場
20141008.0126.mta.ASCAT.wind.19W.VONGFONG.155kts-907mb.179N.1322E.25km.jpg

點評

這是極軌雲圖呈現. 色調和一般不同  發表於 2014-10-11 10:56
看看緯度也知道根本不是海燕啊  發表於 2014-10-8 23:22
為什麼@@?  發表於 2014-10-8 18:16
拜託版主不要把這張當封面圖片,根本誤導眾人。  發表於 2014-10-8 18:05
我也覺得好像看到海燕,不過沒有看到左上角的旋臂。以這樣的強度來說夠了,當成今年的風王。  發表於 2014-10-8 16:57
第一張根本海燕.....  發表於 2014-10-8 14:12
回復

使用道具 舉報

快速回覆
您需要登錄後才可以回帖 登錄 | 立即加入

本版積分規則

本平台僅供學術討論之用,預報應以氣象局為準

威普網站虛擬主機贊助公司

臺灣第一個天氣類型社群平台 即時天氣資訊、精準颱風動態

線上客服
FB傳送訊息
廣告行銷
精準行銷 物超所值
官方粉專
發佈 快速回復 返回頂部 返回列表