開啟輔助訪問
 找回密碼
 立即加入

13L.Melissa 極快速增強 風眼開啟 升格C5 強勢威脅牙買加

簽到天數: 582 天

[LV.9]以壇為家II

蜜露|2025-10-27 21:16 | 顯示全部樓層



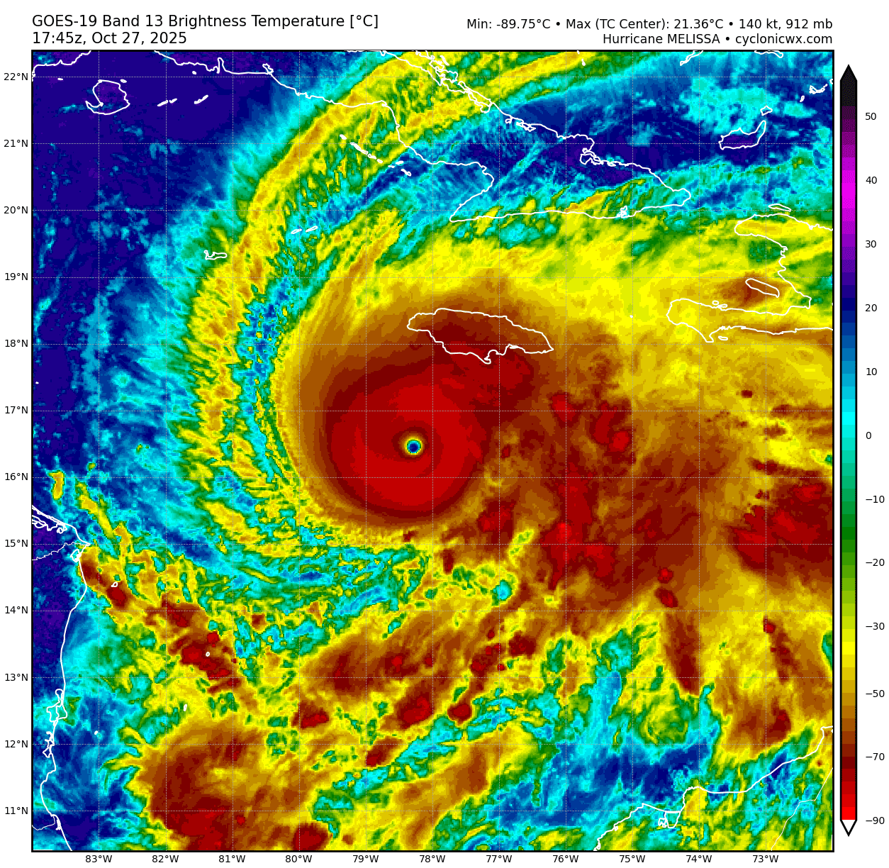
這就是 CIMSS  ADT  8.3  CI  8.1 的颶風嗎

如果沒有實測 真以為是個165+的

結果美軍2架飛機的實測 都是令人意外的

MELISSA_NOAA2_1913A_full (1).png

MELISSA_AF308_2013A_full (1).png



13L_OTT (9).png

13LP (1).gif

Peak Flight-Level Winds: 155kt at 11:19z
Peak SFMR: N/A Peak WL150/500 Wind (Reduced): 173.0kt (141.9kt) at 12:38z
Minimum Extrap. Pressure: 909.9mb at 12:39z

recon_AF308-2013A-MELISSA_timeseries.png

8.0 的 Cat.5  140Kts

入門Cat.5 ..

回復

使用道具 舉報

簽到天數: 3308 天

[LV.Master]伴壇終老

king111807|2025-10-28 02:17 | 顯示全部樓層
NHC最新一報,評價150節
000
WTNT43 KNHC 272042
TCDAT3

Hurricane Melissa Discussion Number  26
NWS National Hurricane Center Miami FL       AL132025
500 PM EDT Mon Oct 27 2025

A few hours ago, data from an Air Force Reserve Hurricane Hunter
aircraft showed that the central pressure in Melissa had fallen to
near 906 mb. The aircraft measured maximum 700-mb flight-level
winds of 161 kt, which supports surface winds of near 145 kt. In
addition, low-level winds measured by a dropwindsonde in the
northeastern eyewall support surface winds of 155 kt.
During the
time since the aircraft departed the hurricane, there has been
little change in organization and no obvious signs that Melissa has
weakened. Thus, the initial intensity is set at 150 kt as a blend
of the surface wind estimates mentioned above. NOAA and Air Force
Reserve Hurricane Hunter aircraft will again investigate Melissa
during the next few hours.

Melissa is starting its northward turn, and the initial motion is
now northwestward or 315/3 kt. The mid-level ridge north of Melissa
continues to weaken as a deep-layer mid-latitude trough moves
eastward through the southeastern United States into the
southwestern Atlantic.  This should cause the hurricane to turn
northward during the next 6-12 h or so at a continued slow forward
speed.  After 18 h or so, Melissa should turn northeastward with
a slight increase in forward speed as the mid-latitude westerly
flow becomes the dominant steering mechanism. A continued
northeastward motion with a significant increase in forward speed
is expected from 36 h through the end of the forecast period. On
the forecast track, the center of Melissa will be near or over
Jamaica late tonight and on Tuesday, cross eastern Cuba Tuesday
night or early Wednesday, and then move near or over the Bahamas
and the Turks and Caicos on Wednesday.  After that, the cyclone
could reach the vicinity of Bermuda on Thursday night. The track
guidance envelope has nudged a little to the west and north since
the previous advisory, and the new forecast track is also a little
to the west and north of the previous track.

Some fluctuations in intensity are likely during the next 12-24 h
due to the possibility that Melissa will start an eyewall
replacement cycle (ERC). However, the previous aircraft data showed
no evidence that an ERC had started, and it is possible that the
upcoming aircraft may find Melissa is stronger than 150 kt.

Regardless, even with an ERC it is unlikely that Melissa will
weaken significantly before reaching Jamaica, and there is no
practical difference in Melissa making landfall at category 4 or 5
intensity, since both categories produce catastrophic wind damage.
After reaching Jamaica, a combination of land interaction and
increasing southwesterly shear should cause weakening, although
Melissa is still forecast to be a major hurricane when it reaches
Cuba.  Once over the Atlantic, stronger shear should cause more
substantial weakening, and Melissa is expected to become
extratropical by the end of the forecast period as it interacts
with a large baroclinic low over the north Atlantic.  The new
intensity forecast has minor adjustments from the previous and
again follows the trend of the intensity consensus.


Key Messages:

1. Jamaica:  Remain in your safe shelter and do not venture
outside. Catastrophic, life-threatening flash flooding and numerous
landslides are expected through Tuesday. The eyewall’s destructive
winds may cause total structural failure, particularly in higher
elevations, leading to widespread infrastructural damage, prolonged
power and communication outages, and isolated communities. Along the
southern coast, life-threatening storm surge and damaging waves are
anticipated through Tuesday.

2. Haiti and the Dominican Republic:  Catastrophic and
life-threatening flash flooding and landslides are expected across
southwestern Haiti and southern portions of the Dominican Republic
through midweek.  In Haiti, extensive infrastructural damage and
isolation of communities is likely. Tropical storm conditions are
expected late Tuesday and Wednesday.

3. Eastern Cuba:  Heavy rainfall with life-threatening and
potentially catastrophic flash flooding and landslides is expected
to begin tonight.  Life-threatening storm surge and damaging winds
are expected late Tuesday and Tuesday night.   Preparations should
be rushed to completion.

4. Southeast and Central Bahamas and the Turks and Caicos: Hurricane
conditions, life-threatening storm surge, and heavy rainfall are
expected across portions of the southeast and central Bahamas on
Wednesday. Residents should follow advice given by local officials
and be sure to have preparations complete by Tuesday night.  
Tropical storm conditions, heavy rains, and a significant storm
surge is expected in the Turks and Caicos Islands on Wednesday.


FORECAST POSITIONS AND MAX WINDS

INIT  27/2100Z 16.7N  78.4W  150 KT 175 MPH
12H  28/0600Z 17.1N  78.3W  145 KT 165 MPH
24H  28/1800Z 18.2N  77.8W  125 KT 145 MPH...INLAND
36H  29/0600Z 19.8N  76.6W  110 KT 125 MPH...OVER WATER
48H  29/1800Z 21.8N  75.0W   95 KT 110 MPH
60H  30/0600Z 24.3N  72.9W   85 KT 100 MPH
72H  30/1800Z 27.8N  69.9W   80 KT  90 MPH
96H  31/1800Z 37.1N  60.0W   70 KT  80 MPH
120H  01/1800Z 44.7N  45.4W   60 KT  70 MPH...POST-TROP/EXTRATROP

$$
Forecaster Beven


271733_5day_cone_with_line_and_wind.png
recon_AF308-2013A-MELISSA.png
13L_89H_20251027145456.jpeg
13L_AWV.png
20253001340_GOES19-ABI-FL-GEOCOLOR-AL132025-1000x1000.jpg
goes19_13L_rainbow_202510271745.png
goes19_g19meso1_ir_20251027180428.png
goes19_rbtop_13L.gif

回復

使用道具 舉報

簽到天數: 582 天

[LV.9]以壇為家II

蜜露|2025-10-28 11:54 | 顯示全部樓層
本帖最後由 蜜露 於 2025-10-28 11:56 編輯




可以說是北大西洋版本的完美風暴.   

如果只看型態  真的以為已經是全球風王了

如果是美軍JTWC  這種真的會給170kts

13L_OTT.png

CDG+WMG  

13L_WV.png


20251027_184444_AL132025_amsr2_gcom-w1_89H_139kts_100p00_res1p0-cr100-artb89hA-b.jpg

底層 接近-180


高層、底層都是完美風暴的表現

就除了移速偏慢、中層風切..看不出哪裡有問題
因為實測卻只有150Kts  與 2015 Patricia颶風 相差很遠

2架飛機分別是 NOAA2、AF308  
也不太可能有問題才對

MELISSA_AF301_2213A_full.png

recon_AF301-2213A-MELISSA_timeseries.png

FL 最高 163kts   打折約150kts

點評

剛才最新AF301 穿過中心 FL 165Kts 新高 165*0.9 = 148.5 還是150kt 不過氣壓有是899hPa  發表於 2025-10-28 11:59
回復

使用道具 舉報

123
快速回覆
您需要登錄後才可以回帖 登錄 | 立即加入

本版積分規則

本平台僅供學術討論之用,預報應以氣象局為準

威普網站虛擬主機贊助公司

臺灣第一個天氣類型社群平台 即時天氣資訊、精準颱風動態

線上客服
FB傳送訊息
廣告行銷
精準行銷 物超所值
官方粉專
發佈 快速回復 返回頂部 返回列表