開啟輔助訪問
 找回密碼
 立即加入

2526 鳳凰 登陸恆春 創下58年來11月登台颱風

簽到天數: 3327 天

[LV.Master]伴壇終老

king111807|2025-11-9 16:28 | 顯示全部樓層
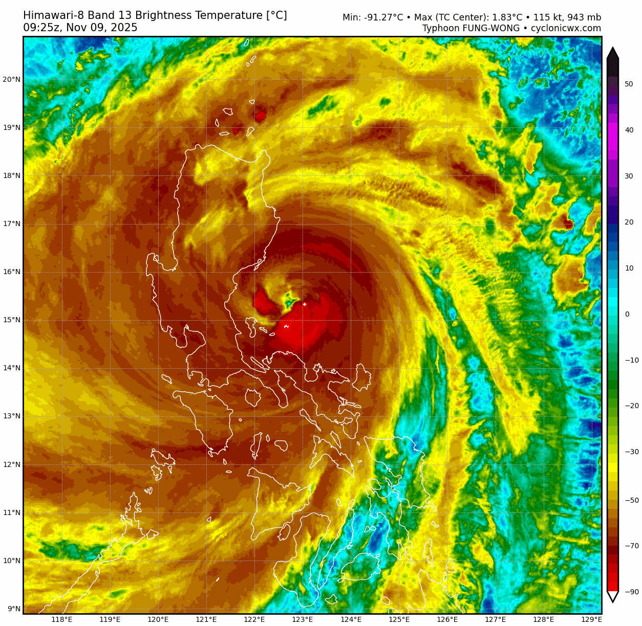
JTWC升格C4,超越海鷗

WTPN32 PGTW 090900
MSGID/GENADMIN/JOINT TYPHOON WRNCEN PEARL HARBOR HI//
SUBJ/TYPHOON 32W (FUNG-WONG) WARNING NR 021//
RMKS/
1. TYPHOON 32W (FUNG-WONG) WARNING NR 021   
   01 ACTIVE TROPICAL CYCLONE IN NORTHWESTPAC
   MAX SUSTAINED WINDS BASED ON ONE-MINUTE AVERAGE
   WIND RADII VALID OVER OPEN WATER ONLY
    ---
   WARNING POSITION:
   090600Z --- NEAR 14.9N 123.2E
     MOVEMENT PAST SIX HOURS - 300 DEGREES AT 16 KTS
     POSITION ACCURATE TO WITHIN 030 NM
     POSITION BASED ON EYE FIXED BY SATELLITE
   PRESENT WIND DISTRIBUTION:
   MAX SUSTAINED WINDS - 115 KT, GUSTS 140 KT
   WIND RADII VALID OVER OPEN WATER ONLY
   RADIUS OF 064 KT WINDS - 060 NM NORTHEAST QUADRANT
                            060 NM SOUTHEAST QUADRANT
                            050 NM SOUTHWEST QUADRANT
                            070 NM NORTHWEST QUADRANT
   RADIUS OF 050 KT WINDS - 110 NM NORTHEAST QUADRANT
                            090 NM SOUTHEAST QUADRANT
                            090 NM SOUTHWEST QUADRANT
                            120 NM NORTHWEST QUADRANT
   RADIUS OF 034 KT WINDS - 210 NM NORTHEAST QUADRANT
                            180 NM SOUTHEAST QUADRANT
                            140 NM SOUTHWEST QUADRANT
                            220 NM NORTHWEST QUADRANT
   REPEAT POSIT: 14.9N 123.2E
    ---
   FORECASTS:
   12 HRS, VALID AT:
   091800Z --- 16.2N 120.6E
   MAX SUSTAINED WINDS - 090 KT, GUSTS 110 KT
   WIND RADII VALID OVER OPEN WATER ONLY
   RADIUS OF 064 KT WINDS - 020 NM NORTHEAST QUADRANT
                            020 NM SOUTHEAST QUADRANT
                            020 NM SOUTHWEST QUADRANT
                            040 NM NORTHWEST QUADRANT
   RADIUS OF 050 KT WINDS - 090 NM NORTHEAST QUADRANT
                            050 NM SOUTHEAST QUADRANT
                            060 NM SOUTHWEST QUADRANT
                            090 NM NORTHWEST QUADRANT
   RADIUS OF 034 KT WINDS - 240 NM NORTHEAST QUADRANT
                            200 NM SOUTHEAST QUADRANT
                            150 NM SOUTHWEST QUADRANT
                            230 NM NORTHWEST QUADRANT
   VECTOR TO 24 HR POSIT: 305 DEG/ 10 KTS
    ---
   24 HRS, VALID AT:
   100600Z --- 17.4N 118.9E
   MAX SUSTAINED WINDS - 080 KT, GUSTS 100 KT
   WIND RADII VALID OVER OPEN WATER ONLY
   RADIUS OF 064 KT WINDS - 020 NM NORTHEAST QUADRANT
                            030 NM SOUTHEAST QUADRANT
                            020 NM SOUTHWEST QUADRANT
                            030 NM NORTHWEST QUADRANT
   RADIUS OF 050 KT WINDS - 070 NM NORTHEAST QUADRANT
                            060 NM SOUTHEAST QUADRANT
                            070 NM SOUTHWEST QUADRANT
                            090 NM NORTHWEST QUADRANT
   RADIUS OF 034 KT WINDS - 230 NM NORTHEAST QUADRANT
                            180 NM SOUTHEAST QUADRANT
                            140 NM SOUTHWEST QUADRANT
                            220 NM NORTHWEST QUADRANT
   VECTOR TO 36 HR POSIT: 320 DEG/ 07 KTS
    ---
   36 HRS, VALID AT:
   101800Z --- 18.4N 118.0E
   MAX SUSTAINED WINDS - 075 KT, GUSTS 090 KT
   WIND RADII VALID OVER OPEN WATER ONLY
   RADIUS OF 064 KT WINDS - 020 NM NORTHEAST QUADRANT
                            030 NM SOUTHEAST QUADRANT
                            030 NM SOUTHWEST QUADRANT
                            040 NM NORTHWEST QUADRANT
   RADIUS OF 050 KT WINDS - 060 NM NORTHEAST QUADRANT
                            070 NM SOUTHEAST QUADRANT
                            080 NM SOUTHWEST QUADRANT
                            100 NM NORTHWEST QUADRANT
   RADIUS OF 034 KT WINDS - 270 NM NORTHEAST QUADRANT
                            170 NM SOUTHEAST QUADRANT
                            140 NM SOUTHWEST QUADRANT
                            220 NM NORTHWEST QUADRANT
   VECTOR TO 48 HR POSIT: 350 DEG/ 06 KTS
    ---
   EXTENDED OUTLOOK:
   48 HRS, VALID AT:
   110600Z --- 19.6N 117.8E
   MAX SUSTAINED WINDS - 070 KT, GUSTS 085 KT
   WIND RADII VALID OVER OPEN WATER ONLY
   RADIUS OF 064 KT WINDS - 030 NM NORTHEAST QUADRANT
                            030 NM SOUTHEAST QUADRANT
                            030 NM SOUTHWEST QUADRANT
                            040 NM NORTHWEST QUADRANT
   RADIUS OF 050 KT WINDS - 060 NM NORTHEAST QUADRANT
                            060 NM SOUTHEAST QUADRANT
                            070 NM SOUTHWEST QUADRANT
                            080 NM NORTHWEST QUADRANT
   RADIUS OF 034 KT WINDS - 260 NM NORTHEAST QUADRANT
                            160 NM SOUTHEAST QUADRANT
                            130 NM SOUTHWEST QUADRANT
                            190 NM NORTHWEST QUADRANT
   VECTOR TO 72 HR POSIT: 015 DEG/ 08 KTS
    ---
   72 HRS, VALID AT:
   120600Z --- 22.5N 118.7E
   MAX SUSTAINED WINDS - 050 KT, GUSTS 065 KT
   WIND RADII VALID OVER OPEN WATER ONLY
   RADIUS OF 050 KT WINDS - 030 NM NORTHEAST QUADRANT
                            030 NM SOUTHEAST QUADRANT
                            030 NM SOUTHWEST QUADRANT
                            040 NM NORTHWEST QUADRANT
   RADIUS OF 034 KT WINDS - 210 NM NORTHEAST QUADRANT
                            090 NM SOUTHEAST QUADRANT
                            080 NM SOUTHWEST QUADRANT
                            110 NM NORTHWEST QUADRANT
   VECTOR TO 96 HR POSIT: 050 DEG/ 10 KTS
    ---
   LONG RANGE OUTLOOK:
    ---
   96 HRS, VALID AT:
   130600Z --- 25.0N 122.1E
   MAX SUSTAINED WINDS - 040 KT, GUSTS 050 KT
   WIND RADII VALID OVER OPEN WATER ONLY
   DISSIPATING AS A SIGNIFICANT TROPICAL CYCLONE OVER WATER
   RADIUS OF 034 KT WINDS - 150 NM NORTHEAST QUADRANT
                            030 NM SOUTHEAST QUADRANT
                            110 NM SOUTHWEST QUADRANT
                            120 NM NORTHWEST QUADRANT
   VECTOR TO 120 HR POSIT: 075 DEG/ 09 KTS
    ---
   120 HRS, VALID AT:
   140600Z --- 25.9N 126.0E
   MAX SUSTAINED WINDS - 030 KT, GUSTS 040 KT
   WIND RADII VALID OVER OPEN WATER ONLY
   DISSIPATING AS A SIGNIFICANT TROPICAL CYCLONE OVER WATER
    ---
REMARKS:
090900Z POSITION NEAR 15.2N 122.6E.
09NOV25. TYPHOON 32W (FUNG-WONG), LOCATED APPROXIMATELY 129 NM
EAST OF MANILA, PHILIPPINES, HAS TRACKED WEST-NORTHWESTWARD AT 16
KNOTS OVER THE PAST SIX HOURS.
MINIMUM CENTRAL PRESSURE AT 090600Z IS 943 MB. MAXIMUM
SIGNIFICANT WAVE HEIGHT AT 090600Z IS 42 FEET. NEXT WARNINGS AT
091500Z, 092100Z, 100300Z AND 100900Z.//
NNNN

wp3225.gif
32W_090600sair.jpg
32W_89H_20251109050221.jpeg
fnv3_ens_wp.png
himawari8_rainbow_32W.gif
回復

使用道具 舉報

簽到天數: 3327 天

[LV.Master]伴壇終老

king111807|2025-11-9 16:35 | 顯示全部樓層
577826338_1275916477900241_2670768723056948760_n.jpg
鳳凰即將登陸菲律賓!
目前仍維持在中度颱風上限
因為跑太快,即使他很努力的整合
但因為要靠近陸地了
應該來不及成為強烈颱風
但還是又大又強~

穿越菲律賓後重新整合的情況
是關鍵囉!

回復

使用道具 舉報

簽到天數: 3327 天

[LV.Master]伴壇終老

king111807|2025-11-9 19:55 | 顯示全部樓層
580904726_1276028684555687_5950360154043205158_n.jpg
【共伴效應,率先發威】
東北季風逐漸增強
週一(10)鳳凰颱風穿越菲律賓進入南海後
颱風東南暖濕氣流與東北季風率先在東部海域交會
宜花東開始容易下大雨
隨著颱風北上過程中

週二(11)是共伴效應發生位置也會逐漸往北移動
擴及台灣東北側及東側
也是最明顯時刻
基隆北海岸、雙北山區、新北東側、宜蘭、花蓮、台東
均有劇烈降雨的機會,小心災害發生。

週三(12)颱風更往台灣陸地靠近後
共伴效應的位置繼續北推到北部海面或東海
影響台灣的以颱風環流影響為主。
共伴效應的位置會隨著颱風位置而改變。

回復

使用道具 舉報

簽到天數: 3327 天

[LV.Master]伴壇終老

king111807|2025-11-9 22:19 | 顯示全部樓層
晚間21:10正式登陸菲律賓奧羅拉省

At 9:10 PM today, the center of the eye of Super Typhoon #UwanPH has made landfall over Dinalungan, Aurora.

回復

使用道具 舉報

簽到天數: 3327 天

[LV.Master]伴壇終老

king111807|2025-11-9 22:32 | 顯示全部樓層
JTWC降格C3

WTPN32 PGTW 091500
MSGID/GENADMIN/JOINT TYPHOON WRNCEN PEARL HARBOR HI//
SUBJ/TYPHOON 32W (FUNG-WONG) WARNING NR 022//
RMKS/
1. TYPHOON 32W (FUNG-WONG) WARNING NR 022   
   01 ACTIVE TROPICAL CYCLONE IN NORTHWESTPAC
   MAX SUSTAINED WINDS BASED ON ONE-MINUTE AVERAGE
   WIND RADII VALID OVER OPEN WATER ONLY
    ---
   WARNING POSITION:
   091200Z --- NEAR 16.1N 121.8E
     MOVEMENT PAST SIX HOURS - 310 DEGREES AT 18 KTS
     POSITION ACCURATE TO WITHIN 030 NM
     POSITION BASED ON CENTER LOCATED BY SATELLITE
   PRESENT WIND DISTRIBUTION:
   MAX SUSTAINED WINDS - 100 KT, GUSTS 125 KT
   WIND RADII VALID OVER OPEN WATER ONLY
   RADIUS OF 064 KT WINDS - 060 NM NORTHEAST QUADRANT
                            060 NM SOUTHEAST QUADRANT
                            050 NM SOUTHWEST QUADRANT
                            070 NM NORTHWEST QUADRANT
   RADIUS OF 050 KT WINDS - 100 NM NORTHEAST QUADRANT
                            080 NM SOUTHEAST QUADRANT
                            075 NM SOUTHWEST QUADRANT
                            110 NM NORTHWEST QUADRANT
   RADIUS OF 034 KT WINDS - 200 NM NORTHEAST QUADRANT
                            180 NM SOUTHEAST QUADRANT
                            140 NM SOUTHWEST QUADRANT
                            200 NM NORTHWEST QUADRANT
   REPEAT POSIT: 16.1N 121.8E
    ---
   FORECASTS:
   12 HRS, VALID AT:
   100000Z --- 17.3N 119.7E
   MAX SUSTAINED WINDS - 080 KT, GUSTS 100 KT
   WIND RADII VALID OVER OPEN WATER ONLY
   RADIUS OF 064 KT WINDS - 010 NM NORTHEAST QUADRANT
                            020 NM SOUTHEAST QUADRANT
                            020 NM SOUTHWEST QUADRANT
                            030 NM NORTHWEST QUADRANT
   RADIUS OF 050 KT WINDS - 080 NM NORTHEAST QUADRANT
                            050 NM SOUTHEAST QUADRANT
                            060 NM SOUTHWEST QUADRANT
                            090 NM NORTHWEST QUADRANT
   RADIUS OF 034 KT WINDS - 250 NM NORTHEAST QUADRANT
                            200 NM SOUTHEAST QUADRANT
                            160 NM SOUTHWEST QUADRANT
                            250 NM NORTHWEST QUADRANT
   VECTOR TO 24 HR POSIT: 310 DEG/ 08 KTS
    ---
   24 HRS, VALID AT:
   101200Z --- 18.3N 118.4E
   MAX SUSTAINED WINDS - 075 KT, GUSTS 090 KT
   WIND RADII VALID OVER OPEN WATER ONLY
   RADIUS OF 064 KT WINDS - 020 NM NORTHEAST QUADRANT
                            040 NM SOUTHEAST QUADRANT
                            030 NM SOUTHWEST QUADRANT
                            040 NM NORTHWEST QUADRANT
   RADIUS OF 050 KT WINDS - 070 NM NORTHEAST QUADRANT
                            060 NM SOUTHEAST QUADRANT
                            070 NM SOUTHWEST QUADRANT
                            100 NM NORTHWEST QUADRANT
   RADIUS OF 034 KT WINDS - 250 NM NORTHEAST QUADRANT
                            190 NM SOUTHEAST QUADRANT
                            160 NM SOUTHWEST QUADRANT
                            250 NM NORTHWEST QUADRANT
   VECTOR TO 36 HR POSIT: 340 DEG/ 06 KTS
    ---
   36 HRS, VALID AT:
   110000Z --- 19.5N 117.9E
   MAX SUSTAINED WINDS - 070 KT, GUSTS 085 KT
   WIND RADII VALID OVER OPEN WATER ONLY
   RADIUS OF 064 KT WINDS - 030 NM NORTHEAST QUADRANT
                            040 NM SOUTHEAST QUADRANT
                            040 NM SOUTHWEST QUADRANT
                            040 NM NORTHWEST QUADRANT
   RADIUS OF 050 KT WINDS - 070 NM NORTHEAST QUADRANT
                            070 NM SOUTHEAST QUADRANT
                            070 NM SOUTHWEST QUADRANT
                            110 NM NORTHWEST QUADRANT
   RADIUS OF 034 KT WINDS - 290 NM NORTHEAST QUADRANT
                            190 NM SOUTHEAST QUADRANT
                            140 NM SOUTHWEST QUADRANT
                            240 NM NORTHWEST QUADRANT
   VECTOR TO 48 HR POSIT: 355 DEG/ 07 KTS
    ---
   EXTENDED OUTLOOK:
   48 HRS, VALID AT:
   111200Z --- 20.8N 117.8E
   MAX SUSTAINED WINDS - 065 KT, GUSTS 080 KT
   WIND RADII VALID OVER OPEN WATER ONLY
   RADIUS OF 064 KT WINDS - 010 NM NORTHEAST QUADRANT
                            020 NM SOUTHEAST QUADRANT
                            030 NM SOUTHWEST QUADRANT
                            050 NM NORTHWEST QUADRANT
   RADIUS OF 050 KT WINDS - 050 NM NORTHEAST QUADRANT
                            060 NM SOUTHEAST QUADRANT
                            060 NM SOUTHWEST QUADRANT
                            100 NM NORTHWEST QUADRANT
   RADIUS OF 034 KT WINDS - 240 NM NORTHEAST QUADRANT
                            160 NM SOUTHEAST QUADRANT
                            130 NM SOUTHWEST QUADRANT
                            200 NM NORTHWEST QUADRANT
   VECTOR TO 72 HR POSIT: 030 DEG/ 08 KTS
    ---
   72 HRS, VALID AT:
   121200Z --- 23.6N 119.6E
   MAX SUSTAINED WINDS - 050 KT, GUSTS 065 KT
   WIND RADII VALID OVER OPEN WATER ONLY
   RADIUS OF 050 KT WINDS - 020 NM NORTHEAST QUADRANT
                            025 NM SOUTHEAST QUADRANT
                            030 NM SOUTHWEST QUADRANT
                            030 NM NORTHWEST QUADRANT
   RADIUS OF 034 KT WINDS - 230 NM NORTHEAST QUADRANT
                            080 NM SOUTHEAST QUADRANT
                            070 NM SOUTHWEST QUADRANT
                            150 NM NORTHWEST QUADRANT
   VECTOR TO 96 HR POSIT: 055 DEG/ 10 KTS
    ---
   LONG RANGE OUTLOOK:
    ---
   96 HRS, VALID AT:
   131200Z --- 25.9N 123.4E
   MAX SUSTAINED WINDS - 040 KT, GUSTS 050 KT
   WIND RADII VALID OVER OPEN WATER ONLY
   DISSIPATING AS A SIGNIFICANT TROPICAL CYCLONE OVER WATER
   RADIUS OF 034 KT WINDS - 160 NM NORTHEAST QUADRANT
                            080 NM SOUTHEAST QUADRANT
                            100 NM SOUTHWEST QUADRANT
                            120 NM NORTHWEST QUADRANT
   VECTOR TO 120 HR POSIT: 080 DEG/ 08 KTS
    ---
   120 HRS, VALID AT:
   141200Z --- 26.3N 127.0E
   MAX SUSTAINED WINDS - 025 KT, GUSTS 035 KT
   WIND RADII VALID OVER OPEN WATER ONLY
   DISSIPATING AS A SIGNIFICANT TROPICAL CYCLONE OVER WATER
    ---
REMARKS:
091500Z POSITION NEAR 16.4N 121.3E.
09NOV25. TYPHOON 32W (FUNG-WONG), LOCATED APPROXIMATELY 101 NM
NORTH-NORTHEAST OF MANILA, PHILIPPINES, HAS TRACKED NORTHWESTWARD
AT 18 KNOTS OVER THE PAST SIX HOURS.
MINIMUM CENTRAL PRESSURE AT 091200Z IS 945 MB. NEXT WARNINGS AT
092100Z, 100300Z, 100900Z AND 101500Z.//
NNNN
wp3225.gif
32W_091200sair.jpg
fnv3_ens_wp.png
himawari8_rainbow_32W.gif
回復

使用道具 舉報

簽到天數: 3327 天

[LV.Master]伴壇終老

king111807|2025-11-9 22:42 | 顯示全部樓層
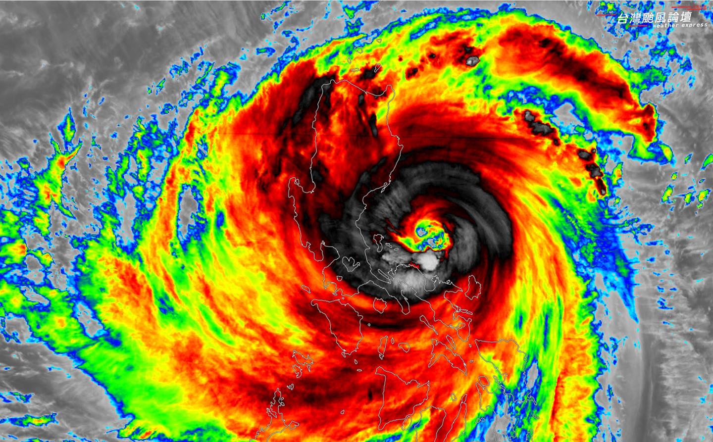
579395484_1276182901206932_2381594668221634377_n.jpg
鳳凰颱風此刻正在登陸菲律賓中
預計凌晨就會出海進入南海

從出海到靠近台灣這段時間
就看他重新整合、發展的情況
將決定中、南部的風雨強度
接下來鳳凰的一舉一動都是關鍵!

回復

使用道具 舉報

簽到天數: 3327 天

[LV.Master]伴壇終老

king111807|2025-11-10 08:48 | 顯示全部樓層
578209977_1276376941187528_1908821269734022438_n.jpg
鳳凰颱風已經通過呂宋島,
目前正在南海重新整合。

從雲圖上可以看到,雖然颱風眼已經不明顯,
但主要的雲系仍然存在,環流也還算完整。
大型颱風的特性之一,就是對地形與不利環境的抵抗力較強。

接下來在接近台灣的過程中,
大氣環境會逐漸轉為不利於發展,
重整的狀況、以及減弱的幅度,
都將決定對西半部的實際影響程度。
而東半部和北北基的雨,
現在就要開始啦!

資料來源|中央氣象署真實色衛星雲圖
資料時間|2025-11-10 02:40

回復

使用道具 舉報

簽到天數: 3327 天

[LV.Master]伴壇終老

king111807|2025-11-10 08:59 | 顯示全部樓層
JTWC降格C2

WTPN32 PGTW 092100
MSGID/GENADMIN/JOINT TYPHOON WRNCEN PEARL HARBOR HI//
SUBJ/TYPHOON 32W (FUNG-WONG) WARNING NR 023//
RMKS/
1. TYPHOON 32W (FUNG-WONG) WARNING NR 023   
   01 ACTIVE TROPICAL CYCLONE IN NORTHWESTPAC
   MAX SUSTAINED WINDS BASED ON ONE-MINUTE AVERAGE
   WIND RADII VALID OVER OPEN WATER ONLY
    ---
   WARNING POSITION:
   091800Z --- NEAR 16.5N 120.3E
     MOVEMENT PAST SIX HOURS - 285 DEGREES AT 15 KTS
     POSITION ACCURATE TO WITHIN 050 NM
     POSITION BASED ON CENTER LOCATED BY A COMBINATION OF
     SATELLITE, RADAR AND SYNOPTIC DATA
   PRESENT WIND DISTRIBUTION:
   MAX SUSTAINED WINDS - 095 KT, GUSTS 115 KT
   WIND RADII VALID OVER OPEN WATER ONLY
   RADIUS OF 064 KT WINDS - 080 NM NORTHEAST QUADRANT
                            065 NM SOUTHEAST QUADRANT
                            045 NM SOUTHWEST QUADRANT
                            070 NM NORTHWEST QUADRANT
   RADIUS OF 050 KT WINDS - 150 NM NORTHEAST QUADRANT
                            125 NM SOUTHEAST QUADRANT
                            085 NM SOUTHWEST QUADRANT
                            130 NM NORTHWEST QUADRANT
   RADIUS OF 034 KT WINDS - 260 NM NORTHEAST QUADRANT
                            210 NM SOUTHEAST QUADRANT
                            155 NM SOUTHWEST QUADRANT
                            220 NM NORTHWEST QUADRANT
   REPEAT POSIT: 16.5N 120.3E
    ---
   FORECASTS:
   12 HRS, VALID AT:
   100600Z --- 17.5N 118.6E
   MAX SUSTAINED WINDS - 080 KT, GUSTS 100 KT
   WIND RADII VALID OVER OPEN WATER ONLY
   RADIUS OF 064 KT WINDS - 040 NM NORTHEAST QUADRANT
                            040 NM SOUTHEAST QUADRANT
                            040 NM SOUTHWEST QUADRANT
                            050 NM NORTHWEST QUADRANT
   RADIUS OF 050 KT WINDS - 090 NM NORTHEAST QUADRANT
                            080 NM SOUTHEAST QUADRANT
                            080 NM SOUTHWEST QUADRANT
                            120 NM NORTHWEST QUADRANT
   RADIUS OF 034 KT WINDS - 290 NM NORTHEAST QUADRANT
                            200 NM SOUTHEAST QUADRANT
                            160 NM SOUTHWEST QUADRANT
                            280 NM NORTHWEST QUADRANT
   VECTOR TO 24 HR POSIT: 325 DEG/ 07 KTS
    ---
   24 HRS, VALID AT:
   101800Z --- 18.6N 117.8E
   MAX SUSTAINED WINDS - 075 KT, GUSTS 090 KT
   WIND RADII VALID OVER OPEN WATER ONLY
   RADIUS OF 064 KT WINDS - 040 NM NORTHEAST QUADRANT
                            050 NM SOUTHEAST QUADRANT
                            050 NM SOUTHWEST QUADRANT
                            060 NM NORTHWEST QUADRANT
   RADIUS OF 050 KT WINDS - 070 NM NORTHEAST QUADRANT
                            080 NM SOUTHEAST QUADRANT
                            080 NM SOUTHWEST QUADRANT
                            120 NM NORTHWEST QUADRANT
   RADIUS OF 034 KT WINDS - 270 NM NORTHEAST QUADRANT
                            190 NM SOUTHEAST QUADRANT
                            160 NM SOUTHWEST QUADRANT
                            290 NM NORTHWEST QUADRANT
   VECTOR TO 36 HR POSIT: 350 DEG/ 06 KTS
    ---
   36 HRS, VALID AT:
   110600Z --- 19.8N 117.6E
   MAX SUSTAINED WINDS - 070 KT, GUSTS 085 KT
   WIND RADII VALID OVER OPEN WATER ONLY
   RADIUS OF 064 KT WINDS - 030 NM NORTHEAST QUADRANT
                            040 NM SOUTHEAST QUADRANT
                            050 NM SOUTHWEST QUADRANT
                            050 NM NORTHWEST QUADRANT
   RADIUS OF 050 KT WINDS - 050 NM NORTHEAST QUADRANT
                            080 NM SOUTHEAST QUADRANT
                            070 NM SOUTHWEST QUADRANT
                            110 NM NORTHWEST QUADRANT
   RADIUS OF 034 KT WINDS - 250 NM NORTHEAST QUADRANT
                            170 NM SOUTHEAST QUADRANT
                            150 NM SOUTHWEST QUADRANT
                            250 NM NORTHWEST QUADRANT
   VECTOR TO 48 HR POSIT: 015 DEG/ 08 KTS
    ---
   EXTENDED OUTLOOK:
   48 HRS, VALID AT:
   111800Z --- 21.3N 118.0E
   MAX SUSTAINED WINDS - 065 KT, GUSTS 080 KT
   WIND RADII VALID OVER OPEN WATER ONLY
   RADIUS OF 064 KT WINDS - 030 NM NORTHEAST QUADRANT
                            020 NM SOUTHEAST QUADRANT
                            040 NM SOUTHWEST QUADRANT
                            040 NM NORTHWEST QUADRANT
   RADIUS OF 050 KT WINDS - 080 NM NORTHEAST QUADRANT
                            060 NM SOUTHEAST QUADRANT
                            060 NM SOUTHWEST QUADRANT
                            100 NM NORTHWEST QUADRANT
   RADIUS OF 034 KT WINDS - 260 NM NORTHEAST QUADRANT
                            150 NM SOUTHEAST QUADRANT
                            120 NM SOUTHWEST QUADRANT
                            200 NM NORTHWEST QUADRANT
   VECTOR TO 72 HR POSIT: 040 DEG/ 12 KTS
    ---
   72 HRS, VALID AT:
   121800Z --- 24.9N 121.2E
   MAX SUSTAINED WINDS - 050 KT, GUSTS 065 KT
   WIND RADII VALID OVER OPEN WATER ONLY
   RADIUS OF 050 KT WINDS - 020 NM NORTHEAST QUADRANT
                            030 NM SOUTHEAST QUADRANT
                            010 NM SOUTHWEST QUADRANT
                            040 NM NORTHWEST QUADRANT
   RADIUS OF 034 KT WINDS - 300 NM NORTHEAST QUADRANT
                            080 NM SOUTHEAST QUADRANT
                            080 NM SOUTHWEST QUADRANT
                            190 NM NORTHWEST QUADRANT
   VECTOR TO 96 HR POSIT: 080 DEG/ 08 KTS
    ---
   LONG RANGE OUTLOOK:
    ---
   96 HRS, VALID AT:
   131800Z --- 25.4N 124.9E
   MAX SUSTAINED WINDS - 040 KT, GUSTS 050 KT
   WIND RADII VALID OVER OPEN WATER ONLY
   DISSIPATING AS A SIGNIFICANT TROPICAL CYCLONE OVER WATER
   RADIUS OF 034 KT WINDS - 180 NM NORTHEAST QUADRANT
                            010 NM SOUTHEAST QUADRANT
                            180 NM SOUTHWEST QUADRANT
                            160 NM NORTHWEST QUADRANT
   VECTOR TO 120 HR POSIT: 090 DEG/ 06 KTS
    ---
   120 HRS, VALID AT:
   141800Z --- 25.4N 127.6E
   MAX SUSTAINED WINDS - 020 KT, GUSTS 030 KT
   WIND RADII VALID OVER OPEN WATER ONLY
   DISSIPATED AS A SIGNIFICANT TROPICAL CYCLONE OVER WATER
    ---
REMARKS:
092100Z POSITION NEAR 16.8N 119.9E.
09NOV25. TYPHOON 32W (FUNG-WONG), LOCATED APPROXIMATELY 121 NM
NORTH-NORTHWEST OF MANILA, PHILIPPINES, HAS TRACKED WEST-
NORTHWESTWARD AT 15 KNOTS OVER THE PAST SIX HOURS.
MINIMUM CENTRAL PRESSURE AT 091800Z IS 959 MB. MAXIMUM
SIGNIFICANT WAVE HEIGHT AT 091800Z IS 32 FEET. NEXT WARNINGS AT
100300Z, 100900Z, 101500Z AND 102100Z.
//
NNNN
wp3225.gif
32W_091800sair.jpg
fnv3_32W_probability_2025110918.png
himawari8_rainbow_32W.gif
回復

使用道具 舉報

快速回覆
您需要登錄後才可以回帖 登錄 | 立即加入

本版積分規則

本平台僅供學術討論之用,預報應以氣象局為準

威普網站虛擬主機贊助公司

臺灣第一個天氣類型社群平台 即時天氣資訊、精準颱風動態

線上客服
FB傳送訊息
廣告行銷
精準行銷 物超所值
官方粉專
發佈 快速回復 返回頂部 返回列表