開啟輔助訪問
 找回密碼
 立即加入

01E.Amanda 歷年來五月最強颶風!

簽到天數: 3293 天

[LV.Master]伴壇終老

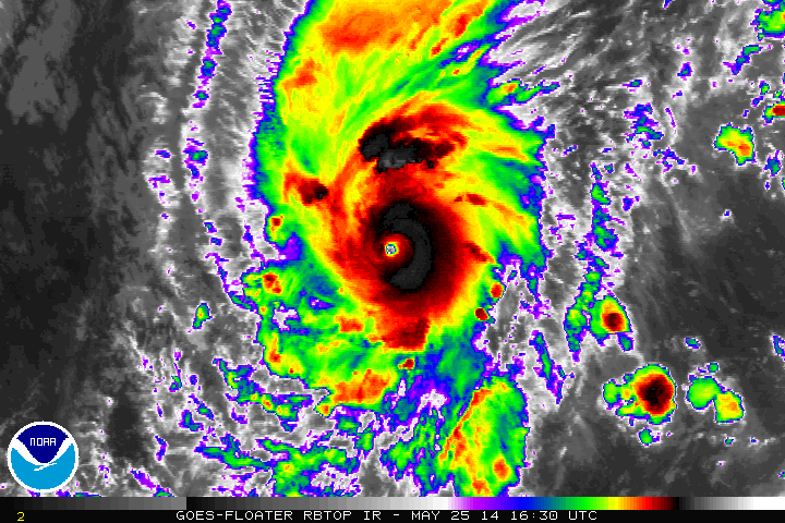
t02436|2014-5-26 00:56 | 顯示全部樓層
西側貌似破了@@?
rbtop0.gif


北側風切強勁
巔峰可能就此過了
wg9sht.GIF


可見光
20140525.1601.goes-15.vis.1km.01E.AMANDA.135kts.932mb.11.7N.111.1W.100pc.jpg

來張不同的
sat_pacific_640x480.jpg


15Z風場
Screenshot_2014-05-26-00-11-41.jpg


Screenshot_2014-05-26-00-09-40.jpg

回復

使用道具 舉報

簽到天數: 241 天

[LV.8]以壇為家I

krichard2011|2014-5-26 01:32 | 顯示全部樓層
本帖最後由 krichard2011 於 2014-5-26 01:35 編輯

原以為對流會改善
不過似乎越來越差 C5大概也有點困難了
巔峰大概就是現在
似乎有疑似眼牆置換的情形發生
不過沒有最新掃描無法確定
但也不排除是對流的日夜變化
只能期待入夜後能否有奇跡出現
不過前提是要在北轉之前達成
20140525.1700.goes15.ir.BD.01EAMANDA.135kts-932mb.jpg

點評

1745Z 的圖像顯示對流和風眼又改善了  發表於 2014-5-26 02:24
回復

使用道具 舉報

簽到天數: 588 天

[LV.9]以壇為家II

Meow|2014-5-26 03:04 | 顯示全部樓層
巔峰確定過了,風速下降到 130 節。

EP, 01, 2014052518, , BEST, 0, 121N, 1112W, 130, 935, HU
回復

使用道具 舉報

簽到天數: 241 天

[LV.8]以壇為家I

krichard2011|2014-5-26 07:44 | 顯示全部樓層
來分享一下應該是處於巔峰時期的Amanda
MODIS/Terra 高質量雲圖..
index.jpg

至於說到目前的狀況
結構好像又有好一點的樣子 W環又繞滿一圈了
不過似乎有開始捲入乾空氣的跡象
底層已經有開始消弱的趨勢 不過整體看起來還OK
20140525.2300.goes15.ir.BD.01EAMANDA.130kts-935mb.jpg
20140525.2228.f15.x.colorpct_85h_85v.01EAMANDA.130kts-935mb-121N-1112W.73pc.jpg
回復

使用道具 舉報

簽到天數: 241 天

[LV.8]以壇為家I

krichard2011|2014-5-26 08:34 | 顯示全部樓層
再來一張特別一點的衛星雲圖
轉自STORM2K
15oibo5.jpg
原始大小 https://upload.wikimedia.org/wik ... urricane_Amanda.png

目前W環再度瓦解
而且北方的環境已經對她相當不利
未來幾個小時應該會逐漸減弱
20140525.2330.goes15.ir.BD.01EAMANDA.130kts-935mb.jpg
wg9sht.GIF

點評

那張圖缺乏來源,我已要求上傳者儘速改善。  發表於 2014-5-26 13:10

評分

參與人數 1水氣能量 +25 收起 理由
ben811018 + 25 贊一個!

查看全部評分

回復

使用道具 舉報

簽到天數: 1989 天

[LV.Master]伴壇終老

ben811018|2014-5-26 23:18 | 顯示全部樓層

點評

Hellen 升格C5可能性最高.Dvorak FT有7.2  發表於 2014-5-27 10:37
看 NHC 的意思  發表於 2014-5-27 00:06
不知道年鑑會不會調整? 話說JTWC BEST TRACK好像拖很久了  發表於 2014-5-26 23:38
回復

使用道具 舉報

簽到天數: 241 天

[LV.8]以壇為家I

krichard2011|2014-5-27 15:44 | 顯示全部樓層
本帖最後由 krichard2011 於 2014-5-27 15:53 編輯

二次爆發?
最近這幾個小時 風眼又逐漸轉清晰
且環繞著滿完整的CMG環 情對流仍在爆發中
NHC也再度調升強度至 110 kt
能否有第二次巔峰值得看下去
EP, 01, 2014052706,   , BEST,   0, 140N, 1121W, 110,  954, HU,  64, NEQ,   20,   20,   15,   20, 1010,  180,  10,   0,   0,   E,   0,    ,   0,   0,     AMANDA, D,

除此之外 T值在度上衝 目前已經衝到 T6.7 Raw T7.0 @@
                CI# /Pressure/ Vmax
                6.1 / 949.3mb/117.4kt

     
             Final T#  Adj T#  Raw T#
                6.1     6.7     7.0

20140527.0701.goes15.ir.BD.01EAMANDA.95kts-966mb.jpg
20140527.0701.goes15.x.ir1km.01EAMANDA.95kts-966mb-135N-1119W.100pc.jpg
01EP.GIF

點評

J18
後期往偏東方向移動仍可能再增強!  發表於 2014-5-27 19:24
回復

使用道具 舉報

簽到天數: 582 天

[LV.9]以壇為家II

蜜露|2014-5-27 17:54 | 顯示全部樓層


阿曼達颶風的巔峰附近美圖

20140525.1200.goes-15.ir.01E.AMANDA.120kts.946mb.11.6N.110.8W.100pc.jpg


20140525.1200.goes-15.ircolor.01E.AMANDA.120kts.946mb.11.6N.110.8W.100pc.jpg


20140525.0900.goes15.x.wv1km.01EAMANDA.120kts-946mb-116N-1108W.100pc.jpg


20140526.0850.GCOMW1.x.colorpct_89h_89v.01EAMANDA.120kts-945mb-128N-1115W.90pc.jpg


評分

參與人數 1水氣能量 +20 收起 理由
t02436 + 20 贊一個!

查看全部評分

回復

使用道具 舉報

快速回覆
您需要登錄後才可以回帖 登錄 | 立即加入

本版積分規則

本平台僅供學術討論之用,預報應以氣象局為準

威普網站虛擬主機贊助公司

臺灣第一個天氣類型社群平台 即時天氣資訊、精準颱風動態

線上客服
FB傳送訊息
廣告行銷
精準行銷 物超所值
官方粉專
發佈 快速回復 返回頂部 返回列表