開啟輔助訪問
 找回密碼
 立即加入

1408 浣熊 橫掃日本 轉化溫氣

簽到天數: 241 天

[LV.8]以壇為家I

krichard2011|2014-7-7 08:08 | 顯示全部樓層
多數預測顯示久米島將會是最接近這個颱風的地方
到時可以參考這裡的實測數據...
1.PNG
2.PNG
回復

使用道具 舉報

簽到天數: 815 天

[LV.10]以壇為家III

martin191919|2014-7-7 09:01 | 顯示全部樓層
本帖最後由 martin191919 於 2014-7-7 09:09 編輯

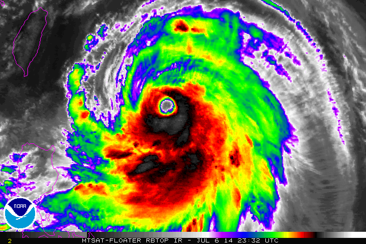
JTWC
201407070000 20.4 128.2 135
W環又像昨晚般....
rbtop0.gif
回復

使用道具 舉報

簽到天數: 1 天

[LV.1]初來乍到

congwen|2014-7-7 09:11 | 顯示全部樓層
k8704020 發表於 2014-7-7 07:33
05:00->07:00 的衛星雲圖已經看得出來非常明顯 從西北西轉向北北西的走向了
應該是已經北轉了 ...

如果這個時候還沒有偏北份量就奇怪了.....
回復

使用道具 舉報

簽到天數: 422 天

[LV.9]以壇為家II

丹尼兒|2014-7-7 09:12 | 顯示全部樓層
小J最新一報...大幅度西修...

<08日09時の予報>
強さ 猛烈な
存在地域 宮古島の南東約80km
予報円の中心 北緯 24度25分(24.4度)
東経 125度55分(125.9度)
進行方向、速さ 北北西 20km/h(10kt)
中心気圧 910hPa
中心付近の最大風速 55m/s(105kt)
最大瞬間風速 75m/s(150kt)
予報円の半径 130km(70NM)
暴風警戒域 全域 370km(200NM)

250KM暴風半徑計算 剛好有機會貼近東北部近海....海警標準 但還得看實際移動情況

今晚開始 北部東北部會逐漸有一陣一陣颱風雨的味道 明晨開始隨颱風近一步靠近外圍影響程度增大 有機會出現明顯性雨勢 陣風也會加強 須多加留意


不過基本上北轉大趨勢已定 過往這種貫穿路徑的颱風對日本破壞程度相當大....日本當心防範呀
浣熊颱風暴風圈路徑預測圖jma5.jpg

點評

這種轉向明確的颱風,CWB發海警的機會通常不高,如果要發,現在也該發了  發表於 2014-7-7 09:15
回復

使用道具 舉報

簽到天數: 32 天

[LV.5]常住居民I

Wayne|2014-7-7 09:13 | 顯示全部樓層
應該是正式轉北了沒問題
事實上凌晨各國的定位都已經由原先的西北西轉成西北

呼應一些版上強者所說,過了130E偏北向量就會加大的推測


現在颱風的形狀也有轉成南北向的趨勢,意味著颱風大方向將轉向北

各國預報稍後應該都會有北北西的定位出現

台灣這兩天應該還是吃下沉吃到爽,在之後才會有一些降雨現象~



vis_lalo-animated.gif

點評

接下來直到宜蘭外海左右,應該都會維持偏北北西的階梯式走向~也就是忽西忽北,但大方向還是北北西  發表於 2014-7-7 11:39
"浣熊"7/6晚上8時後,有北轉的現象,但是同日23:32時又有點偏西北西方向前進ㄟ~!?(還是我眼花了看錯???!!)  詳情 回復 發表於 2014-7-7 11:36

評分

參與人數 1水氣能量 +10 收起 理由
sheeprex + 10

查看全部評分

回復

使用道具 舉報

簽到天數: 726 天

[LV.9]以壇為家II

stavies|2014-7-7 10:18 | 顯示全部樓層
本帖最後由 stavies 於 2014-7-7 10:20 編輯

新竹似乎已經出現焚風氣壓逐漸下滑 可能會有背風低壓形成

46757.png

在10:05已經飆到36.4度了
46757 (1).png

2014-07-07_1000.GTP.jpg


回復

使用道具 舉報

簽到天數: 582 天

[LV.9]以壇為家II

J18|2014-7-7 10:46 | 顯示全部樓層
明天颱風到達台灣東北方時
北部和西半部沿海地區都要小心外圍環流
帶來的強陣風!
1408.png
回復

使用道具 舉報

簽到天數: 136 天

[LV.7]常住居民III

Jimmy|2014-7-7 11:16 | 顯示全部樓層
k8704020 發表於 2014-7-7 07:33
05:00->07:00 的衛星雲圖已經看得出來非常明顯 從西北西轉向北北西的走向了
應該是已經北轉了 ...

目前北側雲系也有一點再發展了!!!!而且不斷從南海越過菲律賓吸收水氣!!!!應該還未達到巔峰,因為"浣熊"並沒有進行眼牆置換~!C:\Users\win8\Desktop
回復

使用道具 舉報

快速回覆
您需要登錄後才可以回帖 登錄 | 立即加入

本版積分規則

本平台僅供學術討論之用,預報應以氣象局為準

威普網站虛擬主機贊助公司

臺灣第一個天氣類型社群平台 即時天氣資訊、精準颱風動態

線上客服
FB傳送訊息
廣告行銷
精準行銷 物超所值
官方粉專
發佈 快速回復 返回頂部 返回列表