開啟輔助訪問
 找回密碼
 立即加入

1307 蘇力 論壇facebook實況文章記錄

簽到天數: 1913 天

[LV.Master]伴壇終老

服部武藏|2013-7-13 23:03 | 顯示全部樓層
7月9日 00:43
16.png

晚安!
這是最新一張的風場反演圖,因為蘇力北側是高氣壓勢力,
氣壓梯度相當明顯,因此外圍的強風區相當廣泛!
單以這張圖來說,蘇力的結構不是很「對稱」!

回復

使用道具 舉報

簽到天數: 1913 天

[LV.Master]伴壇終老

服部武藏|2013-7-13 23:05 | 顯示全部樓層
7月9日 06:29
17.jpg

編號1307號颱風蘇力,目前還在花蓮東南東方約2130公里海面上,
目前是穩定的偏西到西北西進行,
由於此颱風目前還不會影響台灣,
今明兩天可以暫時不用擔心颱風,
是否影響台灣明天颱風路徑將是關鍵,
還請大家持續多加注意此颱風最新動態。
回復

使用道具 舉報

簽到天數: 1913 天

[LV.Master]伴壇終老

服部武藏|2013-7-13 23:07 | 顯示全部樓層
7月9日 10:30
18.jpg

蘇力颱風已於今天上午增強為中度颱風,
強度持續增強中並且向西移動,
路徑跟昨天預測變化不大,
北部及東半部民眾要開始做防颱準備,
至於影響的程度未來幾天仍是關鍵!

回復

使用道具 舉報

簽到天數: 1913 天

[LV.Master]伴壇終老

服部武藏|2013-7-13 23:09 | 顯示全部樓層
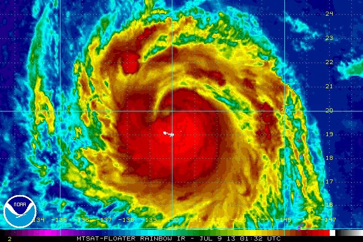
7月9日 13:23
19.png

這是套上衛星雲圖的中央氣象局預測路徑,
以目前資料研判,蘇力將在星期五上午逐漸靠近台灣,
星期五下半天開始東半部地區風雨會逐漸增強,
預計星期五晚上到星期六下午這段時間是颱風影響台灣最嚴重的時候,
屆時全台各地都要嚴加防範強風及豪雨,
尤其是苗栗以北、基隆北海岸、宜蘭及花蓮地區更要特別注意!

氣象局預計將在週四首先針對台灣東部海域發布海上颱風警報,
請做業船隻要特別注意。

回復

使用道具 舉報

簽到天數: 1913 天

[LV.Master]伴壇終老

服部武藏|2013-7-13 23:10 | 顯示全部樓層
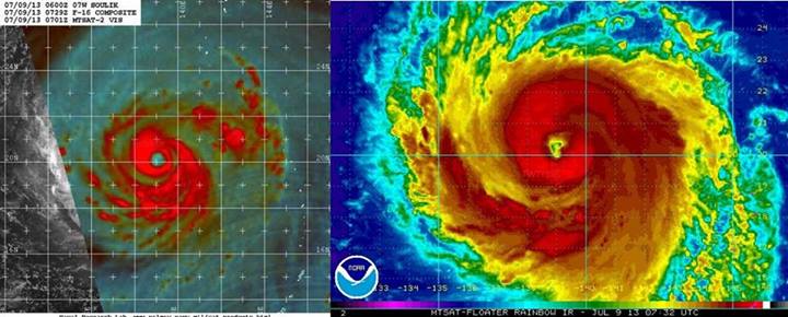
7月9日 16:52
20.jpg

最新的多頻微波掃描可看出颱風的環流結構,
可以發現深層對流逐漸鞏固中心,築起厚實的眼牆
整體組織明顯改善,但仍有進一步加強空間,
颱風眼顯現,強度持續增強!
回復

使用道具 舉報

簽到天數: 1913 天

[LV.Master]伴壇終老

服部武藏|2013-7-13 23:11 | 顯示全部樓層
7月9日 21:58
21.jpg

中央氣象局晚間最新預測路徑!
此圖疊加衛星影像,颱風強度持續增強,颱風眼清晰可見!

回復

使用道具 舉報

簽到天數: 1913 天

[LV.Master]伴壇終老

服部武藏|2013-7-13 23:13 | 顯示全部樓層
7月9日 23:25
22.jpg

中度颱風蘇力強度持續增強,
受到北邊高壓穩定導引持續往西移動,
預計明後兩天移動到日本琉球東南方海域的時候就是關鍵,
預計到時候高壓勢力範圍將逐漸改變,
進而影響蘇力的路徑變化,
如果太平洋高氣壓提早減弱,那麼蘇力通過與那國島之後偏北份量會明顯增加,對台灣直接的影響就大為降低
但當副高減弱不明顯,那麼蘇力就會繼續偏西移動通過台灣北部海面,對台灣影響就會很明顯,
因此明後兩天就是重要觀察期了!

不管颱風未來怎麼走,提醒大家及早做好防颱準備,
尤其中部山區、北部地區及東北部地區要特別注意,
此外,東部海域風浪將逐漸增強,夏天從事海上活動注意安全!

中央氣象局晚間最新預測路徑!
此圖疊加衛星影像,颱風強度持續增強,颱風眼清晰可見!
回復

使用道具 舉報

簽到天數: 1913 天

[LV.Master]伴壇終老

服部武藏|2013-7-13 23:15 | 顯示全部樓層
7月9日 01:39
23.png

最新風場反演出爐囉!
可以發現蘇力颱風風場相當廣泛!
(橘色:五級風、紅色:七級風)
回復

使用道具 舉報

快速回覆
您需要登錄後才可以回帖 登錄 | 立即加入

本版積分規則

本平台僅供學術討論之用,預報應以氣象局為準

威普網站虛擬主機贊助公司

臺灣第一個天氣類型社群平台 即時天氣資訊、精準颱風動態

線上客服
FB傳送訊息
廣告行銷
精準行銷 物超所值
官方粉專
發佈 快速回復 返回頂部 返回列表