開啟輔助訪問
 找回密碼
 立即加入

1307 蘇力 論壇facebook實況文章記錄

簽到天數: 1989 天

[LV.Master]伴壇終老

ben811018|2013-7-14 00:41 | 顯示全部樓層
7月12日 23:59
1003686_688140177866659_1117095222_n.png

各位朋友注意唷目前台東開始吹焚風了唷,
23:00測得29.2度,
23:45已經測得34.1度高溫,
請大家持續嚴加戒備唷!!

小編:宮本武藏(服部)
回復

使用道具 舉報

簽到天數: 1989 天

[LV.Master]伴壇終老

ben811018|2013-7-14 00:42 | 顯示全部樓層
7月13日 00:40
941219_688162697864407_1809462375_n.png

【颱風中心凌晨接近東北角】
暴風圈逐漸籠罩全台,各地風勢明顯增強,
中部以北山區、宜蘭、花蓮北部雨勢明顯,
中南部山區雨勢將逐漸增強。

最新降水分析圖出爐囉!蘇力南側有厚實的強降雨帶。

蘇力討論區:http://ppt.cc/Zh1C -By柏
圖:台灣颱風論壇

回復

使用道具 舉報

簽到天數: 1989 天

[LV.Master]伴壇終老

ben811018|2013-7-14 00:43 | 顯示全部樓層
7月13日 01:45
沖繩風速破表.png

60.2m/s!!! 一小時前再度飆17級 接近破表..

台北有些地方都停電了
剛剛小柚在找電腦電池
等等如果停電的話還能再撐幾小時
剛剛聽到附近的行政區都停電了@@
資料來源:JMA
回復

使用道具 舉報

簽到天數: 1989 天

[LV.Master]伴壇終老

ben811018|2013-7-14 00:45 | 顯示全部樓層
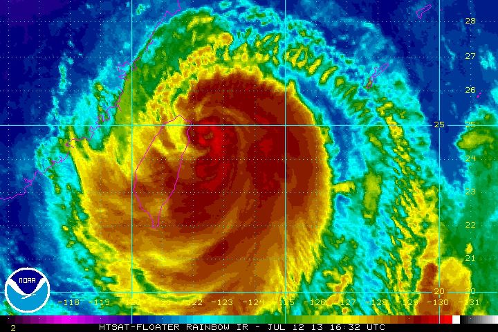
7月13日 01:50
1001758_688191334528210_487940615_n.jpg

颱風中心已進入東北角沿海,
預計未來1~2小時將通過東北角一帶,請新北市、台北市、宜蘭縣民眾在未來幾個小時嚴防瞬間強陣風、降雨出現。

蘇力討論區:http://ppt.cc/Zh1C -By柏
圖:NOAA
回復

使用道具 舉報

簽到天數: 1989 天

[LV.Master]伴壇終老

ben811018|2013-7-14 00:45 | 顯示全部樓層
7月13日 02:00
67914_688191354528208_1846007578_n.jpg

大家有沒有覺得雷達圖怪怪的~
五分山雷達故障..似乎是停電
如果不是停電....吹壞?
在這節骨眼@@
回復

使用道具 舉報

簽到天數: 1989 天

[LV.Master]伴壇終老

ben811018|2013-7-14 00:46 | 顯示全部樓層
7月13日 06:20
1001808_688196891194321_421516753_n.png

彭佳嶼及五分山吹出瞬間最大陣風16級!

也因為風太猛.....目前五分山雷達故障中
回復

使用道具 舉報

簽到天數: 1989 天

[LV.Master]伴壇終老

ben811018|2013-7-14 00:46 | 顯示全部樓層
7月13日 02:37
969330_688202067860470_990588846_n.png
最新雷達及風場掃描!颱風中心已接近東北角!
即將從宜蘭縣及新北市交界處進入陸地
回復

使用道具 舉報

簽到天數: 1989 天

[LV.Master]伴壇終老

ben811018|2013-7-14 00:48 | 顯示全部樓層
7月13日 02:45
1016712_688204501193560_240801833_n.jpg

小祐朋友家的冷氣機= =
誇張..

她家住基隆14樓


(PS.樂冠庭輸了ˇˇ)
回復

使用道具 舉報

快速回覆
您需要登錄後才可以回帖 登錄 | 立即加入

本版積分規則

本平台僅供學術討論之用,預報應以氣象局為準

威普網站虛擬主機贊助公司

臺灣第一個天氣類型社群平台 即時天氣資訊、精準颱風動態

線上客服
FB傳送訊息
廣告行銷
精準行銷 物超所值
官方粉專
發佈 快速回復 返回頂部 返回列表