開啟輔助訪問
 找回密碼
 立即加入

1411 哈隆 日本四國雨量破千 轉化溫氣

簽到天數: 971 天

[LV.10]以壇為家III

jwpk9899|2014-8-3 14:30 | 顯示全部樓層
雖然是昨天的可見光
不過還是分享給各位大大看看~有沒有發現甚麼呢?
看不出來可以看看第2張哦
20140802.0801.MTSAT2.vis.11W.HALONG.WPAC.png
10511266_935827256431282_2030787029299398584_n.png






評分

參與人數 1水氣能量 +10 收起 理由
kiki3354347 + 10 跟你好像:)))))

查看全部評分

回復

使用道具 舉報

簽到天數: 588 天

[LV.9]以壇為家II

Meow|2014-8-3 14:48 | 顯示全部樓層
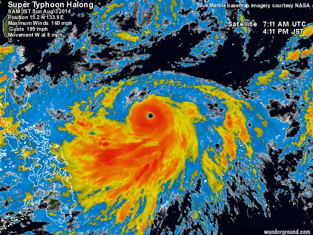
今年第一個猛烈颱風成真!105 節、915 百帕。

1411-00.png

台風第11号 (ハーロン)
平成26年08月03日15時45分 発表

<03日15時の実況>
大きさ        -
強さ        猛烈な
存在地域        フィリピンの東
中心位置        北緯 15度35分(15.6度)
東経 133度05分(133.1度)
進行方向、速さ        西北西 15km/h(8kt)
中心気圧        915hPa
中心付近の最大風速        55m/s(105kt)
最大瞬間風速        75m/s(150kt)
25m/s以上の暴風域        全域 170km(90NM)
15m/s以上の強風域        南側 390km(210NM)
北側 330km(180NM)

<04日15時の予報>
強さ        猛烈な
存在地域        フィリピンの東
予報円の中心        北緯 17度20分(17.3度)
東経 131度00分(131.0度)
進行方向、速さ        北西 10km/h(6kt)
中心気圧        915hPa
中心付近の最大風速        55m/s(105kt)
最大瞬間風速        75m/s(150kt)
予報円の半径        130km(70NM)
暴風警戒域        全域 300km(160NM)

<05日15時の予報>
強さ        猛烈な
存在地域        フィリピンの東
予報円の中心        北緯 19度25分(19.4度)
東経 130度10分(130.2度)
進行方向、速さ        北北西 10km/h(6kt)
中心気圧        915hPa
中心付近の最大風速        55m/s(105kt)
最大瞬間風速        75m/s(150kt)
予報円の半径        200km(110NM)
暴風警戒域        全域 370km(200NM)

<06日15時の予報>
強さ        猛烈な
存在地域        日本の南
予報円の中心        北緯 22度40分(22.7度)
東経 130度35分(130.6度)
進行方向、速さ        北 15km/h(8kt)
中心気圧        915hPa
中心付近の最大風速        55m/s(105kt)
最大瞬間風速        75m/s(150kt)
予報円の半径        410km(220NM)
暴風警戒域        全域 560km(300NM)
回復

使用道具 舉報

簽到天數: 12 天

[LV.3]偶爾看看II

ktf|2014-8-3 14:53 | 顯示全部樓層
台北正在下午後雷雨,以風場來看,範圍是較為緊縮,最外圍風場有機會影響不到台灣
所以看來有機會躲過下沉,偏向午後熱對流型態
原先擔心風場明顯擴大,現在來看還好

回復

使用道具 舉報

簽到天數: 969 天

[LV.10]以壇為家III

kbty245|2014-8-3 15:10 | 顯示全部樓層
眼牆換置似乎開始了....

之後的環境還不錯,就是風切偏強,能不能在增強就看換置結果了(夏颱一般來說受制於北方副高強大的下沉乾區,換置成功率不高,只是現在副高偏弱,又沒明顯的乾區,成功率會比較高)

路徑方面北轉是幾乎確定的事,要注意的是哈隆來到琉球海域時,有可能會由陸高接手讓哈隆往西北轉折,這個西折角度就要看哈隆北轉的經度和之後西環的勢力,部份數值甚至直接轉正西-西南西直撲台灣北部,當然,現在預報是以進入東海為主
20140803.0536.f15.85rgb.11W.HALONG.140kts.918mb.15.7N.133E.65pc (1).jpg
10340009_4394579640244_1428252249865217246_n.jpg
10580163_4394610041004_4158608156245562706_n.jpg

評分

參與人數 4水氣能量 +50 收起 理由
喵的爺 + 20 有趣!
蜜露 + 10 贊一個! 皮膚色路徑~呵呵呵
馬利克 + 10 贊一個!
blackcat + 10 贊一個!

查看全部評分

回復

使用道具 舉報

簽到天數: 39 天

[LV.5]常住居民I

馬利克|2014-8-3 15:19 | 顯示全部樓層
wp201411_sat.jpg

wp201411_sat_2.jpg
結構太完整了!也差不多巔峰了吧,眼牆置換後還有機會發展嗎。

回復

使用道具 舉報

簽到天數: 241 天

[LV.8]以壇為家I

krichard2011|2014-8-3 17:46 | 顯示全部樓層
雙眼牆的問題似乎沒了
最近一張雖然只有拍到一半
不過外眼牆似乎已斷裂變成螺旋雨帶
剩下裏面扎實的內眼牆
入夜之後強度應該還有機會再衝一點點
20140803.0826.f17.x.colorpct_91h_91v.11WHALONG.140kts-918mb-157N-1330E.53pc.jpg
回復

使用道具 舉報

該用戶從未簽到

logdog|2014-8-3 18:02 | 顯示全部樓層
這張圖讓我感覺有點抖
究竟會不會...持續偏西呢?
79_86152_495a647e156583c.gif

點評

早前已說娜基莉走後,副高是有西伸現象,夏浪是否北走,就得看副高是從北面抑或夏浪南面西伸啦。  發表於 2014-8-3 19:00
這反演的看看就好  發表於 2014-8-3 18:22
回復

使用道具 舉報

簽到天數: 88 天

[LV.6]常住居民II

supraexe|2014-8-3 18:46 | 顯示全部樓層
提示: 該帖被管理員或版主屏蔽
回復

使用道具 舉報

快速回覆
您需要登錄後才可以回帖 登錄 | 立即加入

本版積分規則

本平台僅供學術討論之用,預報應以氣象局為準

威普網站虛擬主機贊助公司

臺灣第一個天氣類型社群平台 即時天氣資訊、精準颱風動態

線上客服
FB傳送訊息
廣告行銷
精準行銷 物超所值
官方粉專
發佈 快速回復 返回頂部 返回列表