開啟輔助訪問
 找回密碼
 立即加入

1408 浣熊 橫掃日本 轉化溫氣

簽到天數: 687 天

[LV.9]以壇為家II

麻友飯|2014-7-6 21:48 | 顯示全部樓層
明顯地是有乾空氣捲入
但也不太像雙眼牆吧
雖然形狀頗有雙眼牆的形態
雙眼牆不是應該要等中心原來的風眼收窄才形成嗎?
浣熊的風眼還是渾圓清澈啊
附上GIF
swir_lalo-animated.gif
回復

使用道具 舉報

簽到天數: 312 天

[LV.8]以壇為家I

archondarz|2014-7-6 21:49 | 顯示全部樓層
高壓持續東退中

看樣子準備要往北衝了

一路向北掰掰啦

日本朋友要多加注意啦
回復

使用道具 舉報

簽到天數: 582 天

[LV.9]以壇為家II

J18|2014-7-6 21:53 | 顯示全部樓層
氣象局數值大概是所有數值中 最不可能走的路徑!
西北颱.gif
回復

使用道具 舉報

簽到天數: 1913 天

[LV.Master]伴壇終老

服部武藏|2014-7-6 22:13 | 顯示全部樓層
颱風開始往西北偏上去了
高氣壓正在東退中 北偏角度就看東退速度了@@

0706 2200 H.jpg


0706 2000.GIF

回復

使用道具 舉報

簽到天數: 241 天

[LV.8]以壇為家I

krichard2011|2014-7-6 22:19 | 顯示全部樓層
本帖最後由 krichard2011 於 2014-7-6 22:25 編輯

經過這一天 這颱風的結構似乎變得好差
只能等等看稍會兒W能不能順利捲上去
看來 我之前賭的155kt 可能要槓龜了 我的500mm T_T
20140706.1301.mtsat-2.ir.BD.08WNEOGURI.120kts-933mb.jpg
回復

使用道具 舉報

簽到天數: 241 天

[LV.8]以壇為家I

krichard2011|2014-7-6 23:16 | 顯示全部樓層
CDO最近者幾個小時似乎有稍為改善
相較於稍早的色調強化 對流有增強的跡象
可能是拜對流日夜變化之賜...
看看稍後會不會再有進一步發展
HS1Q-2014-07-06-23-00.jpg

回復

使用道具 舉報

簽到天數: 687 天

[LV.9]以壇為家II

麻友飯|2014-7-6 23:28 | 顯示全部樓層
krichard2011 發表於 2014-7-6 23:16
CDO最近者幾個小時似乎有稍為改善
相較於稍早的色調強化 對流有增強的跡象
可能是拜對流日夜變化之賜...

入夜後的確對流增強了
CDO變得扎實
樣子個人來看真的不像雙眼牆
swir0-lalo.gif
不過熊大面前仍然挑戰重重
北象限水氣很不給力= =
太接近副高的心腹了
wv0-lalo.gif

點評

北側眼牆差不多修復好了..  發表於 2014-7-6 23:46
回復

使用道具 舉報

簽到天數: 588 天

[LV.9]以壇為家II

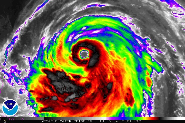
Meow|2014-7-6 23:55 | 顯示全部樓層
對流分佈終於勻稱了,只是深對流與風眼的直徑比例好像只有 3:1 耶。

rbtop0.gif

點評

我還蠻好奇到底是不是因為深對流比較小圈 而比較不容易產生雙眼牆...  發表於 2014-7-6 23:57
回復

使用道具 舉報

快速回覆
您需要登錄後才可以回帖 登錄 | 立即加入

本版積分規則

本平台僅供學術討論之用,預報應以氣象局為準

威普網站虛擬主機贊助公司

臺灣第一個天氣類型社群平台 即時天氣資訊、精準颱風動態

線上客服
FB傳送訊息
廣告行銷
精準行銷 物超所值
官方粉專
發佈 快速回復 返回頂部 返回列表