開啟輔助訪問
 找回密碼
 立即加入

1307 蘇力 論壇facebook實況文章記錄

簽到天數: 1913 天

[LV.Master]伴壇終老

服部武藏|2013-7-13 23:17 | 顯示全部樓層
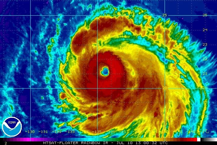
7月10 06:30
24.jpg

目前編號1307號颱風距離台灣越來越近了,
7/10 02時位置在鵝鑾鼻東方1700公里之海面上,
颱風強度有持續增強之趨勢,
7/10、7/11暫時不影響台灣,不過這2天請做好防颱準備,
因為此颱風仍有很高機率影響到台灣,
這幾天想去海邊朋友建議暫時不要去,
下午起海邊將慢慢有長浪發生,
回復

使用道具 舉報

簽到天數: 1913 天

[LV.Master]伴壇終老

服部武藏|2013-7-13 23:22 | 顯示全部樓層
7月10日 09:53
25.jpg

最新消息!
蘇力颱風已經在今天上午八點增強為「強烈颱風」!

回復

使用道具 舉報

簽到天數: 1913 天

[LV.Master]伴壇終老

服部武藏|2013-7-13 23:25 | 顯示全部樓層
7月10日 10:00
26.png

最新中央氣象局預測路徑!
七級風暴風半徑已擴達280公里,十級風暴風半徑達100公里,

預測路徑略有往台灣陸地調整,中心可能通過北台灣!
回復

使用道具 舉報

簽到天數: 1989 天

[LV.Master]伴壇終老

ben811018|2013-7-13 23:45 | 顯示全部樓層
7月10日 13:29
993917_686740258006651_758254473_n.png
強烈颱風蘇力結構紮實且完整,
預計強度仍有進一步增強的空間,但即將達巔峰。

日本南方的高壓系統持續強勢,將繼續導引蘇立偏西進行,
各國氣象機構將颱風路徑略往台灣修正,高壓強勢就是原因之一,
提醒大家今明兩天盡速做好防颱措施,
無論你在台灣北中南東都一定要特別小心,
並請隨時留意最新颱風資訊。

更多討論歡迎至台灣颱風論壇~
蘇力討論區:http://ppt.cc/Zh1C -by 柏
圖:台灣颱風論壇
圖片及資料來源:NOAA.CIMSS





回復

使用道具 舉報

簽到天數: 1989 天

[LV.Master]伴壇終老

ben811018|2013-7-13 23:50 | 顯示全部樓層

1045246_686423701371640_2131779644_n.png

最新風場反演出爐囉!
可以發現蘇力颱風風場相當廣泛!
(橘色:五級風、紅色:七級風)
原始圖檔:http://ppt.cc/ckl4

更多討論歡迎至台灣颱風論壇~
蘇力討論區:http://ppt.cc/Zh1C -by 柏
圖:台灣颱風論壇
圖片及資料來源:NOAA.台灣颱風論壇

回復

使用道具 舉報

簽到天數: 1989 天

[LV.Master]伴壇終老

ben811018|2013-7-14 00:16 | 顯示全部樓層
7月10日 10:00
954737_686837277996949_309323309_n.jpg


美圖分享~
最接近真實色彩的「強颱蘇力」~

更多討論歡迎至台灣颱風論壇~
蘇力討論區:http://ppt.cc/Zh1C -by 柏
圖片來源:NASA
回復

使用道具 舉報

簽到天數: 1989 天

[LV.Master]伴壇終老

ben811018|2013-7-14 00:18 | 顯示全部樓層
7月10日 17:50
1044051_686847614662582_2094200636_n.png

各位請把握明天最後一天的好天氣喔
圖中的乾空氣從今天晚上開始會推送至台灣
明天主要受到颱風外圍下沉氣流影響
明天各地的天氣相對較穩定且可能較炎熱 傍晚風勢會逐漸加大
把握好這一天 做好防颱準備吧
星期五上半天開始就會逐漸受到颱風的影響了
//祐 圖:CIMSS
回復

使用道具 舉報

簽到天數: 1989 天

[LV.Master]伴壇終老

ben811018|2013-7-14 00:19 | 顯示全部樓層
7月10日 21:30
970261_686950651318945_1488035009_n.png

「強颱蘇力」中央氣象局最新預測路徑出爐囉!
 中心氣壓 925 百帕
 近中心最大風速 51 公尺/秒
 瞬間之最大陣風 63 公尺/秒
 七級風半徑280公里
 十級風半徑100公里

更多討論歡迎至台灣颱風論壇~
蘇力討論區:http://ppt.cc/Zh1C -by 柏
圖:台灣颱風論壇
圖片及資料來源:CWB.台灣颱風論壇


回復

使用道具 舉報

快速回覆
您需要登錄後才可以回帖 登錄 | 立即加入

本版積分規則

本平台僅供學術討論之用,預報應以氣象局為準

威普網站虛擬主機贊助公司

臺灣第一個天氣類型社群平台 即時天氣資訊、精準颱風動態

線上客服
FB傳送訊息
廣告行銷
精準行銷 物超所值
官方粉專
發佈 快速回復 返回頂部 返回列表