開啟輔助訪問
 找回密碼
 立即加入

2522 哈隆 巔峰達強颱 伊豆諸島發布特別警報 加速東北行

簽到天數: 582 天

[LV.9]以壇為家II

蜜露|2025-10-7 18:15 | 顯示全部樓層
本帖最後由 蜜露 於 2025-10-7 18:18 編輯

日本名古屋大學繼浣熊颱風之後,今天中午2小時飛機穿心了3次投落送
應該是台北時間中午12~14點左右

20251007_042213_WP282025_amsr2_gcom-w1_89H_95kts_100p00_res1p0-cr100-artb89hA-bg.jpg

KsUUGQX.jpg

161247mnl7l9g79lblzqqh.jpeg


飛機穿心觀測3次 氣壓最低是959.0hPa   哈隆颱風正在加強中..氣壓估計還會更低








回復

使用道具 舉報

簽到天數: 3291 天

[LV.Master]伴壇終老

king111807|2025-10-8 06:10 | 顯示全部樓層
JTWC直接升格C4

WTPN32 PGTW 072100
MSGID/GENADMIN/JOINT TYPHOON WRNCEN PEARL HARBOR HI//
SUBJ/TYPHOON 28W (HALONG) WARNING NR 014//
RMKS/
1. TYPHOON 28W (HALONG) WARNING NR 014   
   01 ACTIVE TROPICAL CYCLONE IN NORTHWESTPAC
   MAX SUSTAINED WINDS BASED ON ONE-MINUTE AVERAGE
   WIND RADII VALID OVER OPEN WATER ONLY
    ---
   WARNING POSITION:
   071800Z --- NEAR 28.8N 137.0E
     MOVEMENT PAST SIX HOURS - 345 DEGREES AT 07 KTS
     POSITION ACCURATE TO WITHIN 045 NM
     POSITION BASED ON EYE FIXED BY SATELLITE
   PRESENT WIND DISTRIBUTION:
   MAX SUSTAINED WINDS - 120 KT, GUSTS 145 KT
   WIND RADII VALID OVER OPEN WATER ONLY
   RADIUS OF 064 KT WINDS - 025 NM NORTHEAST QUADRANT
                            025 NM SOUTHEAST QUADRANT
                            020 NM SOUTHWEST QUADRANT
                            025 NM NORTHWEST QUADRANT
   RADIUS OF 050 KT WINDS - 045 NM NORTHEAST QUADRANT
                            045 NM SOUTHEAST QUADRANT
                            035 NM SOUTHWEST QUADRANT
                            040 NM NORTHWEST QUADRANT
   RADIUS OF 034 KT WINDS - 100 NM NORTHEAST QUADRANT
                            100 NM SOUTHEAST QUADRANT
                            060 NM SOUTHWEST QUADRANT
                            070 NM NORTHWEST QUADRANT
   REPEAT POSIT: 28.8N 137.0E
    ---
   FORECASTS:
   12 HRS, VALID AT:
   080600Z --- 30.4N 137.4E
   MAX SUSTAINED WINDS - 125 KT, GUSTS 150 KT
   WIND RADII VALID OVER OPEN WATER ONLY
   RADIUS OF 064 KT WINDS - 030 NM NORTHEAST QUADRANT
                            040 NM SOUTHEAST QUADRANT
                            030 NM SOUTHWEST QUADRANT
                            030 NM NORTHWEST QUADRANT
   RADIUS OF 050 KT WINDS - 050 NM NORTHEAST QUADRANT
                            060 NM SOUTHEAST QUADRANT
                            040 NM SOUTHWEST QUADRANT
                            050 NM NORTHWEST QUADRANT
   RADIUS OF 034 KT WINDS - 110 NM NORTHEAST QUADRANT
                            120 NM SOUTHEAST QUADRANT
                            080 NM SOUTHWEST QUADRANT
                            090 NM NORTHWEST QUADRANT
   VECTOR TO 24 HR POSIT: 040 DEG/ 11 KTS
    ---
   24 HRS, VALID AT:
   081800Z --- 32.1N 139.1E
   MAX SUSTAINED WINDS - 120 KT, GUSTS 145 KT
   WIND RADII VALID OVER OPEN WATER ONLY
   RADIUS OF 064 KT WINDS - 040 NM NORTHEAST QUADRANT
                            040 NM SOUTHEAST QUADRANT
                            030 NM SOUTHWEST QUADRANT
                            040 NM NORTHWEST QUADRANT
   RADIUS OF 050 KT WINDS - 060 NM NORTHEAST QUADRANT
                            060 NM SOUTHEAST QUADRANT
                            050 NM SOUTHWEST QUADRANT
                            060 NM NORTHWEST QUADRANT
   RADIUS OF 034 KT WINDS - 130 NM NORTHEAST QUADRANT
                            120 NM SOUTHEAST QUADRANT
                            100 NM SOUTHWEST QUADRANT
                            130 NM NORTHWEST QUADRANT
   VECTOR TO 36 HR POSIT: 065 DEG/ 16 KTS
    ---
   36 HRS, VALID AT:
   090600Z --- 33.3N 142.7E
   MAX SUSTAINED WINDS - 110 KT, GUSTS 135 KT
   WIND RADII VALID OVER OPEN WATER ONLY
   BECOMING EXTRATROPICAL
   RADIUS OF 064 KT WINDS - 030 NM NORTHEAST QUADRANT
                            040 NM SOUTHEAST QUADRANT
                            040 NM SOUTHWEST QUADRANT
                            040 NM NORTHWEST QUADRANT
   RADIUS OF 050 KT WINDS - 070 NM NORTHEAST QUADRANT
                            060 NM SOUTHEAST QUADRANT
                            060 NM SOUTHWEST QUADRANT
                            070 NM NORTHWEST QUADRANT
   RADIUS OF 034 KT WINDS - 150 NM NORTHEAST QUADRANT
                            130 NM SOUTHEAST QUADRANT
                            130 NM SOUTHWEST QUADRANT
                            140 NM NORTHWEST QUADRANT
   VECTOR TO 48 HR POSIT: 080 DEG/ 22 KTS
    ---
   EXTENDED OUTLOOK:
   48 HRS, VALID AT:
   091800Z --- 34.0N 148.0E
   MAX SUSTAINED WINDS - 095 KT, GUSTS 115 KT
   WIND RADII VALID OVER OPEN WATER ONLY
   BECOMING EXTRATROPICAL
   RADIUS OF 064 KT WINDS - 020 NM NORTHEAST QUADRANT
                            040 NM SOUTHEAST QUADRANT
                            040 NM SOUTHWEST QUADRANT
                            040 NM NORTHWEST QUADRANT
   RADIUS OF 050 KT WINDS - 070 NM NORTHEAST QUADRANT
                            070 NM SOUTHEAST QUADRANT
                            070 NM SOUTHWEST QUADRANT
                            070 NM NORTHWEST QUADRANT
   RADIUS OF 034 KT WINDS - 150 NM NORTHEAST QUADRANT
                            140 NM SOUTHEAST QUADRANT
                            150 NM SOUTHWEST QUADRANT
                            150 NM NORTHWEST QUADRANT
   VECTOR TO 72 HR POSIT: 080 DEG/ 29 KTS
    ---
   72 HRS, VALID AT:
   101800Z --- 35.2N 161.9E
   MAX SUSTAINED WINDS - 060 KT, GUSTS 075 KT
   WIND RADII VALID OVER OPEN WATER ONLY
   EXTRATROPICAL
   RADIUS OF 050 KT WINDS - 030 NM NORTHEAST QUADRANT
                            060 NM SOUTHEAST QUADRANT
                            060 NM SOUTHWEST QUADRANT
                            040 NM NORTHWEST QUADRANT
   RADIUS OF 034 KT WINDS - 140 NM NORTHEAST QUADRANT
                            170 NM SOUTHEAST QUADRANT
                            190 NM SOUTHWEST QUADRANT
                            160 NM NORTHWEST QUADRANT
    ---
REMARKS:
072100Z POSITION NEAR 29.2N 137.1E.
07OCT25. TYPHOON 28W (HALONG), LOCATED APPROXIMATELY 413 NM
SOUTH-SOUTHWEST OF YOKOSUKA, JAPAN, HAS TRACKED NORTH-
NORTHWESTWARD AT 07 KNOTS OVER THE PAST SIX HOURS.
MINIMUM CENTRAL PRESSURE AT 071800Z IS 936 MB.
MAXIMUM SIGNIFICANT WAVE HEIGHT AT 071800Z IS 48 FEET.
NEXT WARNINGS AT 080300Z, 080900Z, 081500Z AND 082100Z.//
NNNN

wp2825.gif
28W_071800sair.jpg
28W_color37_20251007162818.jpeg
28W_89H_20251007162818.jpeg
ascat_wind_28W_202510071232.png
28W_RGB.png
28W_TRUECOLOR.png

回復

使用道具 舉報

簽到天數: 3291 天

[LV.Master]伴壇終老

king111807|2025-10-8 10:32 | 顯示全部樓層
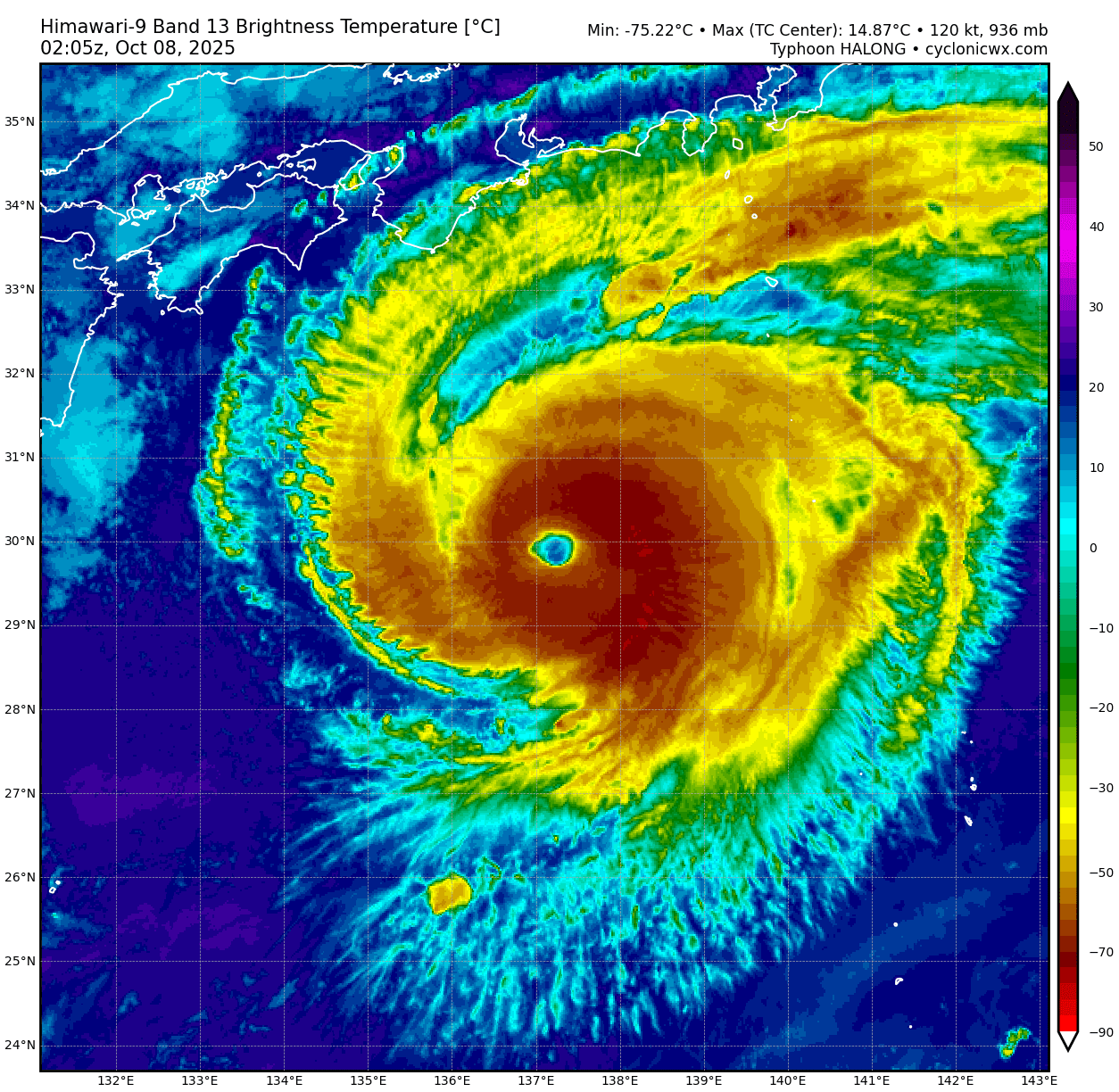
CWA升格強颱

強烈颱風哈隆
編號第 22 號
國際命名 HALONG
現況
2025年10月08日08時

中心位置在北緯 29.5 度,東經 137.0 度
過去移動方向 北
過去移動時速 13公里
中心氣壓 935百帕
近中心最大風速每秒 51 公尺
瞬間最大陣風每秒 63 公尺
七級風平均暴風半徑 220 公里
 西北側 210 公里 東北側 230 公里
 西南側 210 公里 東南側 230 公里
十級風平均暴風半徑 100 公里
 西北側 100 公里 東北側 110 公里
 西南側 90 公里 東南側 110 公里
預測
預測 6 小時平均移向移速為

北北東 時速 20 公里
預測 10月08日14時
中心位置在北緯 30.5 度,東經 137.5 度
中心氣壓935百帕
近中心最大風速每秒 51 公尺
瞬間最大陣風每秒 63 公尺
七級風暴風半徑 220 公里
十級風暴風半徑 100 公里
70%機率半徑 30 公里
預測 6-12 小時平均移向移速為

東北 時速 21 公里
預測 10月08日20時
中心位置在北緯 31.4 度,東經 138.3 度
中心氣壓935百帕
近中心最大風速每秒 51 公尺
瞬間最大陣風每秒 63 公尺
七級風暴風半徑 220 公里
十級風暴風半徑 100 公里
70%機率半徑 60 公里
預測 12-18 小時平均移向移速為

東北 時速 25 公里
預測 10月09日02時
中心位置在北緯 32.4 度,東經 139.4 度
中心氣壓935百帕
近中心最大風速每秒 51 公尺
瞬間最大陣風每秒 63 公尺
七級風暴風半徑 250 公里
十級風暴風半徑 100 公里
70%機率半徑 70 公里
預測 18-24 小時平均移向移速為

東北東 時速 26 公里
預測 10月09日08時
中心位置在北緯 33.0 度,東經 140.9 度
中心氣壓935百帕
近中心最大風速每秒 51 公尺
瞬間最大陣風每秒 63 公尺
七級風暴風半徑 250 公里
十級風暴風半徑 100 公里
70%機率半徑 90 公里
預測 24-36 小時平均移向移速為

東北東 時速 40 公里
預測 10月09日20時
中心位置在北緯 33.9 度,東經 146.0 度
中心氣壓950百帕
近中心最大風速每秒 43 公尺
瞬間最大陣風每秒 53 公尺
七級風暴風半徑 250 公里
十級風暴風半徑 100 公里
70%機率半徑 130 公里
預測 36-48 小時平均移向移速為

東 時速 62 公里
預測 10月10日08時
中心位置在北緯 34.2 度,東經 154.1 度
中心氣壓955百帕
近中心最大風速每秒 40 公尺
瞬間最大陣風每秒 50 公尺
七級風暴風半徑 250 公里
十級風暴風半徑 100 公里
70%機率半徑 190 公里
預測 48-72 小時平均移向移速為

東 時速 57 公里
預測 10月11日08時
中心位置在北緯 35.3 度,東經 168.9 度
中心氣壓970百帕
70%機率半徑 260 公里
預測 72 小時內變性為溫帶氣旋
Download_PTA_202510080000_HALONG_zhtw.png
28W_BW.png
28W_RGB.png
28W_VIS.png
28W_TRUECOLOR.png
himawari9_28W_rainbow_202510080205.png
回復

使用道具 舉報

簽到天數: 3291 天

[LV.Master]伴壇終老

king111807|2025-10-8 13:21 | 顯示全部樓層
今天還會在實測一次
【今日も飛びます!】今日8日もムーンショットプロジェクトによる台風航空機観測が行われます。「非常に強い」勢力のまま北上中の #台風22号 は、眼がくっきりとしたまま崩れずに、すでに24時間ほどが経っています。見た目で構造が崩れていないのは強い証拠。これから具体的なデータを取りに行きます。
資料來源:https://x.com/TRCatYNU/status/1975705138129162639
回復

使用道具 舉報

簽到天數: 3291 天

[LV.Master]伴壇終老

king111807|2025-10-8 13:30 | 顯示全部樓層
558997310_1246799760811913_6214808514771373557_n.jpg


哈隆躍升強烈颱風!
成為今年第3個強颱
幸好只是擦日本而過,沒有直撲!

回復

使用道具 舉報

簽到天數: 3291 天

[LV.Master]伴壇終老

king111807|2025-10-8 16:07 | 顯示全部樓層
今天早上日本氣象廳發布臨時記者會

台風第22号は、9日にかけて伊豆諸島に非常に強い勢力で接近する見込みです。
このため、東京都の伊豆諸島に暴風、波浪特別警報を発表する可能性があります。

資料來源:https://www.jma.go.jp/jma/press/2510/08a/tokukei_yokoku.html
              https://www.youtube.com/watch?v=0T1wqGl-xzQ
回復

使用道具 舉報

簽到天數: 582 天

[LV.9]以壇為家II

蜜露|2025-10-8 18:10 | 顯示全部樓層
本帖最後由 蜜露 於 2025-10-8 18:40 編輯




561326848_10233779181372750_4963574357207626373_n.jpg


今天下午2點左右實測 947.5hPa

不過3點第二次實測只剩下949.8hPa

名古屋大學的飛機8日第二天實測

颱風已經是減弱狀態了

真正的巔峰應該是昨天晚上   
回復

使用道具 舉報

簽到天數: 3291 天

[LV.Master]伴壇終老

king111807|2025-10-9 09:00 | 顯示全部樓層
CWA降格中颱

中度颱風哈隆
編號第 22 號
國際命名 HALONG
現況
2025年10月09日02時

中心位置在北緯 32.4 度,東經 139.4 度
過去移動方向 東北
過去移動時速 23公里
中心氣壓 940百帕
近中心最大風速每秒 48 公尺
瞬間最大陣風每秒 58 公尺
七級風平均暴風半徑 220 公里
 西北側 210 公里 東北側 230 公里
 西南側 210 公里 東南側 230 公里
十級風平均暴風半徑 100 公里
 西北側 100 公里 東北側 110 公里
 西南側 90 公里 東南側 110 公里
預測
預測 6 小時平均移向移速為

東北東 時速 27 公里
預測 10月09日08時
中心位置在北緯 32.9 度,東經 141.0 度
中心氣壓940百帕
近中心最大風速每秒 48 公尺
瞬間最大陣風每秒 58 公尺
七級風暴風半徑 220 公里
十級風暴風半徑 100 公里
70%機率半徑 30 公里
預測 6-12 小時平均移向移速為

東北東 時速 36 公里
預測 10月09日14時
中心位置在北緯 33.5 度,東經 143.2 度
中心氣壓940百帕
近中心最大風速每秒 48 公尺
瞬間最大陣風每秒 58 公尺
七級風暴風半徑 220 公里
十級風暴風半徑 100 公里
70%機率半徑 60 公里
預測 12-18 小時平均移向移速為

東 時速 47 公里
預測 10月09日20時
中心位置在北緯 33.8 度,東經 146.2 度
中心氣壓950百帕
近中心最大風速每秒 45 公尺
瞬間最大陣風每秒 55 公尺
七級風暴風半徑 220 公里
十級風暴風半徑 70 公里
70%機率半徑 70 公里
預測 18-24 小時平均移向移速為

東 時速 49 公里
預測 10月10日02時
中心位置在北緯 34.0 度,東經 149.4 度
中心氣壓955百帕
近中心最大風速每秒 43 公尺
瞬間最大陣風每秒 53 公尺
七級風暴風半徑 200 公里
十級風暴風半徑 70 公里
70%機率半徑 90 公里
預測 24-36 小時平均移向移速為

東 時速 54 公里
預測 10月10日14時
中心位置在北緯 34.3 度,東經 156.4 度
中心氣壓960百帕
近中心最大風速每秒 40 公尺
瞬間最大陣風每秒 50 公尺
七級風暴風半徑 180 公里
十級風暴風半徑 60 公里
70%機率半徑 130 公里
預測 36-48 小時平均移向移速為

東 時速 63 公里
預測 10月11日02時
中心位置在北緯 34.8 度,東經 164.6 度
中心氣壓965百帕
70%機率半徑 190 公里
預測 48 小時內變性為溫帶氣旋
Download_PTA_202510081800_HALONG_zhtw.png
28W_BW.png
28W_TRUECOLOR.png
28W_VIS.png
rb-animated.gif
回復

使用道具 舉報

快速回覆
您需要登錄後才可以回帖 登錄 | 立即加入

本版積分規則

本平台僅供學術討論之用,預報應以氣象局為準

威普網站虛擬主機贊助公司

臺灣第一個天氣類型社群平台 即時天氣資訊、精準颱風動態

線上客服
FB傳送訊息
廣告行銷
精準行銷 物超所值
官方粉專
發佈 快速回復 返回頂部 返回列表