開啟輔助訪問
 找回密碼
 立即加入

2526 鳳凰 登陸恆春 創下58年來11月登台颱風

簽到天數: 3327 天

[LV.Master]伴壇終老

king111807|2025-11-8 03:29 | 顯示全部樓層
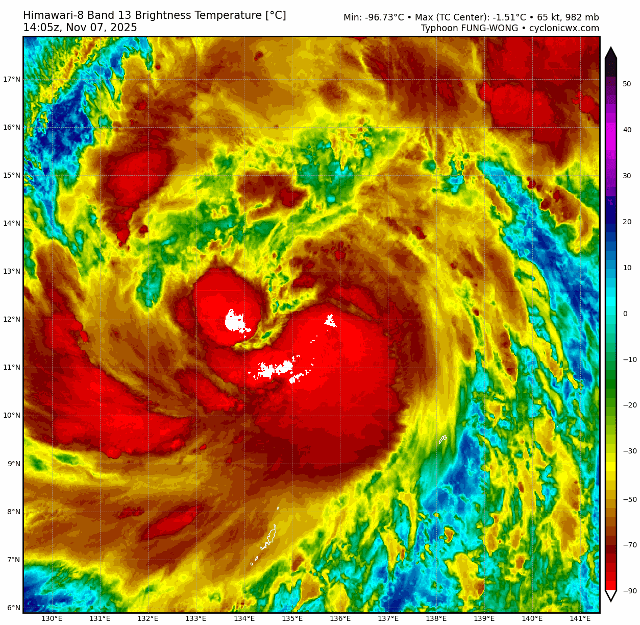
JMA 18Z升格TY

台風第26号(フォンウォン)
2025年11月08日03時45分発表
08日03時の実況
種別        台風
大きさ        大型
強さ        強い
存在地域        フィリピンの東
中心位置        北緯12度10分 (12.2度)
東経134度10分 (134.2度)
進行方向、速さ        西 25 km/h (13 kt)
中心気圧        970 hPa
中心付近の最大風速        35 m/s (65 kt)
最大瞬間風速        50 m/s (95 kt)
25m/s以上の暴風域        全域 150 km (80 NM)
15m/s以上の強風域        全域 500 km (270 NM)
08日15時の予報
種別        台風
強さ        強い
存在地域        フィリピンの東
予報円の中心        北緯13度05分 (13.1度)
東経130度35分 (130.6度)
進行方向、速さ        西 35 km/h (18 kt)
中心気圧        955 hPa
中心付近の最大風速        40 m/s (80 kt)
最大瞬間風速        60 m/s (115 kt)
予報円の半径        75 km (40 NM)
暴風警戒域        全域 240 km (130 NM)
09日03時の予報
種別        台風
強さ        非常に強い
存在地域        フィリピンの東
予報円の中心        北緯14度05分 (14.1度)
東経126度55分 (126.9度)
進行方向、速さ        西北西 35 km/h (19 kt)
中心気圧        935 hPa
中心付近の最大風速        50 m/s (100 kt)
最大瞬間風速        70 m/s (140 kt)
予報円の半径        105 km (57 NM)
暴風警戒域        全域 290 km (155 NM)
10日03時の予報
種別        台風
強さ        強い
存在地域        ルソン島
予報円の中心        北緯16度35分 (16.6度)
東経120度30分 (120.5度)
進行方向、速さ        西北西 30 km/h (17 kt)
中心気圧        965 hPa
中心付近の最大風速        35 m/s (70 kt)
最大瞬間風速        50 m/s (100 kt)
予報円の半径        155 km (85 NM)
暴風警戒域        全域 340 km (185 NM)
11日03時の予報
種別        台風
強さ        強い
存在地域        南シナ海
予報円の中心        北緯18度05分 (18.1度)
東経118度25分 (118.4度)
進行方向、速さ        北西 10 km/h (6 kt)
中心気圧        965 hPa
中心付近の最大風速        40 m/s (75 kt)
最大瞬間風速        55 m/s (105 kt)
予報円の半径        185 km (100 NM)
暴風警戒域        全域 370 km (200 NM)
12日03時の予報
種別        台風
強さ        強い
存在地域        南シナ海
予報円の中心        北緯20度10分 (20.2度)
東経117度35分 (117.6度)
進行方向、速さ        北北西 10 km/h (6 kt)
中心気圧        965 hPa
中心付近の最大風速        40 m/s (75 kt)
最大瞬間風速        55 m/s (105 kt)
予報円の半径        230 km (125 NM)
暴風警戒域        全域 420 km (225 NM)
13日03時の予報
種別        台風
強さ        強い
存在地域        南シナ海
予報円の中心        北緯23度00分 (23.0度)
東経118度40分 (118.7度)
進行方向、速さ        北北東 15 km/h (7 kt)
中心気圧        980 hPa
中心付近の最大風速        35 m/s (65 kt)
最大瞬間風速        50 m/s (95 kt)
予報円の半径        280 km (150 NM)
暴風警戒域        全域 370 km (200 NM)
typhoon_2526-large.jpg
fnv3_32W_ensemble_2025110712.png
fnv3_32W_probability_2025110712.png
32W_BW.png
himawari8_rainbow_32W.gif
回復

使用道具 舉報

簽到天數: 3327 天

[LV.Master]伴壇終老

king111807|2025-11-8 03:37 | 顯示全部樓層
577062873_1274501728041716_1441242453255397781_n.jpg
鳳凰颱風對流持續爆發中
環流相當廣泛!

因為季節性因素
南北最搖滾風雨的時間會稍微不同。

北部、東部
週一(10)就會開始下雨 (快的話週日晚上)
加上東北季風開始增強、迎風面關係
共伴效應將開始發威
發生的位置將會出現持續性的劇烈降雨
即使颱風是從西南部尻上來
仍不可輕忽共伴、迎風面造成的劇烈降雨威脅
週一(10)、二(11)風險最高。

西南部
特別呼籲西南部地區的朋友
雖然颱風在靠近台灣的過程中可能逐漸減弱
但減弱的幅度、速度目前模式預報較為分歧
加上颱風本身結構屬於大風場
西南部又在危險半圈內
請務必以最高規格進行防範
主要影響時間會是在週二(11)晚至週四(13)凌晨!

回復

使用道具 舉報

簽到天數: 3327 天

[LV.Master]伴壇終老

king111807|2025-11-8 04:21 | 顯示全部樓層
CWA 18Z升格中颱

中度颱風鳳凰
編號第 26 號
國際命名 FUNG-WONG
現況
2025年11月08日02時

中心位置在北緯 12.2 度,東經 134.0 度
過去移動方向 西北西
過去移動時速 26公里
中心氣壓 970百帕
近中心最大風速每秒 33 公尺
瞬間最大陣風每秒 43 公尺
七級風平均暴風半徑 200 公里
 西北側 220 公里 東北側 220 公里
 西南側 180 公里 東南側 160 公里
十級風平均暴風半徑 60 公里
 西北側 70 公里 東北側 70 公里
 西南側 60 公里 東南側 50 公里
預測
預測 6 小時平均移向移速為

西 時速 31 公里
預測 11月08日08時
中心位置在北緯 12.5 度,東經 132.3 度
中心氣壓960百帕
近中心最大風速每秒 38 公尺
瞬間最大陣風每秒 48 公尺
七級風暴風半徑 220 公里
十級風暴風半徑 70 公里
70%機率半徑 30 公里
預測 6-12 小時平均移向移速為

西 時速 31 公里
預測 11月08日14時
中心位置在北緯 12.8 度,東經 130.6 度
中心氣壓945百帕
近中心最大風速每秒 43 公尺
瞬間最大陣風每秒 53 公尺
七級風暴風半徑 250 公里
十級風暴風半徑 80 公里
70%機率半徑 60 公里
預測 12-18 小時平均移向移速為

西北西 時速 36 公里
預測 11月08日20時
中心位置在北緯 13.3 度,東經 128.7 度
中心氣壓930百帕
近中心最大風速每秒 48 公尺
瞬間最大陣風每秒 58 公尺
七級風暴風半徑 300 公里
十級風暴風半徑 100 公里
70%機率半徑 70 公里
預測 18-24 小時平均移向移速為

西北西 時速 29 公里
預測 11月09日02時
中心位置在北緯 13.9 度,東經 127.2 度
中心氣壓925百帕
近中心最大風速每秒 51 公尺
瞬間最大陣風每秒 63 公尺
七級風暴風半徑 320 公里
十級風暴風半徑 110 公里
70%機率半徑 90 公里
預測 24-36 小時平均移向移速為

西北西 時速 30 公里
預測 11月09日14時
中心位置在北緯 15.1 度,東經 124.1 度
中心氣壓925百帕
近中心最大風速每秒 51 公尺
瞬間最大陣風每秒 63 公尺
七級風暴風半徑 320 公里
十級風暴風半徑 110 公里
70%機率半徑 120 公里
預測 36-48 小時平均移向移速為

西北西 時速 27 公里
預測 11月10日02時
中心位置在北緯 16.2 度,東經 121.3 度
中心氣壓930百帕
近中心最大風速每秒 48 公尺
瞬間最大陣風每秒 58 公尺
七級風暴風半徑 300 公里
十級風暴風半徑 100 公里
70%機率半徑 170 公里
預測 48-72 小時平均移向移速為

西北 時速 15 公里
預測 11月11日02時
中心位置在北緯 18.1 度,東經 118.6 度
中心氣壓950百帕
近中心最大風速每秒 40 公尺
瞬間最大陣風每秒 50 公尺
七級風暴風半徑 280 公里
十級風暴風半徑 90 公里
70%機率半徑 210 公里
預測 72-96 小時平均移向移速為

北 時速 12 公里
預測 11月12日02時
中心位置在北緯 20.8 度,東經 118.6 度
中心氣壓965百帕
近中心最大風速每秒 35 公尺
瞬間最大陣風每秒 45 公尺
七級風暴風半徑 250 公里
十級風暴風半徑 80 公里

70%機率半徑 320 公里
預測 96-120 小時平均移向移速為

北北東 時速 15 公里
預測 11月13日02時
中心位置在北緯 23.6 度,東經 120.5 度
中心氣壓980百帕
近中心最大風速每秒 28 公尺
瞬間最大陣風每秒 35 公尺
七級風暴風半徑 150 公里
70%機率半徑 410 公里

Download_PTA_202511071800_FUNG-WONG_zhtw.png
32.png
FUNG-WONG_tc_ec_ens.png
H9_EIR_R3.jpg
回復

使用道具 舉報

簽到天數: 582 天

[LV.9]以壇為家II

蜜露|2025-11-8 11:13 | 顯示全部樓層
本帖最後由 蜜露 於 2025-11-8 11:15 編輯



看起來他是個大眼颱風,跟之前的蘭恩、杜蘇芮、康芮都有點像.

bandicam 2025-11-08 11-02-44-904.jpg

似曾相似的路徑,又來了
繼山陀兒、玉兔(熱低)、丹娜絲

不過她是穿心呂宋島的颱風,也可能影響台灣只剩個輕度颱風.
下周要注意

巔峰估計在呂宋島東方,影響台灣是減弱狀態.
所以聽到強烈颱風不用那麼緊張,最強都是在菲律賓東方的地方

32W_EVIS.png

20251107_213858_WP322025_mwi_wsfm_89H_76kts_100p00_res1p0-cr100-akima-bgInfrared-Gray.jpg

下周密切注意,也不排除在南海是個中度颱風威脅就大了.





回復

使用道具 舉報

簽到天數: 3327 天

[LV.Master]伴壇終老

king111807|2025-11-8 12:52 | 顯示全部樓層
577816059_1274873554671200_1491631676080633944_n.jpg
【鳳凰最新動態:升格中颱,上望強颱】
大家早安!
鳳凰颱風已經增強為中度颱風
在副熱帶(太平洋)高壓導引下穩定往西移動中
路徑上沒有太大變化
將以強颱巔峰之姿登陸菲律賓
週一(10)進入南海後
原本連結在一起的高壓軸帶斷裂出現弱點
使得鳳凰有機可趁
進而大角度轉向,北轉朝台灣前進。

但目前變數較大及需要特別關注的是:

颱風北轉的幅度及移動速度
颱風北上時減弱幅度

移動快慢、減弱程度大小
都將攸關影響的時間及各地風雨規模
週一(10)、二(11)是重要關鍵期。

影響時間方面
因為季節性因素、颱風走勢及強度變化
北中南最搖滾風雨的時間會稍微不同。

北部、東部
週一(10)、二(11)這兩天
因為颱風的位置跟東北季風
共伴效應正好落在北台灣至花蓮這一帶
是風雨最大、最有感的時刻。
當颱風通過時雖然也會有風雨
但因強度已減弱許多,反而不會那麼劇烈。

嘉義~屏東、澎湖、金馬
雖然颱風在靠近台灣的過程中可能逐漸減弱
但減弱的幅度、速度目前模式預報較為分歧
加上颱風本身結構屬於大風場
西南部又在危險半圈內
影響時間會稍微長一點點
請務必以最高規格進行防範
主要影響時間
會是在週二(11)上午至週四(13)白天!

苗栗~雲林
因為地形的關係
將取決於是以何種形式及走法
也是最難評估的區域
差一點點風雨規模就會差很多
但強風仍無可避免。

以上都還只是以目前資料進行的初步評估
還會依照颱風實際發展情形滾動式調整
無論你身在何地
這兩天都要趕緊做好防颱措施囉!

回復

使用道具 舉報

簽到天數: 3327 天

[LV.Master]伴壇終老

king111807|2025-11-8 13:19 | 顯示全部樓層
CWA 00Z巔峰上看55m/s,才剛遭受海鷗颱風重創的菲律賓,無疑是雪上加霜

中度颱風鳳凰
編號第 26 號
國際命名 FUNG-WONG
現況
2025年11月08日08時

中心位置在北緯 12.4 度,東經 132.4 度
過去移動方向 西
過去移動時速 29公里
中心氣壓 965百帕
近中心最大風速每秒 35 公尺
瞬間最大陣風每秒 45 公尺
七級風平均暴風半徑 220 公里
 西北側 240 公里 東北側 240 公里
 西南側 200 公里 東南側 180 公里
十級風平均暴風半徑 70 公里
 西北側 80 公里 東北側 80 公里
 西南側 70 公里 東南側 60 公里
預測
預測 6 小時平均移向移速為

西北西 時速 33 公里
預測 11月08日14時
中心位置在北緯 12.8 度,東經 130.6 度
中心氣壓945百帕
近中心最大風速每秒 43 公尺
瞬間最大陣風每秒 53 公尺
七級風暴風半徑 250 公里
十級風暴風半徑 80 公里
70%機率半徑 30 公里
預測 6-12 小時平均移向移速為

西北西 時速 32 公里
預測 11月08日20時
中心位置在北緯 13.2 度,東經 128.9 度
中心氣壓930百帕
近中心最大風速每秒 48 公尺
瞬間最大陣風每秒 58 公尺
七級風暴風半徑 300 公里
十級風暴風半徑 100 公里
70%機率半徑 60 公里
預測 12-18 小時平均移向移速為

西北西 時速 33 公里
預測 11月09日02時
中心位置在北緯 13.6 度,東經 127.1 度
中心氣壓925百帕
近中心最大風速每秒 51 公尺
瞬間最大陣風每秒 63 公尺
七級風暴風半徑 320 公里
十級風暴風半徑 110 公里
70%機率半徑 70 公里
預測 18-24 小時平均移向移速為

西北西 時速 32 公里
預測 11月09日08時
中心位置在北緯 14.3 度,東經 125.5 度
中心氣壓915百帕
近中心最大風速每秒 53 公尺
瞬間最大陣風每秒 65 公尺
七級風暴風半徑 320 公里
十級風暴風半徑 110 公里
70%機率半徑 90 公里
預測 24-36 小時平均移向移速為

西北西 時速 31 公里
預測 11月09日20時
中心位置在北緯 15.8 度,東經 122.4 度
中心氣壓910百帕
近中心最大風速每秒 55 公尺
瞬間最大陣風每秒 68 公尺
七級風暴風半徑 320 公里
十級風暴風半徑 110 公里

70%機率半徑 120 公里
預測 36-48 小時平均移向移速為

西北西 時速 25 公里
預測 11月10日08時
中心位置在北緯 16.8 度,東經 119.8 度
中心氣壓945百帕
近中心最大風速每秒 43 公尺
瞬間最大陣風每秒 53 公尺
七級風暴風半徑 300 公里
十級風暴風半徑 100 公里
70%機率半徑 170 公里
預測 48-72 小時平均移向移速為

西北 時速 12 公里
預測 11月11日08時
中心位置在北緯 18.9 度,東經 118.2 度
中心氣壓950百帕
近中心最大風速每秒 40 公尺
瞬間最大陣風每秒 50 公尺
七級風暴風半徑 280 公里
十級風暴風半徑 90 公里
70%機率半徑 210 公里
預測 72-96 小時平均移向移速為

北 時速 12 公里
預測 11月12日08時
中心位置在北緯 21.4 度,東經 118.6 度
中心氣壓965百帕
近中心最大風速每秒 35 公尺
瞬間最大陣風每秒 45 公尺
七級風暴風半徑 220 公里
十級風暴風半徑 70 公里
70%機率半徑 320 公里
預測 96-120 小時平均移向移速為

東北 時速 14 公里
預測 11月13日08時
中心位置在北緯 23.9 度,東經 120.5 度
中心氣壓998百帕
近中心最大風速每秒 18 公尺
瞬間最大陣風每秒 25 公尺
七級風暴風半徑 120 公里
70%機率半徑 410 公里
Download_PTA_202511080000_FUNG-WONG_zhtw.png
32.png
fnv3_32W_ensemble_2025110718.png
fnv3_32W_probability_2025110718.png
013000-color.png
himawari8_vis_32W.gif
回復

使用道具 舉報

簽到天數: 3327 天

[LV.Master]伴壇終老

king111807|2025-11-8 17:02 | 顯示全部樓層
577813008_1275031547988734_2752703929993817490_n.jpg
鳳凰持續增強中
目前已達中度颱風中段班
預計明天可達強颱巔峰狀態。

鳳凰體型龐大,環流整合超費力
面積足足有好幾個台灣大
甚至能整個罩住菲律賓!
以現在這發展速度來看,真的不簡單!

回復

使用道具 舉報

簽到天數: 3327 天

[LV.Master]伴壇終老

king111807|2025-11-8 17:23 | 顯示全部樓層
JTWC升格C2,評價90節

WTPN32 PGTW 080900
MSGID/GENADMIN/JOINT TYPHOON WRNCEN PEARL HARBOR HI//
SUBJ/TYPHOON 32W (FUNG-WONG) WARNING NR 017//
RMKS/
1. TYPHOON 32W (FUNG-WONG) WARNING NR 017   
   01 ACTIVE TROPICAL CYCLONE IN NORTHWESTPAC
   MAX SUSTAINED WINDS BASED ON ONE-MINUTE AVERAGE
   WIND RADII VALID OVER OPEN WATER ONLY
    ---
   WARNING POSITION:
   080600Z --- NEAR 13.0N 130.6E
     MOVEMENT PAST SIX HOURS - 290 DEGREES AT 19 KTS
     POSITION ACCURATE TO WITHIN 035 NM
     POSITION BASED ON EYE FIXED BY SATELLITE
   PRESENT WIND DISTRIBUTION:
   MAX SUSTAINED WINDS - 090 KT, GUSTS 110 KT
   WIND RADII VALID OVER OPEN WATER ONLY
   RADIUS OF 064 KT WINDS - 060 NM NORTHEAST QUADRANT
                            040 NM SOUTHEAST QUADRANT
                            080 NM SOUTHWEST QUADRANT
                            080 NM NORTHWEST QUADRANT
   RADIUS OF 050 KT WINDS - 120 NM NORTHEAST QUADRANT
                            070 NM SOUTHEAST QUADRANT
                            130 NM SOUTHWEST QUADRANT
                            140 NM NORTHWEST QUADRANT
   RADIUS OF 034 KT WINDS - 215 NM NORTHEAST QUADRANT
                            120 NM SOUTHEAST QUADRANT
                            170 NM SOUTHWEST QUADRANT
                            240 NM NORTHWEST QUADRANT
   REPEAT POSIT: 13.0N 130.6E
    ---
   FORECASTS:
   12 HRS, VALID AT:
   081800Z --- 14.0N 127.2E
   MAX SUSTAINED WINDS - 105 KT, GUSTS 130 KT
   WIND RADII VALID OVER OPEN WATER ONLY
   RADIUS OF 064 KT WINDS - 050 NM NORTHEAST QUADRANT
                            050 NM SOUTHEAST QUADRANT
                            060 NM SOUTHWEST QUADRANT
                            070 NM NORTHWEST QUADRANT
   RADIUS OF 050 KT WINDS - 110 NM NORTHEAST QUADRANT
                            090 NM SOUTHEAST QUADRANT
                            110 NM SOUTHWEST QUADRANT
                            120 NM NORTHWEST QUADRANT
   RADIUS OF 034 KT WINDS - 220 NM NORTHEAST QUADRANT
                            170 NM SOUTHEAST QUADRANT
                            160 NM SOUTHWEST QUADRANT
                            250 NM NORTHWEST QUADRANT
   VECTOR TO 24 HR POSIT: 290 DEG/ 16 KTS
    ---
   24 HRS, VALID AT:
   090600Z --- 15.1N 124.1E
   MAX SUSTAINED WINDS - 110 KT, GUSTS 135 KT
   WIND RADII VALID OVER OPEN WATER ONLY
   RADIUS OF 064 KT WINDS - 050 NM NORTHEAST QUADRANT
                            050 NM SOUTHEAST QUADRANT
                            060 NM SOUTHWEST QUADRANT
                            060 NM NORTHWEST QUADRANT
   RADIUS OF 050 KT WINDS - 100 NM NORTHEAST QUADRANT
                            080 NM SOUTHEAST QUADRANT
                            100 NM SOUTHWEST QUADRANT
                            100 NM NORTHWEST QUADRANT
   RADIUS OF 034 KT WINDS - 220 NM NORTHEAST QUADRANT
                            170 NM SOUTHEAST QUADRANT
                            160 NM SOUTHWEST QUADRANT
                            240 NM NORTHWEST QUADRANT
   VECTOR TO 36 HR POSIT: 295 DEG/ 13 KTS
    ---
   36 HRS, VALID AT:
   091800Z --- 16.2N 121.6E
   MAX SUSTAINED WINDS - 090 KT, GUSTS 110 KT
   WIND RADII VALID OVER OPEN WATER ONLY
   RADIUS OF 064 KT WINDS - 040 NM NORTHEAST QUADRANT
                            030 NM SOUTHEAST QUADRANT
                            040 NM SOUTHWEST QUADRANT
                            040 NM NORTHWEST QUADRANT
   RADIUS OF 050 KT WINDS - 090 NM NORTHEAST QUADRANT
                            060 NM SOUTHEAST QUADRANT
                            080 NM SOUTHWEST QUADRANT
                            080 NM NORTHWEST QUADRANT
   RADIUS OF 034 KT WINDS - 230 NM NORTHEAST QUADRANT
                            170 NM SOUTHEAST QUADRANT
                            160 NM SOUTHWEST QUADRANT
                            230 NM NORTHWEST QUADRANT
   VECTOR TO 48 HR POSIT: 305 DEG/ 09 KTS
    ---
   EXTENDED OUTLOOK:
   48 HRS, VALID AT:
   100600Z --- 17.2N 120.0E
   MAX SUSTAINED WINDS - 075 KT, GUSTS 090 KT
   WIND RADII VALID OVER OPEN WATER ONLY
   RADIUS OF 064 KT WINDS - 040 NM NORTHEAST QUADRANT
                            030 NM SOUTHEAST QUADRANT
                            060 NM SOUTHWEST QUADRANT
                            040 NM NORTHWEST QUADRANT
   RADIUS OF 050 KT WINDS - 100 NM NORTHEAST QUADRANT
                            070 NM SOUTHEAST QUADRANT
                            090 NM SOUTHWEST QUADRANT
                            080 NM NORTHWEST QUADRANT
   RADIUS OF 034 KT WINDS - 230 NM NORTHEAST QUADRANT
                            150 NM SOUTHEAST QUADRANT
                            150 NM SOUTHWEST QUADRANT
                            230 NM NORTHWEST QUADRANT
   VECTOR TO 72 HR POSIT: 325 DEG/ 06 KTS
    ---
   72 HRS, VALID AT:
   110600Z --- 19.2N 118.6E
   MAX SUSTAINED WINDS - 060 KT, GUSTS 075 KT
   WIND RADII VALID OVER OPEN WATER ONLY
   RADIUS OF 050 KT WINDS - 050 NM NORTHEAST QUADRANT
                            050 NM SOUTHEAST QUADRANT
                            080 NM SOUTHWEST QUADRANT
                            090 NM NORTHWEST QUADRANT
   RADIUS OF 034 KT WINDS - 220 NM NORTHEAST QUADRANT
                            130 NM SOUTHEAST QUADRANT
                            130 NM SOUTHWEST QUADRANT
                            200 NM NORTHWEST QUADRANT
   VECTOR TO 96 HR POSIT: 015 DEG/ 08 KTS
    ---
   LONG RANGE OUTLOOK:
    ---
   96 HRS, VALID AT:
   120600Z --- 22.3N 119.6E
   MAX SUSTAINED WINDS - 055 KT, GUSTS 070 KT
   WIND RADII VALID OVER OPEN WATER ONLY
   RADIUS OF 050 KT WINDS - 040 NM NORTHEAST QUADRANT
                            030 NM SOUTHEAST QUADRANT
                            040 NM SOUTHWEST QUADRANT
                            050 NM NORTHWEST QUADRANT
   RADIUS OF 034 KT WINDS - 260 NM NORTHEAST QUADRANT
                            100 NM SOUTHEAST QUADRANT
                            090 NM SOUTHWEST QUADRANT
                            120 NM NORTHWEST QUADRANT
   VECTOR TO 120 HR POSIT: 045 DEG/ 08 KTS
    ---
   120 HRS, VALID AT:
   130600Z --- 24.5N 121.9E
   MAX SUSTAINED WINDS - 050 KT, GUSTS 065 KT
   WIND RADII VALID OVER OPEN WATER ONLY
   RADIUS OF 050 KT WINDS - 020 NM NORTHEAST QUADRANT
                            030 NM SOUTHEAST QUADRANT
                            010 NM SOUTHWEST QUADRANT
                            020 NM NORTHWEST QUADRANT
   RADIUS OF 034 KT WINDS - 190 NM NORTHEAST QUADRANT
                            060 NM SOUTHEAST QUADRANT
                            070 NM SOUTHWEST QUADRANT
                            080 NM NORTHWEST QUADRANT
    ---
REMARKS:
080900Z POSITION NEAR 13.3N 129.7E.
08NOV25. TYPHOON 32W (FUNG-WONG), LOCATED APPROXIMATELY 381 NM
NORTHWEST OF KAYANGEL, HAS TRACKED WEST-NORTHWESTWARD AT 19 KNOTS
OVER THE PAST SIX HOURS.
MINIMUM CENTRAL PRESSURE AT 080600Z IS 971 MB. MAXIMUM
SIGNIFICANT WAVE HEIGHT AT 080600Z IS 32 FEET. NEXT WARNINGS AT
081500Z, 082100Z, 090300Z AND 090900Z.//
NNNN
wp3225.gif
32W_080600sair.jpg
aifs_ens_wp.png
20251108_041836_WP322025_amsr2_gcom-w1_color89_79kts_100p00_res1p0-cr100-artb89h.png
rb-animated.gif
回復

使用道具 舉報

快速回覆
您需要登錄後才可以回帖 登錄 | 立即加入

本版積分規則

本平台僅供學術討論之用,預報應以氣象局為準

威普網站虛擬主機贊助公司

臺灣第一個天氣類型社群平台 即時天氣資訊、精準颱風動態

線上客服
FB傳送訊息
廣告行銷
精準行銷 物超所值
官方粉專
發佈 快速回復 返回頂部 返回列表