開啟輔助訪問
 找回密碼
 立即加入

1408 浣熊 橫掃日本 轉化溫氣

簽到天數: 241 天

[LV.8]以壇為家I

krichard2011|2014-7-7 17:14 | 顯示全部樓層
本帖最後由 krichard2011 於 2014-7-7 17:18 編輯

我在懷疑巔峰該不會就是現在了...
現在不用說W了連B都快沒了
還有疑似雙眼牆 這隻熊真的能夠挑戰C5 145 kt 嗎 = =
我覺得連140好像都很困難 = =
除非入夜對流猛爆可能還有一點機會....
20140707.0801.mtsat-2.ir.BD.08WNEOGURI.135kts-922mb.jpg
20140707.0642.trmm.x.color.08WNEOGURI.135kts-922mb-216N-1273E.63pc.jpg
wp0814.gif
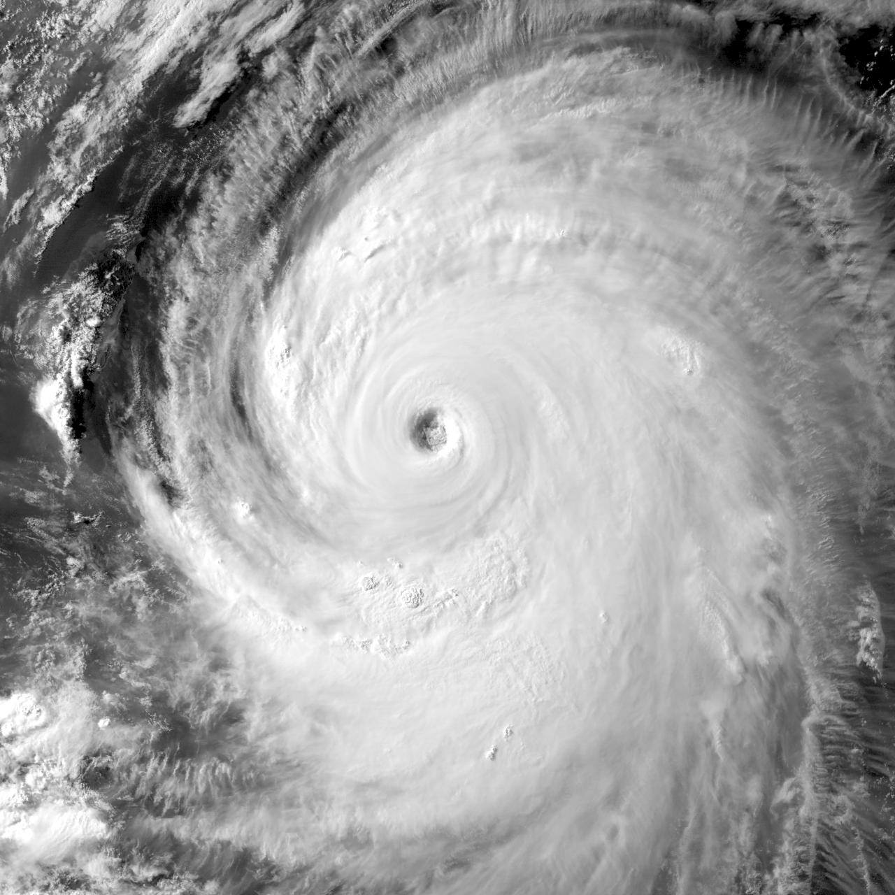
另外在補張美圖
可惜MODIS的兩張都被切到了
所以只好拿MTSAT的了 風眼其實還不錯
20140707.0801.MTSAT2.vis.08W.NEOGURI.WPAC.png

點評

1994年  發表於 2014-7-7 21:06
83年的弗雷特颱風,靠近浙江也只剩W或B環..唯一只有風眼超非常圓. 其他都和浣熊類似  發表於 2014-7-7 21:05
雲頂溫度較高不等於乾  發表於 2014-7-7 19:33
J18
乾型颱風!  發表於 2014-7-7 17:59
其實應該不是乾區的問題 畢竟緯度也高了 我不認為這是雙眼牆  發表於 2014-7-7 17:47
搞錯....受干區影響好像剛好相反  發表於 2014-7-7 17:37
白天對流弱 晚上對流強 理論上每個颱風都有這種問題 但浣熊似乎特別嚴重 個人猜測是已經受到干區的影響了  發表於 2014-7-7 17:36
回復

使用道具 舉報

簽到天數: 815 天

[LV.10]以壇為家III

martin191919|2014-7-7 17:24 | 顯示全部樓層
本帖最後由 martin191919 於 2014-7-7 17:35 編輯

JMA  已經對宮古島發出 特別警告


台風8号 宮古島地方に特別警報発表へ

大型で非常に強い台風8号は、8日にかけて猛烈な勢力に発達し、沖縄県に接近する見込みです。
気象庁はこのあと沖縄県の宮古島地方に最大級の警戒を呼びかける暴風と波浪の特別警報を発表し、早めに安全を確保するよう呼びかけることにしています。

気象庁の観測によりますと、大型で非常に強い台風8号は、午後3時には沖縄の南の海上を1時間に25キロの速さで北西へ進んでいます。
中心の気圧は930ヘクトパスカル、中心付近の最大風速は50メートル、最大瞬間風速は70メートルで、中心から半径200キロ以内では風速25メートル以上の暴風が吹いています。
台風はさらに発達しながら北上し、8日は猛烈な勢力となって沖縄県の先島諸島や沖縄本島地方に接近する見込みです。
沖縄県では7日夜遅くから非常に強い風が吹き、8日は猛烈な風が吹くおそれがあります。
8日の最大風速は55メートル、最大瞬間風速は75メートルと予想されています。
沖縄?奄美の沿岸は、8日は波の高さが10メートルを超える猛烈なしけとなり、宮古島地方や沖縄本島地方では波の高さが14メートルに達する見込みです。
気象庁は記録的な暴風や高波によって甚大な被害が発生するおそれがあるとして、このあと沖縄県の宮古島地方に暴風と波浪の特別警報を発表することにしています。
また、今後の台風の進路や勢力によっては沖縄本島地方にも特別警報を出す可能性があるとしています。
台風の接近に伴って8日、沖縄県では局地的に1時間に80ミリの猛烈な雨が降るおそれがあります。
8日の夕方までに降る雨の量はいずれも多いところで宮古島地方で350ミリ、沖縄本島地方で200ミリなどと予想され、その後も増える見込みです。
さらに沖縄県の沿岸では8日は潮位がかなり上昇する見込みで、高潮による浸水の危険性が非常に高くなります。
今後の雨や潮位の変化によっては、大雨や高潮の特別警報が出る可能性もあります。
気象庁は、暴風や高波などに最大級の警戒を呼びかけるとともに、避難勧告や避難指示といった自治体の情報に従って避難するなど、台風が近づく前に早めに安全を確保するよう呼びかけています。

點評

現在已更改  發表於 2014-7-7 17:36
忘記了~~  發表於 2014-7-7 17:36
首個特別警報不是萬宜2013嗎  發表於 2014-7-7 17:35
回復

使用道具 舉報

簽到天數: 166 天

[LV.7]常住居民III

Alexchow|2014-7-7 17:42 來自手機 | 顯示全部樓層
應該北轉了
明晨掠過宮古以東
到時看到浣熊的實測了
回復

使用道具 舉報

簽到天數: 241 天

[LV.8]以壇為家I

krichard2011|2014-7-7 18:00 | 顯示全部樓層
最新一張底層核心還是相當扎實
不過不知道外面那一圈有沒有可能會阻斷內層的水氣供應 @@
話說裡面那一圈長的還挺像甜甜圈
20140707.0832.f16.x.colorpct_91h_91v.08WNEOGURI.135kts-922mb-216N-1273E.57pc.jpg

點評

外面那圈太鬆散了 當螺旋雨帶就好了  發表於 2014-7-7 18:14
回復

使用道具 舉報

簽到天數: 241 天

[LV.8]以壇為家I

krichard2011|2014-7-7 18:17 | 顯示全部樓層
對流更慘了= =
只剩下LG T值 跌到 5.0
估計稍等強度會大降 = =
20140707.0901.mtsat-2.ir.BD.08WNEOGURI.135kts-922mb.jpg

TXPQ27 KNES 070914
TCSWNP

A.  08W (NEOGURI)

B.  07/0832Z

C.  21.9N

D.  126.9E

E.  ONE/MTSAT

F.  T5.0/6.0/W1.0/24HRS

G.  IR/EIR/VIS

H.  REMARKS...WMG EYE IS EMBEDDED IN AND SURROUNDED BY MG YIELDING A
DT=4.5 WITH NO EYE ADJUSTMENT MADE. MET IS 5.0 BASED ON REGULAR WEAKENING
OVER 24 HOURS WHILE THE PT IS 4.5. FT IS BASED ON CONSTRAINTS WHICH
LIMIT CHANGES IN THE FT TO 1.0 OVER 6 HOURS.

I.  ADDL POSITIONS

    NIL


...MCCARTHY

點評

PGTW 還有T6.0/7.0耶…  發表於 2014-7-7 18:21
回復

使用道具 舉報

簽到天數: 166 天

[LV.7]常住居民III

Alexchow|2014-7-7 18:23 | 顯示全部樓層
Look at this
speakless

未命名.png
回復

使用道具 舉報

簽到天數: 582 天

[LV.9]以壇為家II

J18|2014-7-7 18:32 | 顯示全部樓層
第一次看到皮包骨強颱!
s1p-2014-07-07-18-30.jpg

點評

紅外不能反應水汽  發表於 2014-7-7 19:34
沒錯,看上去就乾就乾似的。  發表於 2014-7-7 19:32
回復

使用道具 舉報

簽到天數: 582 天

[LV.9]以壇為家II

J18|2014-7-7 18:37 | 顯示全部樓層
氣象局對這颱風態度轉變了!
特別.png

點評

沒有要筆戰的意思,我用詞也有些過當 sorry  發表於 2014-7-7 19:22
我主要想指出浣熊並非於過去半天向北北西移吧了,僅此已。  發表於 2014-7-7 19:14
如我用不當請原諒,我也不是早預計浣熊會在過去不走北而是西北的。  發表於 2014-7-7 19:12
各國預報確實沒有預料到高壓東退的幅度這麼小,不過說的自身好像早有預期好像也太over了點  發表於 2014-7-7 19:09
不過氣象那種隨機性和若干不確定性,就是它令我們著迷之地方吧!  發表於 2014-7-7 19:07
J18
你不能這樣講各國預測皆如此 氣象局也沒想到會這樣吧!  發表於 2014-7-7 19:04
為什麼我看雲圖怎麼看都是北北西到北...我的眼睛有問題嗎  發表於 2014-7-7 19:03
即使預測及後轉北,但至少過去半天並非如此。  發表於 2014-7-7 19:00
根本就是,早說向北北西去了是自欺欺人,雲圖清楚顯示浣熊於過去6小時,大致向西北行,愈來愈接近台灣東部海域。  發表於 2014-7-7 18:59

評分

參與人數 1水氣能量 +5 收起 理由
t02436 + 5

查看全部評分

回復

使用道具 舉報

快速回覆
您需要登錄後才可以回帖 登錄 | 立即加入

本版積分規則

本平台僅供學術討論之用,預報應以氣象局為準

威普網站虛擬主機贊助公司

臺灣第一個天氣類型社群平台 即時天氣資訊、精準颱風動態

線上客服
FB傳送訊息
廣告行銷
精準行銷 物超所值
官方粉專
發佈 快速回復 返回頂部 返回列表