開啟輔助訪問
 找回密碼
 立即加入

16E.Priscilla 自下加利福尼亞半島西岸緩慢北上

簽到天數: 4521 天

[LV.Master]伴壇終老

2025-10-3 04:49 | 顯示全部樓層
  二級颶風  
編號:16 E
名稱:Priscilla
20252802240_GOES18-ABI-FL-GEOCOLOR-EP162025-1000x1000.jpg
  基本資料  
擾動編號日期:2025 10 03 02
命名日期  :2025 10 05 05

撤編日期  :2025 10 11 23
登陸地點  :

  巔峰時期資料  
近中心最強風速 :95 kt
(
Cat.2 )
海平面最低氣壓 :958 毫巴

  過去路徑圖  
- 來源:維基百科

Priscilla_2025_path.png
  擾動編號資料  

EP, 99, 2025100218,   , BEST,   0, 124N, 1020W,  20, 1009, DB,  34, NEQ

rsbnb6xt.png

two_pac_7d0.png

two_pac_2d0.png

Tropical Weather Outlook Text        Tropical Weather Discussion
ZCZC MIATWOEP ALL
TTAA00 KNHC DDHHMM

Tropical Weather Outlook
NWS National Hurricane Center Miami FL
1100 AM PDT Thu Oct 2 2025

For the eastern and central North Pacific east of 180 longitude:

Active Systems:
The National Hurricane Center is issuing advisories on Tropical
Storm Octave, located well southwest of the southern tip of the Baja
California Peninsula.

1. Offshore of the Southwestern Coast of Mexico:
Shower and thunderstorm activity has increased in association with a
trough of low pressure located a few hundred miles off the coast of
southern and southwestern Mexico. Environmental conditions appear
conducive for gradual development, and a tropical depression is
likely to form by the weekend while the system moves generally
west-northwestward, remaining parallel to but offshore of the
southwestern coast of Mexico. Interests along the southwestern coast
of Mexico should monitor the progress of this system.
* Formation chance through 48 hours...high...70 percent.
* Formation chance through 7 days...high...90 percent.



Forecaster Reinhart
以上資料來自:NHC、颱風論壇整理製作

簽到天數: 3405 天

[LV.Master]伴壇終老

king111807|2025-10-3 04:59 | 顯示全部樓層
JTWC發布TCFA

WTPN21 PHNC 021930
MSGID/GENADMIN/JOINT TYPHOON WRNCEN PEARL HARBOR HI//
SUBJ/TROPICAL CYCLONE FORMATION ALERT (INVEST 99E)//
RMKS/
1. FORMATION OF A SIGNIFICANT TROPICAL CYCLONE IS POSSIBLE WITHIN
100 NM EITHER SIDE OF A LINE FROM 12.3N 101.8W TO 13.7N 104.8W
WITHIN THE NEXT 12 TO 24 HOURS. AVAILABLE DATA DOES NOT JUSTIFY
ISSUANCE OF NUMBERED TROPICAL CYCLONE WARNINGS AT THIS TIME.
WINDS IN THE AREA ARE ESTIMATED TO BE 18 TO 23 KNOTS. METSAT
IMAGERY AT 021800Z INDICATES THAT A CIRCULATION CENTER IS LOCATED
NEAR 12.4N 102.0W. THE SYSTEM IS MOVING WESTWARD AT 06 KNOTS.
2. REMARKS: THE AREA OF CONVECTION (INVEST 99E) PREVIOUSLY
LOCATED NEAR 12.3N 101.4W IS NOW LOCATED NEAR 12.4N 102.0W,
APPROXIMATELY 1468 NM SOUTHEAST OF SAN DIEGO, CALIFORNIA. ANIMATED
MULTISPECTRAL SATELLITE IMAGERY (MSI) DEPICTS PERSISTENT DEEP CONVECTION
BUILDING OVER THE CENTER OF THE CIRCULATION. ENVIRONMENTAL ANALYSIS
SHOWS FAVORABLE CONDITIONS FOR THE DEVELOPMENT OF 99E WITH LOW VERTICAL
WIND SHEAR (5-10 KTS), GOOD EQUATORWARD OUTFLOW, AND WARM SEA SURFACE
TEMPERATURES (27-30 C). DETERMINISTIC AND ENSEMBLE MODELS ARE IN
AGREEMENT ON A STEADY DEVELOPMENT OVER THE NEXT 48 HOURS AND ON A
SIMILAR WEST-NORTHWESTWARD TRACK. MAXIMUM SUSTAINED SURFACE WINDS ARE
ESTIMATED AT 18 TO 23 KNOTS. MINIMUM SEA LEVEL PRESSURE IS ESTIMATED TO
BE NEAR 1009 MB. THE POTENTIAL FOR THE DEVELOPMENT OF A SIGNIFICANT
TROPICAL CYCLONE WITHIN THE NEXT 24 HOURS IS HIGH.
3. THIS ALERT WILL BE REISSUED, UPGRADED TO WARNING OR CANCELLED BY
031930Z.//
NNNN
ep9925.gif
99E_021930sair.jpg
FNV3_ENS_EasternPacific_2025100212Z.png
vis-animated.gif
回復

使用道具 舉報

簽到天數: 3405 天

[LV.Master]伴壇終老

king111807|2025-10-3 14:51 | 顯示全部樓層
NHC展望提升至80%

Offshore of the Southwestern Coast of Mexico (EP99):
Showers and thunderstorms associated with a trough of low pressure
located a few hundred miles off the coast of southwestern Mexico are
showing signs of organization.  Environmental conditions appear
conducive for development, and a tropical depression is likely to
form in the next day or so as the system moves generally
west-northwestward, parallel to but offshore of the southwestern
coast of Mexico. Interests along the southwestern coast of Mexico
should monitor the progress of this system.
* Formation chance through 48 hours...high...80 percent.
* Formation chance through 7 days...high...90 percent.
two_pac_2d1.png
回復

使用道具 舉報

簽到天數: 3405 天

[LV.Master]伴壇終老

king111807|2025-10-4 06:59 | 顯示全部樓層
NHC展望提升至90%

Offshore of the Southwestern Coast of Mexico (EP99):
Shower and thunderstorm activity associated with a broad low
pressure system located a few hundred miles off the coast of
southwestern Mexico is gradually becoming better organized.
Additional development is expected, and a tropical depression will
likely form later today or tomorrow. The system is forecast to move
very slowly west-northwestward, parallel to but offshore of the
southwestern coast of Mexico for the next several days. Interests
along the southwestern coast of Mexico should monitor the progress
of this system.
* Formation chance through 48 hours...high...90 percent.
* Formation chance through 7 days...high...90 percent.
two_pac_2d1.png
回復

使用道具 舉報

簽到天數: 3405 天

[LV.Master]伴壇終老

king111807|2025-10-5 06:16 | 顯示全部樓層
NHC展望提升至100%,即將升格
Offshore of the Southwestern Coast of Mexico (EP99):
Satellite imagery indicates that an area of low pressure a few
hundred miles off the southwestern coast of Mexico continues to
become better organized, and it appears that a tropical depression
may be forming. If current trends persist, advisories on a tropical
depression will be initiated later today or tonight. The system is
forecast to move slowly west-northwestward, remaining offshore of
the southwestern coast of Mexico during the next several days.
Interests along the southwestern coast of Mexico should continue to
monitor the progress of this system. For additional information,
including gale warnings, please see High Seas Forecasts issued by
the National Weather Service.
* Formation chance through 48 hours...high...near 100 percent.
* Formation chance through 7 days...high...near 100 percent.
100.png
回復

使用道具 舉報

簽到天數: 3405 天

[LV.Master]伴壇終老

king111807|2025-10-5 06:30 | 顯示全部樓層
NHC直接升格TS,命名Priscilla,評價40節,首報巔峰上望85節
414
WTPZ51 KNHC 042034
TDSEP1

Tormenta Tropical Priscilla Discusión Número 1
Centro Nacional de Huracanes del SNM Miami FL  EP162025
200 PM MST sábado 04 de octubre de 2025

La presentación por satélite de Invest 99E ha continuado mejorando
hoy, con una banda convectiva alargada que se ha formado a través de
la parte occidental y norte de la circulación. Dada la naturaleza
amplia del sistema, su definición del centro había sido cuestionable,
particularmente basado en datos ASCAT de ayer por la noche. Sin
embargo, un paso ASCAT reciente de 1645 UTC mostró que el centro se ha
vuelto significativamente mejor definido, con vientos de 35-40 kt
ocurriendo al norte y noroeste del centro. Basado en estos datos, se
están iniciando advertencias en la Tormenta Tropical Priscilla, con
una intensidad estimada de 40 kt.

Priscilla se está moviendo hacia el noroeste (315 grados) a 8 kt. Una
vaguada a gran escala está localizada actualmente sobre el oeste de
los Estados Unidos y se extiende hacia el sur sobre Baja California,
dejando a Priscilla en un entorno de corrientes directivas débiles. A
corto plazo, eso debe causar que la tormenta se ralentice y se derive
en una dirección general hacia el norte durante las próximas 36 horas.
Después de ese tiempo, se espera que Priscilla se establezca en una
pista más estable hacia el noroeste a medida que una cresta de nivel
medio más fuerte se construye sobre el norte de México y la vaguada de
capa profunda permanece atrincherada sobre el oeste de los Estados
Unidos. Para la mayor parte del período de pronóstico, el pronóstico
de la trayectoria del CNH se inclina en el lado este de la envoltura
de guía, en las cercanías del ECMWF, la ayuda de consenso de HCCA y la
media del conjunto de Google DeepMind.

Priscilla se estará moviendo sobre temperaturas de la superficie del
mar de alrededor de 29 grados Celsius durante los próximos dos días,
coincidendo con un período de fuerte divergencia de nivel
superior.Estas condiciones deben apoyar el fortalecimiento, aunque el
gran tamaño del sistema podría limitar la tasa de intensificación a
corto plazo. Dicho esto, algunos de los índices de Intensificación
Rápida (RI) son mayores que el 50% dentro de 36 y 48 horas, por lo que
si Priscilla puede desarrollar un núcleo interno más apretado dentro
del campo de viento más grande, sería posible un fortalecimiento más
significativo. El pronóstico de intensidad del CNH llama a que
Priscilla se convierta en un huracán para el domingo por la noche, con
el fortalecimiento continuando hasta el martes. Temperaturas del agua
más frías y una atmósfera menos favorable deben inducir un
debilitamiento para el miércoles y el jueves.


MENSAJES CLAVE:

1. Las condiciones de tormenta tropical son posibles a lo largo de
porciones de la costa del suroeste de México dentro del área de
vigilancia el domingo y el lunes. Intereses en la porción sur de Baja
California Sur también deben monitorear el progreso de Priscilla.

2. Las fuertes lluvias asociadas con Priscilla impactará secciones
costeras del suroeste de México hasta el lunes, lo que podría resultar
en inundaciones repentinas, particularmente en áreas de terreno más
alto.

3. Las marejadas generadas por Priscilla están afectando porciones de
la costa del suroeste de México y alcanzarán las costas del
centro-oeste de México y la península del sur de Baja California para
el lunes.Estas marejadas son propensas a causar condiciones de oleaje
y corrientes marinas que amenazan la vida.


POSICIONES DE PRONÓSTICO Y VIENTOS MÁXIMOS

INIT 04/2100Z 15.5N 106.6W 40 KT 45 MPH
12H 05/0600Z 15.8N 106.8W 45 KT 50 MPH
24H 05/1800Z 16.3N 106.9W 55 KT 65 MPH
36H 06/0600Z 17.0N 107.3W 65 KT 75 MPH
48H 06/1800Z 17.8N 108.2W 75 KT 85 MPH
60H 07/0600Z 18.8N 109.4W 80 KT 90 MPH
72H 07/1800Z 19.7N 110.7W 85 KT 100 MPH
96H 08/1800Z 21.7N 113.3W 80 KT 90 MPH
120H 09/1800Z 24.1N 115.4W 60 KT 70 MPH

$$
Pronosticador Berg
042032_5day_cone_with_line_and_wind.png

fnv3_99E_ensemble_2025100412.png
vis-animated.gif
20252772210_GOES18-ABI-FL-GEOCOLOR-EP162025-1000x1000.jpg
回復

使用道具 舉報

簽到天數: 3405 天

[LV.Master]伴壇終老

king111807|2025-10-6 05:30 | 顯示全部樓層
NHC升格C1,巔峰上望90節

000
WTPZ51 KNHC 052053
TDSEP1

Huracán Priscilla Discusión Número 5
Centro Nacional de Huracanes del SNM Miami FL  EP162025
200 PM MST domingo 05 de octubre de 2025

Priscilla se ha vuelto marcadamente mejor organizada esta tarde. Una
banda curva bien definida se ha formado a lo largo del semicírculo del
sur del ciclón tropical, y ha habido indicios ocasionales de un ojo
irregular que aparece en las imágenes visibles. Un paso del
dispersómetro a las 1713 UTC mostró la circulación se ha vuelto mejor
incrustada en la nublada densa central, aunque no ha habido ninguna
imagen de microondas de alta resolución recientes para confirmar que
Priscilla está mejor alineada verticalmente. Las correcciones
subjetivas de Dvorak de SAB y TAFB todavía apoyan T4.0/65 kt, y las
estimaciones objetivas de UW-CIMSS también están aumentando, ahora en
el rango de 59-66 kt. Por lo tanto, la intensidad inicial se está
aumentando a 65 kt, haciendo de Priscilla el 10 º huracán de la
Temporada del Pacífico Oriental de 2025. Los radios del viento también
se ajustaron basados en los datos del dispersión anteriores.

El huracán continúa moviéndose muy lentamente, con una mejor conjetura
a un movimiento estimado de 330/3 kt. No hay mucho cambio en el
razonamiento de la pista, con la falta actual de movimiento
principalmente debido a corrientes de dirección ligeras de una cresta
débil erosionada por una vaguada más grande de nivel medio a alto
sobre el oeste del Golfo y Texas. Se espera que esta característica se
levante, permitiendo que la cresta sobre México se restablezca
gradualmente. El resultado final debe causar que Priscilla acelere
gradualmente al nor-noroeste con una curva sutil a la izquierda
durante los próximos 2-3 días. Permanece una cantidad notable de
propagación en la guía de la trayectoria en 72 horas, con el GFS
continuando en el lado extremo sur y oeste de la envoltura de guía, y
el ECMWF en el lado norte y este. El pronóstico de la trayectoria del
CNH es muy similar al anterior, dividiendo la diferencia entre estos
valores atípicos, y se encuentra cerca de una mezcla de las ayudas de
seguimiento HCCA y GDMI.

El análisis de cizalladura de UW-CIMSS indica que el Priscilla está
experimentando 20 kt de cizalladura este-noreste, y sin embargo el
ciclón ha sido capaz de intensificarse, probablemente ayudado por
muchas temperaturas cálidas de la superficie del mar, y amplia humedad
de capa profunda. Se espera que la cizalladura se mantenga
aproximadamente la misma en magnitud durante los próximos 2-3 días, y
en general la guía de intensidad ha surgido del ciclo anterior. Los
índices de intensificación rápida (RI) de SHIPS están elevados, y si
Priscilla puede establecer un núcleo interno más apretado, no está
fuera de la cuestión de que el huracán pueda intensificarse más de lo
que se muestra aquí. Por ahora, el pronóstico de intensidad del CNH
mostrará una intensificación más gradual, asumiendo que las
temperaturas de cizalladura una tasa más rápida de profundización,
pero ahora tiene un pico de 90 kt, un poco más alto que antes. Esto es
un poco más alto que la ayuda de intensidad de HCCA, pero más bajo que
algunos de los modelos más agresivos (HAFS-A/B, COAMPS-TC,
Superconjunto del Estado de Florida). Después de 72 h, se pronostica
que Priscilla se mueva sobre un gradiente de temperatura de la
superficie del mar que se enfría bruscamente, que debe inducir un
debilitamiento rápido para el final del período de pronóstico.


MENSAJES CLAVE:

1. Las condiciones de tormenta tropical son posibles a lo largo de
porciones de la costa del suroeste de México dentro del área de
vigilancia hasta el lunes. Intereses en la porción sur de Baja
California Sur también deben monitorear el progreso de Priscilla.

2. Las fuertes lluvias asociadas con Priscilla impactará secciones
costeras del suroeste de México hasta el lunes, lo que podría resultar
en inundaciones repentinas, particularmente en áreas de terreno más
alto.

3. Las marejadas generadas por Priscilla están afectando porciones de
la costa del suroeste de México y alcanzarán las costas del
centro-oeste de México y la península del sur de Baja California para
el lunes.Estas marejadas son propensas a causar condiciones de oleaje
y corrientes marinas que amenazan la vida.


POSICIONES DE PRONÓSTICO Y VIENTOS MÁXIMOS

INIT 05/2100Z 16.4N 107.1W 65 KT 75 MPH
12H 06/0600Z 16.8N 107.3W 70 KT 80 MPH
24H 06/1800Z 17.7N 108.1W 75 KT 85 MPH
36H 07/0600Z 18.6N 109.1W 80 KT 90 MPH
48H 07/1800Z 19.5N 110.4W 90 KT 105 MPH
60H 08/0600Z 20.4N 111.7W 90 KT 105 MPH
72H 08/1800Z 21.4N 113.0W 80 KT 90 MPH
96H 09/1800Z 23.6N 115.4W 60 KT 70 MPH
120H 10/1800Z 25.4N 116.6W 35 KT 40 MPH

$$
Pronosticador Papin

052042_5day_cone_no_line_and_wind.png
fnv3_16E_ensemble_2025100512.png
ecmwf_16E_ensemble_2025100512.png
20252782110_GOES18-ABI-FL-GEOCOLOR-EP162025-1000x1000.jpg
rbtop-animated.gif
回復

使用道具 舉報

簽到天數: 3405 天

[LV.Master]伴壇終老

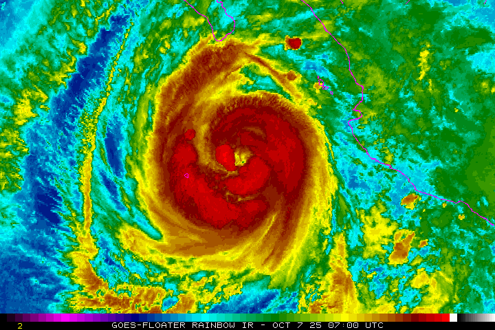
king111807|2025-10-7 17:57 | 顯示全部樓層
NHC升格C2

000
WTPZ41 KNHC 070856
TCDEP1

Hurricane Priscilla Discussion Number  11
NWS National Hurricane Center Miami FL       EP162025
200 AM MST Tue Oct 07 2025

Priscilla is strengthening early this morning. The inner core
structure has improved, with deep convective cloud tops surrounding
the center of the hurricane. An eye feature has recently emerged in
proxy-visible and infrared satellite images. ASCAT-C data from 04
UTC show the tropical-storm-force wind field remains quite broad,
but the radius of maximum wind appears to have contracted from prior
estimates. The initial intensity is raised to 85 kt, representing a
blend of recent UW-CIMSS DPRINT estimates (79-87 kt) and a 5.0/90 kt
Dvorak classification from TAFB at 06 UTC.

The intensity of Priscilla is likely to peak in the next 12-24 h
while the hurricane remains over warm waters and in a moist,
moderate shear environment. Given the rapidly improving satellite
structure, the NHC forecast shows Priscilla nearing major hurricane
strength later today, in best agreement with the HAFS regional
models. Thereafter, the hurricane is expected to move over
progressively cooler waters and into a drier mid-level environment
while gaining latitude. Thus, the NHC forecast calls for steady
weakening beginning Wednesday and continuing through the rest of the
week. Southwesterly shear is forecast to increase over Priscilla as
it approaches the Baja California peninsula in 96-120 h, and
Priscilla could become post-tropical by late Friday or Saturday if
its convection is stripped away as shown in the GFS and ECMWF
simulated satellite imagery. This enhanced moisture is likely to be
transported northward over portions of the southwestern U.S. late
this week, resulting in the potential for heavy rainfall.

The hurricane is moving northwestward (310/9 kt) around the
southwestern portion of a mid-level ridge over northern Mexico. This
motion should continue for the next couple of days while the center
of Priscilla moves parallel to, but remains offshore of, the
southern Baja California peninsula. By Thursday, an amplifying
trough off the U.S. West Coast is forecast to erode the steering
ridge to the north of Priscilla. The weakness in the ridge should
induce a northward turn later this week and into the weekend. The
updated NHC track forecast lies slightly to the left of the
previous prediction. This is mostly related to an initial position
adjustment based on earlier microwave and scatterometer data that
indicated Priscilla was slightly south of previous estimates.


KEY MESSAGES:

1.  Tropical storm conditions are possible along the Baja California
Sur Pacific coastline within the Tropical Storm Watch area later
today into Wednesday. Interests elsewhere in the Baja California
peninsula should monitor the progress of Priscilla.

2.  Heavy rainfall associated with Priscilla will impact portions of
southern Baja California Sur, which could result in flash flooding,
particularly in areas of higher terrain.

3.  Swells generated by Priscilla are affecting portions of the
coast of southwestern and west-central Mexico as well as the coast
of the southern Baja California peninsula. These swells are likely
to cause life-threatening surf and rip current conditions.


FORECAST POSITIONS AND MAX WINDS

INIT  07/0900Z 19.4N 109.5W   85 KT 100 MPH
12H  07/1800Z 20.0N 110.4W   95 KT 110 MPH
24H  08/0600Z 20.9N 111.8W   95 KT 110 MPH
36H  08/1800Z 21.9N 113.0W   85 KT 100 MPH
48H  09/0600Z 23.0N 114.2W   70 KT  80 MPH
60H  09/1800Z 24.3N 115.1W   55 KT  65 MPH
72H  10/0600Z 25.5N 115.4W   45 KT  50 MPH
96H  11/0600Z 27.7N 115.5W   30 KT  35 MPH...POST-TROP/REMNT LOW
120H  12/0600Z 30.5N 114.0W   20 KT  25 MPH...POST-TROP/REMNT LOW

$$
Forecaster Reinhart
070854_5day_cone_with_line_and_wind.png
fnv3_16E_ensemble_2025100700.png
rb-animated.gif
回復

使用道具 舉報

12下一頁
快速回覆
您需要登錄後才可以回帖 登錄 | 立即加入

本版積分規則

本平台僅供學術討論之用,預報應以氣象局為準

威普網站虛擬主機贊助公司

臺灣第一個天氣類型社群平台 即時天氣資訊、精準颱風動態

線上客服
FB傳送訊息
廣告行銷
精準行銷 物超所值
官方粉專
發佈 快速回復 返回頂部 返回列表