開啟輔助訪問
 找回密碼
 立即加入

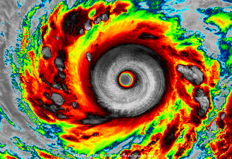
1419 黃蜂 年度全球風王形態近乎完美

簽到天數: 588 天

[LV.9]以壇為家II

Meow|2014-10-11 00:32 | 顯示全部樓層
超大但完整的外眼壁,若置換完成可不得了。
20141010.1117.f18.x.colorpct_91h_91v.19WVONGFONG.115kts-937mb-231N-1293E.63pc.jpg

點評

天ㄚ 320公里的大眼那他登陸地方可以賞多久月娘了 哈哈 甚至烤肉都烤完了 哈哈  發表於 2014-10-11 09:23
公認最大是 54 年前的颱風 Carmen 直徑 320 公里,不過沒有雲圖可以證實。  發表於 2014-10-11 01:06
會不會挑戰最大風眼熱帶氣旋的世界紀錄?  發表於 2014-10-11 00:45
回復

使用道具 舉報

簽到天數: 588 天

[LV.9]以壇為家II

Meow|2014-10-11 03:17 | 顯示全部樓層
JMA 開始整點發報,登陸沖繩本島機會不小。

1419-00.png

台風第19号 (ヴォンフォン)
平成26年10月11日03時50分 発表

<11日03時の実況>
大きさ        大型
強さ        非常に強い
存在地域        那覇市の南南東約300km
中心位置        北緯 23度50分(23.8度)
東経 129度00分(129.0度)
進行方向、速さ        北 15km/h(8kt)
中心気圧        930hPa
中心付近の最大風速        50m/s(95kt)
最大瞬間風速        70m/s(135kt)
25m/s以上の暴風域        全域 260km(140NM)
15m/s以上の強風域        北西側 700km(375NM)
南東側 560km(300NM)

<11日04時の推定>
大きさ        大型
強さ        非常に強い
存在地域        那覇市の南南東約290km
中心位置        北緯 23度55分(23.9度)
東経 129度00分(129.0度)
進行方向、速さ        北 15km/h(8kt)
中心気圧        930hPa
中心付近の最大風速        50m/s(95kt)
最大瞬間風速        70m/s(135kt)
25m/s以上の暴風域        全域 260km(140NM)
15m/s以上の強風域        北西側 700km(375NM)
南東側 560km(300NM)

<11日09時の予報>
強さ        非常に強い
予報円の中心        北緯 24度30分(24.5度)
東経 128度55分(128.9度)
進行方向、速さ        北 15km/h(8kt)
中心気圧        930hPa
中心付近の最大風速        45m/s(90kt)
最大瞬間風速        65m/s(130kt)
予報円の半径        60km(30NM)
暴風警戒域        全域 300km(160NM)

<11日15時の予報>
強さ        非常に強い
存在地域        那覇市の南東約140km
予報円の中心        北緯 25度10分(25.2度)
東経 128度30分(128.5度)
進行方向、速さ        北北西 15km/h(8kt)
中心気圧        935hPa
中心付近の最大風速        45m/s(90kt)
最大瞬間風速        65m/s(130kt)
予報円の半径        90km(50NM)
暴風警戒域        全域 330km(180NM)

<11日21時の予報>
強さ        非常に強い
予報円の中心        北緯 25度55分(25.9度)
東経 128度05分(128.1度)
進行方向、速さ        北 15km/h(9kt)
中心気圧        935hPa
中心付近の最大風速        45m/s(90kt)
最大瞬間風速        65m/s(130kt)
予報円の半径        130km(70NM)
暴風警戒域        全域 370km(200NM)

<12日03時の予報>
強さ        非常に強い
存在地域        那覇市の北約60km
予報円の中心        北緯 26度40分(26.7度)
東経 127度35分(127.6度)
進行方向、速さ        北北西 15km/h(9kt)
中心気圧        935hPa
中心付近の最大風速        45m/s(90kt)
最大瞬間風速        65m/s(130kt)
予報円の半径        160km(85NM)
暴風警戒域        全域 390km(210NM)
回復

使用道具 舉報

該用戶從未簽到

logdog|2014-10-11 09:25 | 顯示全部樓層
本人發表於PTT 大氣版的文章
原文轉貼過來

颱風黃蜂已是個人心目中名人堂級的偉大颱風

為此 特地製作下圖紀念...

21世紀10年代4天王

http://ppt.cc/Qafy

黃蜂有多難能可貴呢,有以下特點:

1.強度: WMG EYE(+21攝氏度以上)+CMG RING(-79攝氏度以下)

雖然不是最強,(喵的!海燕那一圈厚厚的糖霜太變態了

如果常常出現還得瞭XD),但足以排進近五年來前三的位置

如果有實測,搞不好可以和梅姬平起平坐,這是依個可以讓

各機構理智斷線的颱風,能讓機構理智斷線並不容易),

如果有實測強度有可能可以和梅姬打平

2.環流: 雖說大範圍強颱攤開歷史還是有很多,但是強到變態

又風場超大近幾年沒幾個,海燕/梅姬/三巴 在這個角度下

仍不及黃蜂,目前想到的就是瑞伯和迪普和Yuri,

但瑞伯無論型態強度都輸黃蜂,後兩者已年代久遠

3.核心:黃蜂擁有極品的CDO,雖然對流強度仍不及海燕

但論規模還是形狀,黃蜂都不輸給海燕和梅姬,半徑超過兩百

公里且對秤又極其渾圓的CDO,翻開歷史也不多,一定是名人堂

級的貨色

4.爆發力: 24小時,中颱最下限 --> 155kts

攤開近五年的風暴,能達到這種速度的沒幾個,是不是只有黃蜂

沒找資料目前未可知,但是這個事蹟可以讓她進入名人堂

供風迷僅仰XD

5.持久力: 維持C5的時間長達24小時

極其優異的先天結構和後天環境是黃蜂得以維持C5這麼長久的原因

攤開近五年,似乎也只有颱風海燕有這個本事,這點是很難能可貴

6.氣勢: 10/8雲圖 氣勢輝弘

http://ppt.cc/F130

整個菲律賓東方到140E都是黃蜂雲系的勢力範圍

氣勢之強讓人印象深刻

7.風眼: 大眼,深邃,標緻,渾圓

黃蜂的風眼也是難能可貴的極品

除了高的嚇人的眼溫

還有就是他的眼形優美,極其渾圓

是那種讓人看過一次會讓人難忘的眼形

不說了,總之,細數以上7大特點,來人,給我送颱風名人堂!!

話說西北太平洋最近太過凶狠,很不留情面

根本不給其他海域覬覦王座的機會(偷笑)

點評

黃蜂看到你第四頁那篇文發飆了  發表於 2014-10-11 11:51
是持續五級颱風 30 小時  發表於 2014-10-11 10:58

評分

參與人數 2水氣能量 +50 收起 理由
Herb + 30
ben811018 + 20 剛剛有看到XDD

查看全部評分

回復

使用道具 舉報

簽到天數: 12 天

[LV.3]偶爾看看II

ktf|2014-10-11 14:14 | 顯示全部樓層

點評

等等就中破了(笑  發表於 2014-10-11 17:38
狂"蜂"暴雨  發表於 2014-10-11 16:50
http://www.ustream.tv/channel/我部祖河スタジオ  發表於 2014-10-11 14:23

評分

參與人數 2水氣能量 +30 收起 理由
ben811018 + 20 好特別!
kane48898 + 10 有趣!

查看全部評分

回復

使用道具 舉報

簽到天數: 1989 天

[LV.Master]伴壇終老

ben811018|2014-10-11 14:41 | 顯示全部樓層

未命名.png

中颱黃蜂持續朝日本那霸接近,目前琉球群島已進入10級風圈內,稍早沖繩「糸数」測站測得每秒49公尺(15級)的瞬間強陣風。
回復

使用道具 舉報

簽到天數: 588 天

[LV.9]以壇為家II

Meow|2014-10-11 15:07 | 顯示全部樓層

點評

少年~ 修練吧!! 學習上古巫族功法,使用法像天地,你就不苗渺小了。(犯一下中二病)  發表於 2014-10-11 21:03
每次看到這種圖,都覺得人類好渺小......  發表於 2014-10-11 18:09
回復

使用道具 舉報

簽到天數: 241 天

[LV.8]以壇為家I

krichard2011|2014-10-11 21:01 | 顯示全部樓層
好像還沒有人發過這種圖的樣子
出處: Dan Lindsey 與 NOAA Satellites的Twitter
1 (2).png
BzZEqIJCMAE9BU5.png
https://twitter.com/DanLindsey77
https://twitter.com/NOAASatellites

點評

第一張好震撼  發表於 2014-10-11 21:15
回復

使用道具 舉報

簽到天數: 1989 天

[LV.Master]伴壇終老

ben811018|2014-10-12 00:07 | 顯示全部樓層
回復

使用道具 舉報

快速回覆
您需要登錄後才可以回帖 登錄 | 立即加入

本版積分規則

本平台僅供學術討論之用,預報應以氣象局為準

威普網站虛擬主機贊助公司

臺灣第一個天氣類型社群平台 即時天氣資訊、精準颱風動態

線上客服
FB傳送訊息
廣告行銷
精準行銷 物超所值
官方粉專
發佈 快速回復 返回頂部 返回列表