開啟輔助訪問
 找回密碼
 立即加入

0908莫拉克-慘痛教訓 莫忘88為災民祈福

簽到天數: 1717 天

[LV.Master]伴壇終老

2012-5-30 21:47 | 顯示全部樓層
本帖最後由 Herb 於 2012-6-6 11:22 編輯

實際測得數據(資料更新時間):08/07~08/09  20:00
雨量:(累積雨量)
01.嘉義奮起湖雨量累積到2593.0mm
02.屏東尾寮山雨量累積到2522.0mm
03.嘉義石磐龍雨量累積到2434.5mm
04.高雄御油山雨量累積到2329.5mm
05.高雄溪 南雨量累積到2314.5mm
06.高雄南天池雨量累積到2199.0mm
07.嘉義馬頭山雨量累積到2155.5mm
08.屏東上德文雨量累積到2154.0mm
09.嘉義瀨 頭雨量累積到2145.5mm
10.嘉義大 湖雨量累積到2117.0mm
注意事項(更新時間):2009/08/09 2000
.受到颱風南側強烈環流影響,南部降雨持續中,並逐漸往北擴展。

.受到颱風強烈降雨環流影響,南部山區降下大暴雨,預計昨晚前降雨持續中;隨著颱風逐漸北移,中部山區降雨將逐漸增加。由於南部地區降雨相當驚人,屏東縣及高雄縣市許多鄉鎮已經出現嚴重淹水,提醒您隨時留意自身安全,必要時請向各縣市消防局求救。

.受到颱風強烈降雨環流持續影響,農委會水土保持局持續針對台中縣、台南縣、南投縣、台東縣、屏東縣、苗栗縣、桃園縣、高雄縣、雲林縣、新竹縣、嘉義縣、宜蘭縣、高雄市發布土石流紅黃色警戒,提醒山區民眾隨時留意。

.根據最新氣象資料顯示,第8號颱風中心已於9日18時30分左右在馬祖北方進入福
建,過去強度略為減弱,繼續向北移動。台灣本島雖已脫離其暴風圈,但降雨仍持續中。預計此颱風強度有再減弱且暴風圈有縮小的趨勢。 資料發布時間:2009/08/09    20:40
台灣標準時間TST(GMT +08:00)

系統編號:0908

國際命名:MORAKOT,中文譯名:莫拉克

系統強度:輕度颱風

資料時間:08/09 1400

中心氣壓:982hPa 

過去移動方向/時速:北北西 @ 16 km/h

中心位置:(27.0N120.0E)即在馬祖東北東方約 90公里之處。

七級風暴風半徑: 200 公里

十級風暴風半徑: -- 公里

中心附近最大風速:每秒 25 公尺,約每小時 90 公里,相當於 10 級風

瞬間最大陣風:每秒 33 公尺,約每小時 119 公里,相當於 12 級風

未來移動方向/時速: @ 15 km/h

預測時間:08/10  2000

預測位置:(30.2N120.3E即在馬祖方約 450公里之海面上。
警戒區域:08/09  2030
海上警戒區域:台灣北部海面航行航行作業船隻應嚴加戒備。
陸上警戒區域:馬祖嚴加戒備,並防強風豪雨。
農委會土石流警戒資訊:08/09  2000
桃園縣復興鄉
新竹縣五峰鄉尖石鄉橫山鄉
苗栗縣卓蘭鎮泰安鄉、南庄鄉、獅潭鄉大湖鄉銅鑼鄉、三灣鄉、苑裡鎮、公館鄉、通宵鎮。
台中縣和平鄉東勢鎮新社鄉、太平市、潭子鄉、霧峰鄉。
台中市北屯區。
彰化縣二水鄉、田中鎮、社頭鄉。
南投縣仁愛鄉水里鄉信義鄉竹山鎮鹿谷鄉中寮鄉埔里鎮國姓鄉鹿谷鄉集集鎮魚池鄉、名間鄉。
雲林縣古坑鄉
嘉義縣竹崎鄉阿里山鄉大埔鄉中埔鄉梅山鄉番路鄉
台南縣白河鎮南化鄉楠西鄉東山鄉玉井鄉六甲鄉、龍崎鄉。
高雄縣六龜鄉甲仙鄉杉林鄉那瑪夏鄉桃源鄉內門鄉美濃鎮茂林鄉旗山鎮、田寮鄉。
高雄市鼓山區。
屏東縣三地門鄉牡丹鄉來義鄉滿州鄉瑪家鄉霧台鄉萬巒鄉春日鄉枋山鄉泰武鄉高樹鄉獅子鄉
宜蘭縣大同鄉、礁溪鄉。
台東縣達仁鄉大武鄉海端鄉、太麻里鄉、卑南鄉、延平鄉、金峰鄉

實際測得數據(資料更新時間):08/08  1500
浪高:
. 花 蓮浪高10.15
. 蘇 澳浪高  9.12
. 成 功浪高  8.85
. 龍 洞浪高  8.18
. 小琉球浪高  6.71

實際測得數據(資料更新時間):08/08 1500
平均風速(平地及外島)
. 蘭 嶼風速40.0/(測站無資料,暫不提供)
. 東吉島風速25.9/
. 梧 棲風速22.6/
. 花 蓮風速24.5/
. 成 功風速21.5/
6. 七 股風速21.2/
實際測得數據(資料更新時間):08/08  1500
最大陣風(平地及外島)
. 蘭 嶼17
. 花 蓮14
. 梧 棲13
. 蘇 澳12
. 恆 春12
. 馬 祖12
. 基 隆11
. 台 南11
. 高雄市11
. 大 武11
. 宜蘭市10
. 台北市10
. 嘉 義10
. 台 中10
. 澎 湖10

0908jr.jpg

發報員: 阿傑 ㄚBen 風仔


各位版主注意!切勿更改字體顏色,以免造成混亂,以目前顏色為準。

評分

參與人數 2水氣能量 +110 收起 理由
mustang + 10 太讚啦!
ben811018 + 100 感謝整理

查看全部評分

簽到天數: 1717 天

[LV.Master]伴壇終老

howard2639|2012-5-30 21:47 | 顯示全部樓層
本帖最後由 howard2639 於 2012-5-30 21:58 編輯

時間:2009-8-3

ty82119 :

AN AREA OF CONVECTION HAS PERSISTED NEAR 21.5N132.0E,
APPROXIMATELY 375 NM SOUTHEAST OF OKINAWA,JAPAN. ANIMATED INFRARED
IMAGERY SHOWS DEEP CONVECTION STARTING TO FLAREON THE WESTERN SIDE
OF A PARTIALLY EXPOSED LOW LEVEL CIRCULATIONCENTER (LLCC) EMBEDDED
WITHIN THE MONSOON TROUGH. A 022103Z QUIKSCATPASS SHOWS A DEFINED
WINDFIELD CIRCULATION, FURTHER CONFIRMING THEPRESENCE OF A
DEVELOPING LLCC. THE SYSTEM IS CURRENTLY LOCATEDUNDER THE RIDGE OF
AN UPPER-LEVEL ANTICYCLONE AND ANIMATED WATERVAPOR IMAGERY DEPICTS
BOTH POLEWARD AND EQUATORWARD OUTFLOW. MAXIMUMSUSTAINED SURFACE
WINDS ARE ESTIMATED AT 15 TO 20 KNOTS. MINIMUMSEA LEVEL PRESSURE IS
ESTIMATED TO BE NEAR 998 MB. THE POTENTIAL FOR THEDEVELOPMENT OF A
SIGNIFICANT TROPICAL CYCLONE WITHIN THE NEXT 24HOURS IS FAIR.

JTWC
升格為FAIR!!
結構是較前幾天有所改善
繼續等待下一歩的發展吧
期待能成為真命天子!!
目前東環副高已有逐漸西伸趨勢
駛流圖看來,北側已有西伸狀態
要比預期的時間早上一些
98W預測會先緩慢北上一小段後
轉往偏西北西方向前進



======================================================================

j9648000 :
高壓在未來時否會逐漸增強!?
擾動發展機率

注意報
93w24hr內發展機率
Ps備註
黃色注意報
100%
POOR
紅色注意報
100%
FAIR
TCFA
70%
GOOD


注意報
95w24hr內發展機率
Ps備註
黃色注意報
30%
POOR
紅色注意報
00%
FAIR
TCFA
00%
GOOD


注意報
98w24hr內發展機率
Ps備註
黃色注意報
100%
POOR
紅色注意報
60%
FAIR  
TCFA
00%
GOOD


來源:台灣氣象論壇


======================================================================
Herb9608 :
從過去幾小時的高空駛流圖觀察隨著 95W逐漸北離
太平洋高壓的勢力已經有開始緩慢西伸的跡象
目前98W較強對流區仍偏向南側..
過去幾小時東北面慢慢開始有較明顯的對流雲系爆發開來
由於整個環流已經略具螺旋狀
東北側的對流發展若能持續
順著逆時針方向旋入中心
應該有助於填補北面環流空缺的窘境
等到太平洋高壓從 98W北面西伸的態勢更明顯時
98W北面的幅合效果也會更加明顯
有助於啟動 CISK機制
目前周遭環境發展條件..海溫.幅散都不錯..北面幅合也轉佳中
北面的強風切區域隨著高壓逐漸西伸....也會逐步轉佳
待組織整合起來之後...整體強度繼續轉強的機會相當大
由於日本南方的短槽勢力即將減弱
等到太平洋高壓更進一步西伸之後
將開始給予98W明顯的導引氣流
隨著高壓逐漸西伸過來...98W偏西的角度也逐漸會加大
短期內將趨向琉球一帶海域

======================================================================

Wayne   2009-8-3 14:32
JMA也對98W發出warning了

未來高壓西伸 有偏西的可能

到時候與08W的互動 就有趣了


======================================================================


j9648000 :
注意報
08w24hr內發展機率
Ps備註
黃色注意報
100%
POOR
紅色注意報
100%
FAIR
TCFA
50%
GOOD

注意報
95w24hr內發展機率
Ps備註
黃色注意報
10%
POOR
紅色注意報
00%
FAIR
TCFA
00%
GOOD

注意報
98w24hr內發展機率
Ps備註
黃色注意報
100%
POOR
紅色注意報
100%
FAIR  
TCFA
70%
GOOD

來源:台灣氣象論壇
======================================================================
熱帯低気圧
平成21年08月03日22時20分 発表

<03日21時の実況>
大きさ
-
強さ
-

  熱帯低気圧
存在地域
日本の南
中心位置
北緯 20度20分(20.3度)

  東経 132度55分(132.9度)
進行方向、速さ
ほとんど停滞
中心気圧
994hPa
中心付近の最大風速
15m/s(30kt)
最大瞬間風速
23m/s(45kt)

<04日21時の予報>
強さ
-
存在地域
日本の南
予報円の中心
北緯 21度35分(21.6度)

  東経 132度30分(132.5度)
進行方向、速さ
北 ゆっくり
中心気圧
992hPa
中心付近の最大風速
18m/s(35kt)
最大瞬間風速
25m/s(50kt)
予報円の半径
220km(120NM)



======================================================================

2009-8-4

正式升格-0908 莫拉克

台風第8号 (モーラコット)
平成21年08月04日04時25分 発表


<04日03時の実況>
大きさ
-
強さ
-
存在地域
日本の南
中心位置
北緯 21度10分(21.2度)

  東経 135度30分(135.5度)
進行方向、速さ
ほとんど停滞
中心気圧
992hPa
中心付近の最大風速
18m/s(35kt)
最大瞬間風速
25m/s(50kt)
15m/s以上の強風域
全域 370km(200NM)

<05日03時の予報>
強さ
-
存在地域
日本の南
予報円の中心
北緯 22度35分(22.6度)

  東経 133度55分(133.9度)
進行方向、速さ
北西 ゆっくり
中心気圧
990hPa
中心付近の最大風速
20m/s(40kt)
最大瞬間風速
30m/s(60kt)
予報円の半径
130km(70NM)

<06日03時の予報>
強さ
-
存在地域
日本の南
予報円の中心
北緯 24度10分(24.2度)

  東経 131度30分(131.5度)
進行方向、速さ
北西 15km/h(7kt)
中心気圧
985hPa
中心付近の最大風速
25m/s(50kt)
最大瞬間風速
35m/s(70kt)
予報円の半径
200km(110NM)

<07日03時の予報>
強さ
-
存在地域
沖縄の南
予報円の中心
北緯 25度50分(25.8度)

  東経 128度05分(128.1度)
進行方向、速さ
西北西 15km/h(9kt)
中心気圧
980hPa
最大風速
30m/s(55kt)
最大瞬間風速
40m/s(80kt)
予報円の半径
300km(160NM)
暴風警戒域
全域 390km(210NM)

======================================================================

j9648000:

09w0908號熱帶風暴
24hr侵襲台灣機率
24hr侵襲福建機率
藍色注意報
70%
50%
黃色注意報
20%
10%
紅色注意報
00%
00%




======================================================================
Herb9608 :各大預報似乎都預測莫拉克將離台灣較遠

惟獨NMC(中國)預測較靠近台灣

不過~CWB的誤差圈相當大

大到...跟沒預測一樣=  = 誤差圈居然還畫到台灣南部

也就是未來路徑是無法下定論的

位於莫拉克以東的太平洋高壓將開始西伸

預估將與位於東海一帶的高壓連在一起

導引莫拉克以偏西的路徑接近台灣

72小時後大約會來到琉球一帶海域

這裡的路徑變數很大

有轉北 也有 轉西的預測

主要是高壓預估在這裡有個東退的過程

目前莫拉克還是緩慢的移動當中

陷在 東海高壓 和 太平洋高壓 的鞍形場內

導致現在移速緩慢

強度部份

水溫就不用說了~滾的很

莫拉克北側幅散相當不錯

目前也逐漸將環流的漏洞補起來

未來將是一個大而強的系統

路徑則要再多觀察~ TgH4@.jpg


======================================================================
j9648000:
09w0908號熱帶風暴
48hr侵襲台灣機率
48hr侵襲福建機率
藍色注意報
70%
70%
黃色注意報
50%
30%
紅色注意報
00%
00%

======================================================================

附近垂直風切微弱,未來還會更加減弱
長遠的風切也是十分微弱的
莫拉克提供良好的增強環境(至少對流不會再被切離了 )
至於海溫上是熱騰騰的  30度高溫區
能量充沛啊!!
就差輻合,幅散方面一般了
期望能有爆發性的增強
渦度圖明顯可見到深到發白的顏色
要比前輩柯尼要來的深
未來還將持續加深!! 莫拉克的低層掃描圖
可見LLCC明顯的旋轉
且有組織風眼的趨勢
目前除東北方對流少了點
(預計往後隨增強會有所改善)
其他方面表現皆不錯(對於一個季風低壓整合的算不錯)
正常狀況下中度颱風是指日可待
暴風半徑未來也應有所擴大
現在光環流就頗為廣闊

======================================================================
cas98709:
j090808042000.jpg
輕度颱風 〈莫拉克〉 04日20時最新位置

目前中心位置〈08/04 20:00〉  琉球東南東方820之海面上

近中心最大風速  20 m/s 〈約72km/hr〉  相當於 8 級風

瞬間之最大陣風  28 m/s 〈約101km/hr〉 相當於 10 級風

7級風暴風半徑   150 km

10級風暴風半徑   ------ km

中心氣壓     990 hPa

過去路徑  西  , 時速  7  km/hr
未來行徑 西北西 , 時速15→18km/hr

預測中心位置〈08/05 20:00〉  琉球東南方410公里之海面上

目前發布颱風警報:
海上颱風警報(無)

陸上颱風警報(無)


======================================================================
2009-8-5
超極強烈颱風 :
8/4早上北邊的空洞還很明顯

但是到了晚上之後逐漸整合

中心越來越扎實 颱風眼應該也快出現了

應該明天8/5晚上~8/6就有機會變成中度颱風

7級暴風半徑目前150KM 但還有增強空間

估計增強為中度颱風之後 7級風可到200~250KM 10級風80~100KM

估計應該會以較偏台灣北部近海經過 7級暴風半徑應該會掃過北臺灣

典型的西北颱 加上颱風南邊水氣旺盛

應該會替北部帶來不少雨水
======================================================================
米堤亞 :

今晨2點的預測...
中心位置 北緯22.5度 東經133.6度
      過去移動方向   西
      過去移動時速   15 公里
      中心氣壓   983 百帕
      近中心最大風速 25 公尺/秒
      瞬間之最大陣風 33 公尺/秒
      七級風半徑180公里 十級風半徑-公里


過去路徑持續偏西
對台灣影響可能性增加
莫拉克威力也有所增強了
今天可能就會升格中度颱風
======================================================================
超極強烈颱風 :

CWB最新8點的預測把路徑往南修正

不排除從東北角登陸的可能性

目前中心平均風速已經達到每秒28公尺

離中度颱風下限已經不遠了

估計8/5下午至晚上會增強為中度颱風

7級風暴風半徑可能會從目前200KM增加到230~250KM

而日本氣象廳雖然稍微往南修正一些

但還是認為中心會從北部近海通過

看來這次南部也有機會解除旱象了

沿海低窪地區請先做好海水倒灌和淹水防範 山區慎防土石流
======================================================================

Wayne :

從昨天到現在

莫拉克已經往西偏了一大段

算是有點出乎各單位的意料之外

各家預報也紛紛將路徑南修

而CWB更是直接修到了登陸宜蘭@@

不管怎樣 還是來看一下JMA的最新資料... JMA最新的路徑往南修了一點

強度則是重點...


<07日15時の予報>
中心気圧
925hPa
中心付近の最大風速
45m/s(90kt)
最大瞬間風速
65m/s(130kt)

JMA已經預測強度會到達45M/S的規模

未來莫拉克將會是一個又大又強的颱風

而目前的狀況
<05日15時の実況>
大きさ
大型
強さ
強い
存在地域
南大東島の南 約370km
中心位置
北緯 22度35分(22.6度)

  東経 132度05分(132.1度)
進行方向、速さ
西 20km/h(11kt)
中心気圧
970hPa
中心付近の最大風速
35m/s(65kt)
最大瞬間風速
50m/s(95kt)
25m/s以上の暴風域
全域 90km(50NM)
15m/s以上の強風域
南側 600km(325NM)

  北側 440km(240NM)

JMA現在已經給道35M了

看看CWB等下會不會升中颱
======================================================================

Herb9608 :
隨著莫拉克強度的增強
受較高層氣流的支配越明顯
觀察現時的高空駛流圖
高度越高層..太平洋高壓西伸的態勢越明顯
甚至已經有與華東單體高壓勢力相連的趨勢
目前莫拉克的整體環流已經完全擺脫先前季風低壓的型態
環流不斷的緊縮厚實...CDO發展明顯...
由於CISK機制運作的相當順暢
目前已經可以慢慢的看出有"雲捲風眼"的跡象發生
稍後的12個小時之內....大略的風眼應該會逐步成型
不過目前琉球附近的風切在過去的幾個小時內有增強的跡象
對於莫拉克強度增強的影響有待觀察
太平洋高壓的勢力已經開始明顯的西伸中
從較高層的駛流圖看來
甚至已經與華東單體高壓勢力再度相連
給予莫拉克偏西的引氣流越趨明顯
未來的12~24小時之內
莫拉克應該仍會以15~20km左右的速度繼續偏西-西北西移動
逐漸向琉球南方海域靠近

JMA預估明天下午強度就到達 45m/s
後天下午中心氣壓就會降到 925hpa
925hpa依照過往的CWB預報模式來看
應該有機會到達CWB"強颱"的等級
再加上預報路徑相當接近台灣陸地的趨勢來看
CWB肯定相當重視
預期CWB最後升格莫拉克為強颱的機會相當大

======================================================================

j9648000 :
0908號中度颱風 #8
48hr侵襲台灣機率
48hr侵襲福建機率
藍色注意報
100%
100%
黃色注意報
100%
100%
紅色注意報
100%
80%

資料來源:台灣氣象論壇
======================================================================
sheeprex :
輕度颱風編號第0908號(國際命名MORAKOT,中文譯名:莫拉克),中心氣壓975百帕,5日14時的中心位置在北緯22.8度,東經132.1度,即在花蓮東方1080公里之海面上,以每小時22公里速度,向西北西轉西進行,中心附近最大風速每秒30公尺(即每小時108公里),相當於11級風,瞬間最大陣風每秒38公尺(即每小時137公里),相當於13級風,7級風暴風半徑200公里,10級風暴風半徑80公里,預測6日14時的中心位置在北緯23.8度,東經127度,即在花蓮東方550公里之海面上。 CWB將於2030發布海上颱風警報!!

======================================================================

J-sen :
guamcol.jpg
莫拉克南北側的對流實在是                              

南側的對流持續爆發

北側對流依舊低迷不濟....

南側的強對流可能會使中心往南調整也說不定

======================================================================


Wayne :
中央氣象局  颱風警報單

發    布    時    間:民國98年8月5日20時30分。

警    報    種    類:海上颱風警報。

颱 風 強 度 及 編 號:中度颱風,編號第8號(國際命名:MORAKOT,中文譯名:莫拉克)

警    報    報    數:第1報。

中    心    氣    壓:970百帕

目    前    時    間:5日20時。

中    心    位    置:北緯 23.0 度,東經 130.9 度,
                          即在宜蘭的東方約 950 公里之海面上。

暴    風    半    徑:7級風暴風半徑 250 公里,10級風暴風半徑 100 公里。

預 測 速 度 及 方 向:以每小時23公里速度,向西進行。

近 中 心 最 大 風 速:每秒 33 公尺(約每小時 119 公里),相當於 12 級風。

瞬 間 之 最 大 陣 風:每秒 43 公尺(約每小時 155 公里),相當於 14 級風。

預    測    時    間:6日20時。

預    測    位    置:北緯 24.0 度,東經 125.5 度,
                          即在宜蘭的東南東方約 390 公里之海面上。

颱    風    動    態:根據最新氣象資料顯示,第8號颱風已於今(5)日20時增強為中度颱風,目前其中
                          心在宜蘭東方海面,向西移動,其暴風圈正逐漸向台灣東方海面接近,對台灣北部海面
                          、東北部海面及東南部海面將構成威脅。預計此颱風強度仍有增強的趨勢。

警 戒 區 域 及 事 項:台灣北部海面、東北部海面及台灣東南部海面航行及作業船隻應嚴加戒備。

下次警報預定發布時間為 8月5日23時30分
======================================================================


F-uz@.png
日本氣相廳也跟進台灣氣象局把路徑南修

估計會從三貂角到宜蘭頭城一帶登陸的可能性很高

至於強度方面目前已經我先前的預估了

7級暴風半徑250KM 10級暴風半徑100KM

目前雖然剛升為中颱 但還在繼續增強

不排除接近台灣陸地前最強可達到

中颱上限甚至強颱下限都有可能

7級暴風半經可能會增為280~300KM

10級暴風半徑120~150KM

颱風眼雖然小 但眼牆可是扎實的很

威力跟去年薔密颱風有拼呢

終於今年西太平洋到了8月才有個像樣等級的颱風

不過這下子原本只想要雨水解旱

沒想到連風也躲不掉了

j090808052300.jpg
中度颱風 〈莫拉克〉 05日23時最新位置

目前中心位置〈08/05 23:00〉  宜蘭東南東方880之海面上

近中心最大風速  33 m/s 〈約119km/hr〉 相當於 12 級風

瞬間之最大陣風  43 m/s 〈約155km/hr〉 相當於 14 級風

7級風暴風半徑   250 km

10級風暴風半徑   100 km

中心氣壓     970 hPa

過去路徑  西  , 時速  24 km/hr
未來行徑  西  , 時速  23 km/hr

預測中心位置〈08/06 23:00〉  宜蘭東南東方320公里之海面上

目前發布颱風警報:
海上颱風警報/警戒範圍:台灣北部海面、東北部海面及台灣東南部海面

陸上颱風警報(無)


2009-8-6
預報的暴風圈已經快要碰觸到台灣陸地
預計5:30發布海上陸上颱風警報

2:30的最新一報如下
除位置外,風速、強度、暴風圈大小、移動速度均和前兩報相同
中央氣象局  颱風警報單
發    布    時    間:民國98年8月6日2時30分。

警    報    種    類:海上颱風警報。
颱 風 強 度 及 編 號:中度颱風,編號第8號(國際命名:MORAKOT,中文譯名:莫拉克)
警    報    報    數:第3報。
中    心    氣    壓:970百帕。
目    前    時    間:6日2時。
中    心    位    置:北緯 23.2 度,東經 129.5 度,
                     即在宜蘭的東南東方約 810 公里之海面上。
暴    風    半    徑:7級風暴風半徑 250 公里,10級風暴風半徑 100 公里。
預 測 速 度 及 方 向:以每小時23公里速度,向西進行。
近 中 心 最 大 風 速:每秒 33 公尺(約每小時 119 公里),相當於 12 級風。
瞬 間 之 最 大 陣 風:每秒 43 公尺(約每小時 155 公里),相當於 14 級風。
預    測    時    間:7日2時。
預    測    位    置:北緯 24.1 度,東經 124.3 度,
                     即在宜蘭的東南東方約 270 公里之海面上。
颱    風    動    態:根據最新氣象資料顯示,第8號颱風中心目前在宜蘭東南東方海面,繼續向西移動,其
                     暴風圈正逐漸向台灣東方海面接近,對台灣北部海面、東北部海面及東南部海面將構成
                     威脅。預計此颱風強度仍有增強的趨勢。
警 戒 區 域 及 事 項:台灣北部海面、東北部海面及台灣東南部海面航行及作業船隻應嚴加戒備。
                     *豪雨特報:受颱風外圍環流影響,今(6)日台灣北部及東北部地區將有局部性豪雨
                           或大豪雨發生,中南部地區亦有局部性大雨或豪雨發生的機率,請注意防
                           範。
                     *台灣東半部濱海地區將有長浪出現,請避免前往海邊活動。

下次警報預定發布時間為 8月6日5時30分
07fW21062
中央氣象局  颱風警報單
發    布    時    間:民國98年8月6日5時30分。

警    報    種    類:海上颱風警報。
颱 風 強 度 及 編 號:中度颱風,編號第8號(國際命名:MORAKOT,中文譯名:莫拉克)
警    報    報    數:第4報。
中    心    氣    壓:965百帕。
目    前    時    間:6日5時。
中    心    位    置:北緯 23.3 度,東經 128.6 度,
                     即在宜蘭的東南東方約 710 公里之海面上。
暴    風    半    徑:7級風暴風半徑 250 公里,10級風暴風半徑 100 公里。
預 測 速 度 及 方 向:以每小時22公里速度,向西轉西北西進行。
近 中 心 最 大 風 速:每秒 35 公尺(約每小時 126 公里),相當於 12 級風。
瞬 間 之 最 大 陣 風:每秒 45 公尺(約每小時 162 公里),相當於 14 級風。
預    測    時    間:7日5時。
預    測    位    置:北緯 24.2 度,東經 123.6 度,
                     即在宜蘭的東南東方約 200 公里之海面上。
颱    風    動    態:根據最新氣象資料顯示,第8號颱風過去3小時強度略為增強,目前其中心在宜蘭東南
                     東方海面,繼續向西移動,其暴風圈正逐漸向台灣東方海面接近,對台灣北部海面、東
                     北部海面及東南部海面將構成威脅。預計此颱風強度仍有增強的趨勢。
警 戒 區 域 及 事 項:台灣北部海面、東北部海面及台灣東南部海面航行及作業船隻應嚴加戒備。
                     *豪雨特報:受颱風外圍環流影響,今(6)日台灣北部及東北部地區將有局部性豪雨
                           或大豪雨發生,中南部地區亦有局部性大雨或豪雨發生的機率,請注意防
                           範。
                     *台灣東半部濱海地區將有長浪出現,請避免前往海邊活動。
附               註:若此颱風行徑無特殊變化,本局預計於今日8時30分發布陸上颱風警報。

下次警報預定發布時間為 8月6日8時30分 中央氣象局  颱風警報單
發    布    時    間:民國98年8月6日8時30分。

警    報    種    類:海上陸上颱風警報。
颱 風 強 度 及 編 號:中度颱風,編號第8號(國際命名:MORAKOT,中文譯名:莫拉克)
警    報    報    數:第5報。
中    心    氣    壓:960百帕。
目    前    時    間:6日8時。
中    心    位    置:北緯 23.3 度,東經 128.1 度,
                     即在宜蘭的東南東方約 660 公里之海面上。
暴    風    半    徑:7級風暴風半徑 250 公里,10級風暴風半徑 100 公里。
預 測 速 度 及 方 向:以每小時20公里速度,向西轉西北西進行。
近 中 心 最 大 風 速:每秒 38 公尺(約每小時 137 公里),相當於 13 級風。
瞬 間 之 最 大 陣 風:每秒 48 公尺(約每小時 173 公里),相當於 15 級風。
預    測    時    間:7日8時。
預    測    位    置:北緯 24.1 度,東經 123.4 度,
                     即在宜蘭的東南東方約 180 公里之海面上。
颱    風    動    態:根據最新氣象資料顯示,第8號颱風過去3小時強度略為增強,目前其中心在宜蘭東南
                     東方海面,繼續向西移動,其暴風圈正逐漸向台灣東方海面接近,對苗栗以北及花蓮以
                     北陸地將構成威脅。預計此颱風強度仍有增強的趨勢。
警 戒 區 域 及 事 項:陸上:基隆、宜蘭、花蓮、台北、桃園、新竹及苗栗地區應嚴加戒備並防強風豪雨。
                     海上:台灣北部海面、台灣東北部海面、台灣東南部海面及巴士海峽航行及作業船隻應
                        嚴加戒備。
                     *豪雨特報:受颱風外圍環流影響,今(6)日台灣北部及東北部地區將有局部性豪雨
                           或大豪雨發生,中南部地區亦有局部性大雨或豪雨發生的機率,請注意防
                           範。
                     *台灣東半部濱海地區將有長浪出現,請避免前往海邊活動。

下次警報預定發布時間為 8月6日11時30分

強度略為增強,且有繼續增強之趨勢
如果莫拉克能減緩一些速度
強度或許還能更高
路徑則持續的偏西為主 浪高:08/06  11:00
1. 鵝鸞鼻浪高1.94m
2. 小琉球浪高1.68m
3. 龍 洞浪高1.63m
4. 蘇 澳浪高1.52m
5. 花 蓮浪高1.44m

風速:08/06  12:00
1. 蘭 嶼風速16.6m/s
2. 彭佳嶼風速12.6m/s
3. 五分山風速11.9m/s
4. 北 投風速11.1m/s
s1p200908061400.jpg
趕緊來PO個文

莫拉克下午持續的偏西

不過速度卻有減慢趨勢

主要原因並不是新聞在亂說的什麼高壓減弱(真的減弱 直接就給你西北了)

現在颱風也差不多走到高壓西北西駛流區了

地形因素也是原因之ㄧ

接下來應該會看到颱風以階梯式移動直到登陸之前

也就是忽西忽北的方式

而在中心環流靠近台灣之後會否出線特殊的現象則還要再觀察

大致上來看將以西北西的方式接近東北部近海

目前預估的登陸點~應該花蓮宜蘭之間

其中以宜蘭機率較高

目前各外島已經有6級陣風出現

本島也有4~5級出現

從今晚開始 到後天早上 將是颱風最劇烈的時候

請特別防範

台風第8号 (モーラコット)
平成21年08月06日22時45分 発表

<06日22時の実況>
大きさ
大型
強さ
強い
存在地域
宮古島の南 約160km
中心位置
北緯 23度25分(23.4度)

  東経 125度10分(125.2度)
進行方向、速さ
西 20km/h(10kt)
中心気圧
950hPa
中心付近の最大風速
40m/s(75kt)
最大瞬間風速
55m/s(105kt)
25m/s以上の暴風域
全域 200km(110NM)
15m/s以上の強風域
全域 650km(350NM)

<06日23時の推定>
大きさ
大型
強さ
強い
存在地域
宮古島の南 約160km
中心位置
北緯 23度25分(23.4度)

  東経 125度00分(125.0度)
進行方向、速さ
西 20km/h(10kt)
中心気圧
950hPa
中心付近の最大風速
40m/s(75kt)
最大瞬間風速
55m/s(105kt)
25m/s以上の暴風域
全域 200km(110NM)
15m/s以上の強風域
全域 650km(350NM)

<07日03時の予報>
強さ
強い
存在地域
-
予報円の中心
北緯 23度30分(23.5度)

  東経 124度30分(124.5度)
進行方向、速さ
西 15km/h(9kt)
中心気圧
950hPa
中心付近の最大風速
40m/s(75kt)
最大瞬間風速
55m/s(105kt)
予報円の半径
60km(30NM)
暴風警戒域
全域 260km(140NM)

<07日09時の予報>
強さ
強い
存在地域
石垣島の南西 約110km
予報円の中心
北緯 23度35分(23.6度)

  東経 123度30分(123.5度)
進行方向、速さ
西 15km/h(9kt)
中心気圧
945hPa
中心付近の最大風速
40m/s(80kt)
最大瞬間風速
60m/s(115kt)
予報円の半径
90km(50NM)
暴風警戒域
全域 310km(170NM)

<07日15時の予報>
強さ
非常に強い
存在地域
-
予報円の中心
北緯 23度55分(23.9度)

  東経 122度55分(122.9度)
進行方向、速さ
北西 15km/h(8kt)
中心気圧
940hPa
中心付近の最大風速
45m/s(85kt)
最大瞬間風速
60m/s(120kt)
予報円の半径
110km(60NM)
暴風警戒域
全域 350km(190NM)

<07日21時の予報>
強さ
非常に強い
存在地域
与那国島の西南西 約70km
予報円の中心
北緯 24度20分(24.3度)

  東経 122度25分(122.4度)
進行方向、速さ
北西 10km/h(6kt)
中心気圧
935hPa
中心付近の最大風速
45m/s(85kt)
最大瞬間風速
60m/s(120kt)
予報円の半径
130km(70NM)
暴風警戒域
全域 390km(210NM)

JMA預報:未來24小時莫拉克颱風的行徑速度將減至10km/hr
7號晚間九點尚未登陸台灣
中心氣壓可來到935hPa
近中心最大風速可來到45m/s
瞬間最大之陣風可來到60m/s

2009-8-7
台風第8号 (モーラコット)
平成21年08月07日07時45分 発表

<07日07時の実況>
大きさ
大型
強さ
強い
存在地域
西表島の南 約110km
中心位置
北緯 23度25分(23.4度)

  東経 123度35分(123.6度)
進行方向、速さ
西 15km/h(7kt)
中心気圧
950hPa
中心付近の最大風速
40m/s(80kt)
最大瞬間風速
60m/s(115kt)
25m/s以上の暴風域
全域 220km(120NM)
15m/s以上の強風域
全域 650km(350NM)

<07日08時の推定>
大きさ
大型
強さ
強い
存在地域
西表島の南 約110km
中心位置
北緯 23度25分(23.4度)

  東経 123度30分(123.5度)
進行方向、速さ
西 15km/h(7kt)
中心気圧
950hPa
中心付近の最大風速
40m/s(80kt)
最大瞬間風速
60m/s(115kt)
25m/s以上の暴風域
全域 220km(120NM)
15m/s以上の強風域
全域 650km(350NM)

<07日12時の予報>
強さ
強い
存在地域
-
予報円の中心
北緯 23度30分(23.5度)

  東経 123度05分(123.1度)
進行方向、速さ
西北西 15km/h(7kt)
中心気圧
950hPa
中心付近の最大風速
40m/s(80kt)
最大瞬間風速
60m/s(115kt)
予報円の半径
60km(30NM)
暴風警戒域
全域 280km(150NM)

<07日18時の予報>
強さ
強い
存在地域
与那国島の南南西 約100km
予報円の中心
北緯 23度40分(23.7度)

  東経 122度30分(122.5度)
進行方向、速さ
西北西 10km/h(6kt)
中心気圧
945hPa
中心付近の最大風速
40m/s(80kt)
最大瞬間風速
60m/s(115kt)
予報円の半径
90km(50NM)
暴風警戒域
全域 310km(170NM)

<08日00時の予報>
強さ
強い
存在地域
-
予報円の中心
北緯 24度10分(24.2度)

  東経 122度00分(122.0度)
進行方向、速さ
北西 15km/h(7kt)
中心気圧
955hPa
中心付近の最大風速
40m/s(75kt)
最大瞬間風速
55m/s(105kt)
予報円の半径
110km(60NM)
暴風警戒域
全域 300km(160NM)

<08日06時の予報>
強さ
強い
存在地域
台北付近
予報円の中心
北緯 24度50分(24.8度)

  東経 121度35分(121.6度)
進行方向、速さ
北西 15km/h(7kt)
中心気圧
965hPa
中心付近の最大風速
35m/s(70kt)
最大瞬間風速
50m/s(100kt)
予報円の半径
130km(70NM)
暴風警戒域
全域 260km(140NM)

JMA最新預測:明00:00~06:00由宜蘭─花蓮登陸
之前預測的45m/s也下修至40m/s(維持現況)
07fW21073
中央氣象局  颱風警報單
發    布    時    間:民國98年8月7日8時30分。

警    報    種    類:海上陸上颱風警報。
颱 風 強 度 及 編 號:中度颱風,編號第8號(國際命名:MORAKOT,中文譯名:莫拉克)
警    報    報    數:第13報。
中    心    氣    壓:955百帕。
目    前    時    間:7日8時。
中    心    位    置:北緯 23.5 度,東經 123.2 度,
                     即在宜蘭的東南方約 200 公里之海面上。
暴    風    半    徑:7級風暴風半徑 250 公里,10級風暴風半徑 100 公里。
預 測 速 度 及 方 向:以每小時12公里速度,向西北西轉北北西進行。
近 中 心 最 大 風 速:每秒 40 公尺(約每小時 144 公里),相當於 13 級風。
瞬 間 之 最 大 陣 風:每秒 50 公尺(約每小時 180 公里),相當於 15 級風。
預    測    時    間:8日8時。
預    測    位    置:北緯 25.1 度,東經 121.1 度,
                     即在新竹的北北東方約 30 公里之海面上。
颱    風    動    態:根據最新氣象資料顯示,第8號颱風中心目前在宜蘭東南方海面,向西北西移動,其暴
                     風圈已逐漸進入台灣東半部及北部陸地,各地風雨將持續增強。
警 戒 區 域 及 事 項:陸上:台灣各地(含綠島、蘭嶼及澎湖)及馬祖均應嚴加戒備,並防強風豪雨。
                     海上:台灣附近各海面航行及作業船隻應嚴加戒備。
                     *豪雨特報:北部、東北部、東部及中南部地區有豪雨或大豪雨,尤其山區有超大豪雨
                      發生的機率,東南部地區亦有局部性豪雨發生。
                     *自6日0時至7日8時止出現較大累積雨量如下: 苗栗縣泰安505毫米、嘉義縣
                      大湖384毫米、新竹縣鳥嘴山384毫米、雲林縣草嶺300毫米、屏東縣上德文
                      288毫米、高雄縣排雲285毫米、桃園縣高義261毫米、宜蘭縣太平山246
                      毫米、台北縣桶後240毫米、台北市竹子湖238毫米、台南縣大棟山215毫米
                      、台中縣石岡206毫米、南投縣望鄉205毫米、台中市大坑188毫米。各地出
                      現較大陣風如下:蘇澳及梧棲12級,基隆及東吉島11級,宜蘭及恆春10級。
                     *颱風影響期間,室外懸掛物、招牌、圍籬及鷹架等應加強固牢,陽台之盆景等應妥善
                      放置,排水溝渠應加強清理;民眾應避免進入山區及河川活動,山坡地區應嚴防坍方
                      、落石、土石流及山洪爆發;適逢大潮期間,沿海低漥地區應防淹水及海水倒灌。
                     *台灣各地區沿海風浪明顯增大,請民眾避免前往海邊活動。

下次警報預定發布時間為 8月7日11時30分
1987.09取消了實測後,氣象局就得自力更生,各國氣象單位也只能靠著專業和個人的猜謎能力和雲圖、天氣圖、超級電腦來判斷颱風強度、中心氣壓及暴風半徑的大小,所以即使是1987的郝麗颱風,縱使有人認為他是1987年的風王,但JTWC的德札札克分析法,也只給了她898百帕,140KTS的封頂強度,這在歷年的超級強烈颱風之列是不突出的,沒辦法,沒實測啊!不過氣象局倒很大方,好像給了它70公尺以上的數據,由於當時傑魯得颱風正在侵襲台灣,大家重心都不在郝麗身上,就為世人所遺忘了。
我發現氣象局912百帕,55公尺的封頂強度,是經過很多年的實驗和推測才定的,依個人25多年的觀察,1988年你會明顯發現颱風強度平均大大降低,那年的風王尼爾森,935百帕,63公尺,300公里半徑,(仔象學報竟寫它898百帕/72公尺)遠遜當年大西洋吉伯特颶風的885百帕,78公尺,420公里半徑。吉伯特是大西洋百年史上的風王!(有人認為這紀錄已被2005威瑪打破)。
但整體來看,1988仍有些颱風被估的還算不錯,如海爾、斯凱普、華倫,仍有些早期高估的影子在,依次分別給出了51、60、55公尺的風速。倒是十月的魯碧被低估了,就48/300,和桑美二世一樣,差那臨門一腳就變強颱。
之後,1989,8901安迪達到氣象局記錄最後一次中心風速達到70公尺者,是當年的風王,其餘安吉拉如西馬隆一樣,是個小而紮實的超級強烈颱風,7月的超級強烈颱風戈登因發布陸警,曾在報上風光轟動一陣子,920/65公尺/300公里的計測也十分實際,可憐的是11月的婀瑪,既強又大,被嚴重低估許多,也只有60公尺/300公里的半徑。
90年風王佩姬,63公尺/300,麥克極強,但劣者沒記錄,傳聞達到75公尺。芙蘿有910/58/250公里的實力,但小而巧。
91年露絲達到910/58/350,雖被低做,但我勉強接受,最可憐的是尤瑞,才920/55/300,是新制的極大犧牲者!
92年出現艾爾西、蓋依、伊凡德等超級颱風,得到60、61公尺的評價,差強人意!
93年唯有艾德,達到920/61/300公里的實力。
94年開始差不多逐漸明顯進入魔咒時代,道格的910/58/350,弗雷特的925/55/350,席斯的925/55/350,梅莉莎的915/58/300,白白浪費這年含金量這麼高的颱風季。
95年除奧斯卡達到920/58/350外,即使強如安琪拉,在氣象局眼中只有53/300的水準!奧斯卡是最後一個颱風得到58公尺的評價,之後至今,颱風再強,頂多也只有910/55的水準了,這已進入進十多年的記錄,像伊凡、瓊恩、溫妮、瑞伯、戴兒、賀伯、巴特、魏萊特、畢利斯、桑美、丹瑞、風神、彭梭娜、盧碧、梅米、電母、暹芭,娜比、海棠、西馬隆、柯蘿莎、薔薇、聖帕......還有一堆,哪一個不是新制的犧牲者?
所以一旦颱風增強為強烈颱風,配合JTWC的數據,不要差太多,我都一律當超級強烈颱風看待了。
前年任立渝說要柯蘿莎中心風速增強到60公尺,就會變成超級強烈颱風,真不知他的根據從何而來?既然氣象局早取消此稱號,他60公尺的標準又是誰訂的呢?知道的人說一下吧! 各地風力(8/6 08:00~8/7 08:00)
(以陣風大小進行排序,其次風力):
1.蘭嶼--風力12級/陣風16級
2.梧棲--風力8級/陣風12級
3.蘇澳--風力6級/陣風12級
4.彭佳嶼--風力8級/陣風11級
4.基隆--風力8級/陣風11級
6.桃園--風力8級/陣風10級
7.宜蘭--風力5級/陣風10級
7.恆春--風力5級/陣風10級
9.陽明山--風力3級/陣風10級
10.台南--風力6級/陣風9級
10.高雄--風力6級/陣風9級
12.嘉義--風力5級/陣風9級
12.馬祖--風力5級/陣風9級
12.新竹--風力5級/陣風9級
15.台中--風力4級/陣風9級
15.台北--風力4級/陣風9級
15.花蓮--風力4級/陣風9級
18.淡水--風力4級/陣風8級
18.澎湖--風力4級/陣風8級
20.大武--風力3級/陣風8級
21.成功--風力4級/陣風6級
22.金門--風力3級/陣風X級
23.台東--風力2級/陣風X級
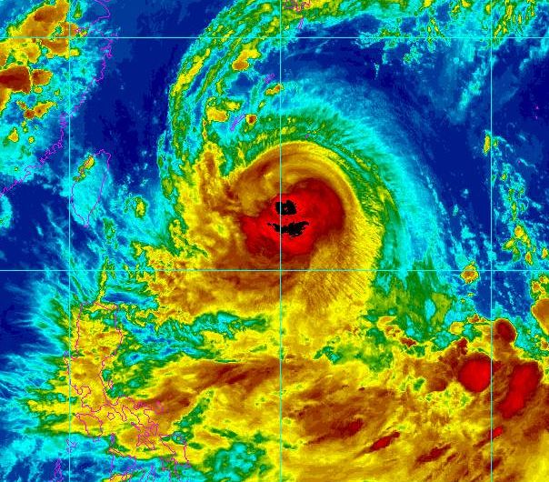
j090808070900.jpg
中度颱風 〈莫拉克〉07日09時30分最新衛星雲圖

目前中心位置〈08/07 08:00〉  宜蘭的東南方約200公里之海面上

近中心最大風速  40 m/s 〈約144km/hr〉 相當於 13 級風

瞬間之最大陣風  50 m/s 〈約180km/hr〉 相當於 15 級風

7級風暴風半徑   250 km

10級風暴風半徑   100 km

中心氣壓     955 hPa

過去路徑  西北西  , 時速  23 km/hr
未來行徑西北西→北北西, 時速  12 km/hr

預測中心位置〈08/08 08:00〉  新竹的北北東方約30公里之海面上

目前發布颱風警報:
海上颱風警報/警戒範圍:台灣附近各海面

陸上颱風警報/警戒範圍:台灣各地(含綠島、蘭嶼及澎湖)


●各地測量●
各地(8/6 08:00~8/7 09:00)出現最大風力
(以陣風大小進行排序,其次風力):
1.蘭嶼--風力12級/陣風16級
2.梧棲--風力8級/陣風12級
3.蘇澳--風力6級/陣風12級
4.彭佳嶼--風力8級/陣風11級
4.基隆--風力8級/陣風11級
6.花蓮--風力7級/陣風11級
7.恆春--風力6級/陣風11級
8.桃園--風力8級/陣風10級
9.宜蘭--風力6級/陣風10級
9.台南--風力6級/陣風10級
9.高雄--風力6級/陣風10級
12.陽明山--風力4級/陣風10級
13.嘉義--風力5級/陣風9級
13.馬祖--風力5級/陣風9級
13.新竹--風力5級/陣風9級
16.台中--風力4級/陣風9級
16.台北--風力4級/陣風9級
16.淡水--風力4級/陣風9級
19.澎湖--風力4級/陣風8級
20.大武--風力3級/陣風8級
21.成功--風力4級/陣風6級
22.金門--風力3級/陣風X級
23.台東--風力2級/陣風X級各地雨量:
1.嘉義大湖國小 雨量350.0mm
2.屏東三地門  雨量315.0mm
3.嘉義奮起湖  雨量299.5mm
4.高雄桃源鄉  雨量278.5mm
5.雲林古坑鄉  雨量268.5mm8/7(五)辦公訊息:
停班停課縣市--
基隆巿、台北巿、台北縣、桃園縣、新竹市、新竹縣、苗栗縣、台中市、台中縣、彰化縣、雲林縣、南投縣、嘉義市、嘉義縣、台南市、台南縣、高雄市、高雄縣、屏東縣、宜蘭縣、花蓮縣、台東縣、澎湖縣
上班停課縣市(無)

上班上課縣市--
連江縣(上午)、金門縣(上午)

尚未宣布(無)07fW21075
中央氣象局  颱風警報單
發    布    時    間:民國98年8月7日14時30分。

警    報    種    類:海上陸上颱風警報。
颱 風 強 度 及 編 號:中度颱風,編號第8號(國際命名:MORAKOT,中文譯名:莫拉克)
警    報    報    數:第15報。
中    心    氣    壓:955百帕。
目    前    時    間:7日14時。
中    心    位    置:北緯 23.4 度,東經 122.4 度,
                     即在宜蘭的南南東方約 160 公里之海面上。
暴    風    半    徑:7級風暴風半徑 250 公里,10級風暴風半徑 100 公里。
預 測 速 度 及 方 向:以每小時11公里速度,向北北西進行。
近 中 心 最 大 風 速:每秒 40 公尺(約每小時 144 公里),相當於 13 級風。
瞬 間 之 最 大 陣 風:每秒 50 公尺(約每小時 180 公里),相當於 15 級風。
預    測    時    間:8日14時。
預    測    位    置:北緯 25.4 度,東經 121.0 度,
                     即在新竹的北方約 60 公里之海面上。
颱    風    動    態:根據最新氣象資料顯示,第8號颱風過去移動方向偏西,其中心已進入台灣東部近海。
                     預計此颱風未來將朝向北北西移動,其暴風圈籠罩台灣各地,各地風雨持續中。
警 戒 區 域 及 事 項:陸上:台灣各地(含綠島、蘭嶼及澎湖)及馬祖均應嚴加戒備,並防強風豪雨。
                     海上:台灣附近各海面航行及作業船隻應嚴加戒備。
                     *豪雨特報:北部、東北部、東部及中南部地區有豪雨或大豪雨,尤其山區有超大豪雨
                      發生的機率,東南部地區亦有局部性豪雨發生。
                     *自6日0時至7日14時止出現較大累積雨量如下:苗栗縣泰安661毫米、嘉義縣
                      大湖560毫米、屏東縣上德文560毫米、新竹縣鳥嘴山483毫米、高雄縣排雲
                      464毫米、宜蘭縣太平山459毫米、雲林縣草嶺436毫米、桃園縣復興349
                      毫米、南投縣望鄉307毫米、台南縣大棟山299毫米、台北縣四十份291毫米
                      、台北市竹子湖265毫米、台中縣稍來253毫米。各地出現較大陣風如下:花蓮
                      13級,蘇澳、梧棲及東吉島12級,基隆、高雄、恆春及馬祖11級,宜蘭、台北
                      、台中、嘉義及台南10級。
                     *颱風影響期間,室外懸掛物、招牌、圍籬及鷹架等應加強固牢,陽台之盆景等應妥善
                      放置,排水溝渠應加強清理;民眾應避免進入山區及河川活動,山坡地區應嚴防坍方
                      、落石、土石流及山洪爆發;適逢大潮期間,沿海低漥地區應防淹水及海水倒灌。
                     *台灣各地區沿海風浪明顯增大,請民眾避免前往海邊活動。

下次警報預定發布時間為 8月7日17時30分 排行雨量(毫米) 測站名稱測站代碼所在地12345678910
660.5
泰安
C1E72
苗栗縣泰安鄉
560.0
上德文
C1R12
屏東縣三地門鄉(德文村)
559.5
大湖
C1M57
嘉義縣番路鄉(大湖國小)
551.0
鳳美
C1E48
苗栗縣南庄鄉
507.5
樟腦寮
C1M48
嘉義縣竹崎鄉
482.5
鳥嘴山
C1D40
新竹縣尖石鄉
463.5
排雲
C1V17
高雄縣桃源鄉
459.0
太平山
C0U71
宜蘭縣大同鄉
451.0
雪霸
C0D55
新竹縣五峰鄉
437.5
奮起湖
C0M53
嘉義縣竹崎鄉(中興苗圃)

今日停班停課狀況(8/7)

今日全台各地皆停班停課
連江縣今日下午宣佈停班停課
金門縣下午照常上班上課 中度颱風 〈莫拉克〉 目前中心位置〈08/0715:00〉  宜蘭的南南東方約160公里之海面上

近中心最大風速  40 m/s 〈約144km/hr〉 相當於 13 級風

瞬間之最大陣風  50 m/s 〈約180km/hr〉 相當於 15 級風

7級風暴風半徑   250 km

10級風暴風半徑   100 km

中心氣壓     955 hPa

過去路徑   西   , 時速   7 km/hr
未來行徑  北北西  , 時速  11 km/hr

預測中心位置〈08/08 14:00〉  新竹的北方約 60 公里之海面上

目前發布颱風警報:
海上颱風警報/警戒範圍:台灣附近各海面

陸上颱風警報/警戒範圍:台灣各地(含綠島、蘭嶼及澎湖)


●各地測量●
各地(8/6 08:00~8/7 15:00)出現最大風力
1.蘭嶼--風力13級/陣風17級以上
2.花蓮--風力9級/陣風14級
3.東吉島--風力10級/陣風12級
3.梧棲--風力8級/陣風12級
3.蘇澳--風力6級/陣風12級
4.彭佳嶼--風力8級/陣風11級
4.基隆--風力8級/陣風11級
4.桃園--風力8級/陣風11級
4.台南--風力7級/陣風11級
4.恆春--風力6級/陣風11級
4.馬祖--風力6級/陣風11級
4.高雄--風力6級/陣風11級
5.宜蘭--風力7級/陣風10級
5.嘉義--風力5級/陣風10級
5.台中--風力5級/陣風10級
5.台北--風力4級/陣風10級
5.陽明山--風力4級/陣風10級
6.新竹--風力5級/陣風9級
6.澎湖--風力5級/陣風9級
6.淡水--風力4級/陣風9級
7.大武--風力3級/陣風8級
8.成功--風力4級/陣風6級
8.台東--風力3級/陣風6級



各地風力預測:
                                
各地雨量(8/6 0:00~8/715:00):
苗栗縣泰安  669毫米
屏東縣上德文 625毫米
嘉義縣大湖  591毫米
宜蘭縣太平山 497毫米
新竹縣鳥嘴山 495毫米
高雄縣排雲  495毫米
雲林縣草嶺  448毫米
桃園縣復興  363毫米
南投縣望鄉  319毫米
台南縣大棟山 318毫米
台北縣四十份 297毫米
台北市竹子湖 268毫米
台中縣稍來  257毫米

各地雨量預測:
   
8/7(五)辦公訊息:
停班停課縣市--
基隆巿、台北巿、台北縣、桃園縣、新竹市、新竹縣、苗栗縣、台中市、台中縣、彰化縣、雲林縣、南投縣、嘉義市、嘉義縣、台南市、台南縣、高雄市、高雄縣、屏東縣、宜蘭縣、花蓮縣、台東縣、澎湖縣、連江縣(下午)
上班停課縣市(無)

上班上課縣市--
金門縣(下午)

尚未宣布(無)

8/8(六)辦公訊息(尚未公布)

====================================
15:00蘭嶼出現17級以上之強陣風
莫拉克颱風速度減慢
14:00~15:00颱風北偏
影響時間拉長
15:15CWB上修中南部總雨量預估至1400mm之驚人雨量
北部上修至900~1100mm雨量相當可觀
目前莫拉克颱風的10級風暴風圈已經進入東部地區
中心鄰近花東地區
不排除在花東一帶登陸 07fW21076
中央氣象局  颱風警報單
發    布    時    間:民國98年8月7日17時30分。

警    報    種    類:海上陸上颱風警報。
颱 風 強 度 及 編 號:中度颱風,編號第8號(國際命名:MORAKOT,中文譯名:莫拉克)
警    報    報    數:第16報。
中    心    氣    壓:955百帕。
目    前    時    間:7日17時。
中    心    位    置:北緯 23.5 度,東經 122.3 度,
                     即在花蓮的東南方約 90 公里之海面上。
暴    風    半    徑:7級風暴風半徑 250 公里,10級風暴風半徑 100 公里。
預 測 速 度 及 方 向:以每小時11公里速度,向北北西進行。
近 中 心 最 大 風 速:每秒 40 公尺(約每小時 144 公里),相當於 13 級風。
瞬 間 之 最 大 陣 風:每秒 50 公尺(約每小時 180 公里),相當於 15 級風。
預    測    時    間:8日17時。
預    測    位    置:北緯 25.5 度,東經 120.9 度,
                     即在新竹的北方約 80 公里之海面上。
颱    風    動    態:根據最新氣象資料顯示,第8號颱風目前中心在台灣東部近海,預計此颱風未來將朝向
                     北北西移動,其暴風圈籠罩台灣各地,各地風雨持續中。
警 戒 區 域 及 事 項:陸上:台灣各地(含綠島、蘭嶼及澎湖)及馬祖均應嚴加戒備,並防強風豪雨。
                     海上:台灣附近各海面航行及作業船隻應嚴加戒備。
                     *豪雨特報:北部、東北部、東部及中南部地區有豪雨或大豪雨,尤其山區有超大豪雨
                      發生的機率,東南部地區亦有局部性豪雨發生。
                     *自6日0時至7日17時止出現較大累積雨量如下:屏東縣上德文703毫米、苗栗
                      縣泰安692毫米、嘉義縣大湖648毫米、宜蘭縣太平山547毫米、高雄縣排雲
                      540毫米、新竹縣鳥嘴山516毫米、雲林縣草嶺494毫米、桃園縣復興378
                      毫米、南投縣望鄉355毫米、台南縣大棟山344毫米、台北縣四十份303毫米
                      、台北市竹子湖289毫米、台中縣稍來269毫米。各地出現較大陣風如下:花蓮
                      14級,蘇澳、梧棲及東吉島12級,基隆、台南、高雄、恆春及馬祖11級,宜蘭
                      、台北、台中及嘉義10級。
                     *颱風影響期間,室外懸掛物、招牌、圍籬及鷹架等應加強固牢,陽台之盆景等應妥善
                      放置,排水溝渠應加強清理;民眾應避免進入山區及河川活動,山坡地區應嚴防坍方
                      、落石、土石流及山洪爆發;適逢大潮期間,沿海低漥地區應防淹水及海水倒灌。
                     *台灣各地區沿海風浪明顯增大,請民眾避免前往海邊活動。
傍晚五點距離花蓮縣壽豐鄉東南東方約90公里
由於今天下午開始颱風再次中心附近滯留,移動速度相當緩慢,影響台灣時間再度延長。
預料在今天夜間前後將登陸宜蘭蘇澳以南至花蓮壽豐以北
請宜蘭縣及花蓮縣民眾嚴加防範暴風即暴雨
18264868.jpg


j090808071700.jpg
中度颱風 〈莫拉克〉07日18 時0分最新衛星雲圖

目前中心位置〈08/07 17:00〉  花蓮的東南方約90公里之海面上

近中心最大風速  40 m/s 〈約144km/hr〉 相當於 13 級風

瞬間之最大陣風  50 m/s 〈約180km/hr〉 相當於 15 級風

7級風暴風半徑   250 km

10級風暴風半徑   100 km

中心氣壓     955 hPa

過去路徑    西北   , 時速   5 km/hr
未來行徑  北北西  , 時速  11 km/hr

預測中心位置〈08/08 17:00〉  新竹的北方約80公里之海面上

目前發布颱風警報:
海上颱風警報/警戒範圍:台灣附近各海面

陸上颱風警報/警戒範圍:台灣各地(含綠島、蘭嶼及澎湖)


●各地測量●
各地(8/6 08:00~8/7 17:00)出現最大風力
1.蘭嶼--風力13級/陣風17級以上
2.花蓮--風力9級/陣風14級
3.東吉島--風力10級/陣風12級
3.梧棲--風力8級/陣風12級
3.彭佳嶼--風力8級/陣風12級
3.蘇澳--風力7級/陣風12級
3.恆春--風力7級/陣風12級
4.基隆--風力8級/陣風11級
4.桃園--風力8級/陣風11級
4.台南--風力7級/陣風11級
4.馬祖--風力6級/陣風11級
4.高雄--風力6級/陣風11級
5.宜蘭--風力7級/陣風10級
5.嘉義--風力5級/陣風10級
5.台中--風力5級/陣風10級
5.台北--風力4級/陣風10級
5.陽明山--風力4級/陣風10級
6.新竹--風力5級/陣風9級
6.澎湖--風力5級/陣風9級
6.淡水--風力4級/陣風9級
6.大武--風力3級/陣風9級
6.成功--風力4級/陣風9級
7.台東--風力3級/陣風6級



各地風力預測:
                                
各地雨量(8/6 0:00~8/717:00):
屏東縣上德文 703毫米
苗栗縣泰安  692毫米
嘉義縣大湖  648毫米
宜蘭縣太平山 547毫米
高雄縣排雲  540毫米
新竹縣鳥嘴山 516毫米
雲林縣草嶺  494毫米
桃園縣復興  378毫米
南投縣望鄉  355毫米
台南縣大棟山 344毫米
台北縣四十份 303毫米
台北市竹子湖 289毫米
台中縣稍來  269毫米

各地雨量預測:
   
8/8(六)辦公訊息:
停班停課縣市(無)

上班停課縣市(無)

上班上課縣市(無)

尚未宣布--
基隆巿、台北巿、台北縣、桃園縣、新竹市、新竹縣、苗栗縣、台中市、台中縣、彰化縣、雲林縣、南投縣、嘉義市、嘉義縣、台南市、台南縣、高雄市、高雄縣、屏東縣、宜蘭縣、花蓮縣、台東縣、澎湖縣、連江縣、金門縣

未達停班停課標準之縣市--
基隆市、台北市、台北縣、桃園縣、新竹市、新竹縣、苗栗縣、花蓮縣


莫拉克颱風過去3小時呈現停滯狀態
影響時間將拉長
CWB的定位和CWB的路徑變化圖有些許出入
此次繪圖以定位繪圖=======晚間二十時位於花蓮市東南方約60公里的海面上,過去持續偏西北進行,速度大約維持在10公里。
依目前路徑資料來看,最快於夜間到清晨登陸宜蘭礁溪以南至花蓮市以北
48620035.jpg


今天凌晨至晚間九點為止...單日累積最大降雨量前10
1
841.5
上 德 文
C1R12
屏東縣三地門鄉
2
659.5
大 湖
C1M57
嘉義縣番路鄉
3
608.0
尾 寮 山
C0R10
屏東縣三地門鄉
4
592.0
排 雲
C1V17
高雄縣桃源鄉
5
584.0
牡 丹
C0R34
屏東縣牡丹鄉
6
564.0
樟 腦 寮
C1M48
嘉義縣梅山鄉
7
531.0
太 平 山
C0U71
宜蘭縣大同鄉,蘭陽溪流域
8
515.0
奮 起 湖
C0M53
嘉義縣竹崎鄉
9
496.0
草 嶺
C0K24
雲林縣古坑鄉
10
481.0
玉 山
46755
嘉義縣阿里山鄉(氣象站)

昨天凌晨至今晚九點為止...累積最大降雨量前20
1
878.5
上 德 文
C1R12
屏東縣三地門鄉
2
759.0
大 湖
C1M57
嘉義縣番路鄉
3
707.0
泰 安
C1E72
苗栗縣泰安鄉
4
699.0
樟 腦 寮
C1M48
嘉義縣梅山鄉
5
649.0
排 雲
C1V17
高雄縣桃源鄉
6
644.5
尾 寮 山
C0R10
屏東縣三地門鄉
7
628.0
太 平 山
C0U71
宜蘭縣大同鄉,蘭陽溪流域
8
600.5
草 嶺
C0K24
雲林縣古坑鄉
9
586.0
牡 丹
C0R34
屏東縣牡丹鄉
10
583.5
奮 起 湖
C0M53
嘉義縣竹崎鄉
11
573.0
鳳 美
C1E48
苗栗縣南庄鄉,竹南沿海河系流域
12
545.5
頭 凍
C1M60
嘉義縣番路鄉
13
544.5
鳥 嘴 山
C1D40
新竹縣尖石鄉,頭前溪流域
14
529.0
雪 霸
C0D55
新竹縣五峰鄉
15
527.5
馬 頭 山
C0M41
嘉義縣大埔鄉
16
525.0
玉 山
46755
嘉義縣阿里山鄉(氣象站)
17
523.5
石 磐 龍
C1M61
嘉義縣竹崎鄉
18
471.5
御 油 山
C1V30
高雄縣桃源鄉
19
465.0
豐 山
C1M63
嘉義縣阿里山鄉
20
461.5
瀨 頭
C1M39
嘉義縣阿里山鄉









回復

使用道具 舉報

簽到天數: 1717 天

[LV.Master]伴壇終老

howard2639|2012-5-30 21:47 | 顯示全部樓層
i@GG@.png

目前的雷達回波

現在颱風的雨帶主要分布在南部地區

另外則是北宜一帶

宜蘭現在應該右感受到新一波風雨吧

我高雄這裡就不用說了XD

一整天都飆風雨

==============================================================

2009-8-8

 1003.5
      上德文
 C1R12
    屏東縣三地門鄉(德文村)



j090808080000.jpg


中度颱風 〈莫拉克〉08日0 時30分最新衛星雲圖

目前中心位置〈08/07 0:00〉  花蓮的東南方約30公里之海面上

近中心最大風速  40 m/s 〈約144km/hr〉 相當於 13 級風

瞬間之最大陣風  50 m/s 〈約180km/hr〉 相當於 15 級風

7級風暴風半徑   250 km

10級風暴風半徑   100 km

中心氣壓     955 hPa

過去路徑  西北西  , 時速  10 km/hr
未來行徑  北北西  , 時速  10 km/hr

預測中心位置〈08/08 23:00〉  新竹的北北西方約110公里之海面上

目前發布颱風警報:
海上颱風警報/警戒範圍:台灣附近各海面

陸上颱風警報/警戒範圍:台灣各地(含綠島、蘭嶼及澎湖)


●各地測量●
各地(8/6 08:00~8/7 0:00)出現最大風力
1.蘭嶼--風力13級/陣風17級以上
2.花蓮--風力9級/陣風14級
3.梧棲--風力9級/陣風13級
3.彭佳嶼--風力8級/陣風13級
4.蘇澳--風力8級/陣風12級
4.恆春--風力7級/陣風12級
5.基隆--風力8級/陣風11級
5.台南--風力7級/陣風11級
5.高雄--風力6級/陣風11級
5.宜蘭--風力7級/陣風10級
5.嘉義--風力5級/陣風10級
5.台中--風力5級/陣風10級
5.台北--風力5級/陣風10級
6.新竹--風力5級/陣風9級
6.澎湖--風力5級/陣風9級
6.大武--風力4級/陣風9級
6.成功--風力4級/陣風9級
7.台東--風力4級/陣風7級

各地雨量(8/6 0:00~8/8 0:00):
屏東縣上德文1041毫米
嘉義縣大湖808毫米
苗栗縣泰安726毫米
宜蘭縣太平山726毫米
高雄縣排雲685毫米
雲林縣草嶺638毫米
新竹縣鳥嘴山589毫米
台南縣曾文512毫米
南投縣望鄉504毫米
桃園縣巴陵486毫米
台北市竹子湖398毫米
台北縣四堵376毫米
台東縣向陽305毫米
台中縣稍來290毫米
花蓮縣大禹嶺234毫米

8/8(六)辦公訊息:
停班停課縣市--
台北市、台北縣、桃園縣、新竹市、新竹縣、苗栗縣、台中市、台中縣、彰化縣、雲林縣、南投縣、嘉義市、嘉義縣、台南市、台南縣、高雄市、高雄縣、屏東縣、連江縣

上班停課縣市(無)

上班上課縣市--
基隆市、宜蘭縣、花蓮縣、台東縣、澎湖縣、金門縣


尚未宣布(無)
============================================================

屏東雨量破千毫米!!
雨仍持續下
中南部其他地區也已來到600~800mm

我發的15:00(含)那一報以前的Google定位皆為錯誤
0:00這一報已經全部更正
在此為定位錯誤道歉

辦公資訊大翻案!!
台北市、台北縣、桃園縣、新竹市、新竹縣、苗栗縣
8/8(六)原為照常上班上課
已於稍早更改為
停止上班上課
至於
基隆市、宜蘭縣、花蓮縣、台東縣、澎湖縣、金門縣
8/8(六)則維持照常上班上課
======================================================================
NkLZ@.png

莫拉克經過下午的滯留 龜速之後

晚上開始走向西北

也在23:50在花蓮市登陸了(不過從雷達看應該是更早以前)

不過目前中心有點被中央山脈擋到

似乎是過不了山的狀況XD

台中氣壓一直很低~應該有副中心

所以有可能出現分裂過山的狀況

05年強颱泰利也出現過分裂過山

所以還是要觀察看看~也有可能主中心抓到空隙溜過去

明天早上不論任何方式

應該已經到達西部地區了

圖上藍圈的部份回波相當強

從昨天下午開始~南部風雨一直相當恐怖的強

我個人住高雄~風雨隨著時間不斷增強中

目前已經是暴力才能形容了=  ="

不過颱風過山相當慢~恐怕暴力的風雨還要持續一天...

強度則是會開始減弱了

早上起來可能強度已經剩下 32~35 m/s

明天下午可能就剩下輕颱的實力

風力將會逐漸的減弱...不過假還是該放

基隆凌晨會宣佈 沒意外的話明天應該右是全島放假

雨的部份

中南部將會持續下下去~

三地門 上德文 昨天雨量已經破千

預估中南部(尤其山區)明天雨勢因為迎風面 會更大

東部則要小心焚風~台東現在可能開始了....

北部則是偶爾還會有風雨~還是要注意

外島方面

金門預估明天還是在暴風圈外

不過受外圍雲系影響~還是可能下點雨

馬祖則要注意~明天颱風可是對著那里過去的

澎湖持續在暴風圈內

隨著颱風過山 風雨也會加大

風的部份 因為是海島還是很強

所以還是要注意

OK~希望大家有個平安的颱風夜
j090808070900.jpg
中度颱風 〈莫拉克〉08日09時30分

目前中心位置〈08/07 09:00〉  台北的南方約40公里之處

近中心最大風速  33 m/s 〈約119km/hr〉 相當於 12 級風

瞬間之最大陣風  43 m/s 〈約155km/hr〉 相當於 14 級風

7級風暴風半徑   250 km

10級風暴風半徑  80  km

中心氣壓     970 hPa

過去路徑   北   , 時速  11 km/hr
未來行徑  北北西  , 時速  11 km/hr

預測中心位置〈08/08 08:00〉  台北的北北西方約220公里之海面上

目前發布颱風警報:
海上颱風警報/警戒範圍:台灣附近各海面

陸上颱風警報/警戒範圍:台灣各地(含綠島、蘭嶼及澎湖)


●各地測量●
各地(8/6 08:00~8/7 09:00)出現最大風力
1.蘭嶼--風力13級/陣風17級以上
1.彭佳嶼--風力13級/陣風17級以上
2.花蓮--風力9級/陣風14級
3.梧棲--風力9級/陣風13級
3.成功--風力8級/陣風13級
4.蘇澳--風力8級/陣風12級
4.恆春--風力7級/陣風12級
5.基隆--風力8級/陣風11級
5.台南--風力7級/陣風11級
5.高雄--風力6級/陣風11級
5.大武--風力5級/陣風11級
6.宜蘭--風力7級/陣風10級
6.台東--風力6級/陣風10級
6.嘉義--風力5級/陣風10級
6.台中--風力5級/陣風10級
6.台北--風力5級/陣風10級
6.澎湖--風力7級/陣風10級
7.新竹--風力5級/陣風9級


各地雨量(8/6 0:00~8/7 09:00):
屏東縣上德文 1484毫米
嘉義縣大湖  1040毫米
高雄縣御油山 953毫米
宜蘭縣太平山 762毫米
雲林縣草嶺  771毫米
台南縣曾文  759毫米
苗栗縣泰安  729毫米
南投縣望鄉  727毫米
台東縣土阪  701毫米
新竹縣鳥嘴山 605毫米
桃園縣巴陵  525毫米
高雄市    496毫米
台北市竹子湖 448毫米
台北縣四堵  441毫米
台中縣稍來  322毫米
花蓮縣大禹嶺 269毫米
台南市    267毫米

8/8(六)辦公訊息:
停班停課縣市--
台北市、台北縣、桃園縣、新竹市、新竹縣、苗栗縣、台中市、台中縣、彰化縣、雲林縣、南投縣、嘉義市、嘉義縣、台南市、台南縣、高雄市、高雄縣、屏東縣、台東縣(成功鎮、長濱鄉、綠島鄉)、連江縣

上班停課縣市--
基隆市、宜蘭縣
上班上課縣市--
花蓮縣、台東縣(成功鎮、長濱鄉、綠島鄉除外)、澎湖縣、金門縣


尚未宣布(無)
=====================================
屏東地區雨量已突破之前中央氣象局的1400毫米
中央氣象局將總雨量預估上修至2000毫米
彭佳嶼出現了17級以上之強陣風

莫拉克颱風在昨日23:50於花蓮市附近登陸
預計今天下午出海
強度將持續減弱
中南部地區應嚴防豪雨

稍早長濱鄉宣布今(8/8六)停班停課
=====================================================================
至今天中午12點為止....全台最大累積雨量前兩名

1
1570.0
上 德 文
C1R12
屏東縣三地門鄉
2
1482.5
尾 寮 山
C0R10
屏東縣三地門鄉

尾寮山測站的降雨量急昇中....大有後來居上的態勢
目前上德文測站的 1570.0mm
已經超越2004年艾利颱風於苗栗馬達拉測站創下的 1546.0mm...暫居歷史第八位
即將超越去年辛樂克颱風於台中雪嶺測站締造的 1608.0mm
另外根據氣象局的自動雨量測站數據
今天早上 5:00~6:00以及 6:00~7:00 之間
屏東萬巒鄉來義測站連續出現 128.5mm及 102.0mm的時雨量
9:00~10:00 之間屏東三地門鄉的尾寮山及古夏兩個側站
也分別出現 119.0mm及 110.5mm的時雨量
1614.0
上德文
C1R12
屏東縣三地門鄉(德文村)
1540.5
尾寮山
C0R10
屏東縣三地門鄉
雨量增多! 這個莫拉克颱風
風場不但大而且風力足
全台15個平地測站中除新竹測站之外
其他14個測站的最大陣風都達到10級以上
北側的彭佳嶼與南側的蘭嶼也都吹出了17級的陣風
這種大範圍風場的結構
連一些過往襲台的強烈颱風都比不上

日期
2008.09.28
2008.09.14
2007.10.06
2007.08.18
2005.10.02
2005.09.01
編號
0815
0813
0715
0708
0519
0513
譯名
薔蜜
辛樂克
柯羅莎
聖帕
龍王
泰利
登陸
宜蘭
宜蘭
宜蘭
花蓮
花蓮
花蓮
宜蘭
48.5
15
44.7
14
45.5
14
27.8
10
27.9
10
39.5
13
蘇澳
62.4
>17
58.6
17
52.7
16
35.2
12
34.1
12
48.4
15
基隆
34.9
12
39.6
13
49.6
15
31.1
11
27.9
10
49.3
15
台北
37.0
13
 
 
35.2
12
30.4
11
28.3
10
36.3
12
新竹
33.9
12
 
 
32.2
11
 
 
 
 
29.9
11
梧棲
46.1
14
30.7
11
46.4
15
27.3
10
42.4
14
48.6
15
台中
29.7
11
 
 
27.8
10
 
 
 
 
27.1
10
嘉義
 
 
 
 
27.3
10
 
 
 
 
31.7
11
台南
26.5
10
 
 
27.5
10
26.1
10
 
 
33.0
12
高雄
 
 
 
 
25.7
10
28.4
10
 
 
29.7
11
恆春
28.6
11
 
 
32.3
11
 
 
 
 
32.7
12
花蓮
39.6
13
 
 
41.1
13
30.3
11
64.9
>17
44.2
14
成功
34.5
12
28.5
11
36.0
12
51.1
16
31.2
11
33.9
12
台東
 
 
24.5
10
24.9
10
27.7
10
 
 
24.9
10
大武
 
 
 
 
24.8
10
 
 
 
 
28.4
10


日期
2005.072
2000.08.22
1996.07.31
1994.08.08
1994.07.10
編號
0505
0010
9608
9413
9405
譯名
海棠
碧利斯
賀伯
道格
提姆
登陸
宜蘭
成功
宜蘭
 
花蓮
宜蘭
36.8
12
29.9
11
35.6
12
36.3
12
34.9
12
蘇澳
43.2
14
35.2
12
52.1
16
59.9
17
54.0
16
基隆
36.5
12
24.8
10
59.5
17
39.9
13
32.2
11
台北
37.6
13
34.3
12
44.6
14
34.8
12
46.1
14
新竹
25.8
10
33.7
12
29.8
11
28.8
11
33.0
12
梧棲
41.9
14
35.5
12
36.9
12
28.1
10
27.2
10
台中
34.0
12
 
 
25.5
10
 
 
 
 
嘉義
 
 
 
 
27.8
10
 
 
25.4
10
台南
34.0
12
26.3
10
 
 
 
 
 
 
高雄
31.4
11
 
 
26.0
10
 
 
 
 
恆春
37.9
13
 
 
31.4
11
28.2
10
 
 
花蓮
58.5
17
28.9
11
28.8
11
37.5
13
42.1
14
成功
30.1
11
78.4
>17
34.8
12
39.5
13
50.8
15
台東
27.8
10
33.0
12
 
 
 
 
27.7
10
大武
28.0
10
25.6
10
25.9
10
27.1
10
 
 
  
     
          
1.屏東縣
三地門鄉
   
1258.0       
2.屏東縣
三地門鄉
  
1182.5      
3.屏東縣
三地門鄉
  2.0
539.0      
4.嘉義縣
大埔鄉
   
723.5      
5.嘉義縣
竹崎鄉
  12.5
597.0      
6.嘉義縣
竹崎鄉
   
622.0      
7.嘉義縣
阿里山鄉
  13.0
641.5      
8.嘉義縣
番路鄉
   
327.0      
9.高雄縣
桃源鄉
  
873.5      
10.高雄縣
桃源鄉
   
780.0  
太誇張....
時雨量92毫米
     
1. 屏東縣
三地門鄉
上德文
820m
1742.5
54
2. 屏東縣
三地門鄉
尾寮山
1018m
1669.0
51
3. 高雄縣
桃源鄉
御油山
1637m
1166.0
54
4. 嘉義縣
番路鄉
大湖
722m
1164.0
54
5. 嘉義縣
大埔鄉
馬頭山
245m
1077.0
54
6. 嘉義縣
竹崎鄉
奮起湖
1385m
1054.5
54
7. 屏東縣
瑪家鄉
瑪家
740m
1040.5
54
8. 高雄縣
桃源鄉
溪南
1792m
1003.0
54
9. 嘉義縣
竹崎鄉
樟腦寮
798m
990.0
54
10. 嘉義縣
竹崎鄉
石磐龍
1083m
983.5
54

iJvh@.png

颱風雖然在桃園出海了

不過這才是糟糕開始

颱風南邊的雲通通被帶上來

從昨天到現在南部地區(尤其屏東)的雨量已經爆表了                              

現在屏東已經多處掛點

沿海的 佳冬 東港 林邊 一帶已經淹水淹到二樓

而且可能會更糟......

台東太麻裡也是山洪暴發˙˙˙

高雄市內也是一片混亂髮

風雨相當強勁~

而且這場雨恐怕要繼續下下去= =


請跟我說,天祐南台灣 台風第8号 (モーラコット)
平成21年08月08日21時50分 発表
     
<08日21時の実況>
大きさ
大型
強さ
強い
存在地域
台湾海峡
中心位置
北緯 24度40分(24.7度)
  東経 120度20分(120.3度)
進行方向、速さ
西 ゆっくり
中心気圧
970hPa
最大風速
35m/s(65kt)
最大瞬間風速
50m/s(95kt)
25m/s以上の暴風域
全域 220km(120NM)
15m/s以上の強風域
南側 750km(400NM)
  北側 560km(300NM)

2009-8-9

剛剛CWB莫拉克強度降低了

近 中 心 最 大 風 速:每秒 28 公尺(約每小時 101 公里),相當於 10 級風。
瞬 間 之 最 大 陣 風:每秒 35 公尺(約每小時 126 公里),相當於 12 級風。
中    心    氣    壓:978百帕。
暴    風    半    徑:7級風暴風半徑 200 公里,10級風暴風半徑 - 公里 喔...今天一直清漏水

莫拉克有明顯的減弱了

這次颱風災情真的非常的慘....

颱風目前還是導引不強的狀況

速度到底有沒有CWB說的10KM都是問題=  =

暴風圈有望在晚上脫離台灣本島

目前從雷達看... 下載.jpg
目前強回波主要集中在西半部近海

從昨天晚上開始

雨帶隨著颱風北移

從雨量已經破紀錄的高屏地區一路往北

昨晚開始 輪到台南 嘉義地區發飆

嘉義地區的雨量預報已經上修到史無前例的2900mm                              

到目前為止的雨量.....嘉義阿里山佔住前兩名

8/9 0000~1700
排名      地              區      雨量(MM)
  1.  嘉義縣 阿里山鄉 阿里山     888.8
  2.  嘉義縣 竹 崎鄉 奮起湖     832.5

沒的意外的話˙˙˙恐怕今天阿里山會再度破千...

還好 目前嘉南地區風雨已經減弱下來了

而到今天下午 雨帶則是轉戰中彰投地區

現在甚至已經往苗栗擴展...

還好 雨帶有減弱趨勢....  =================================================================="季風環流圈: 季風環流圈是指藤原效應

8月上旬西北太平洋地區罕見地在極短時間內,同時有瑪莉亞、桑美、寶發3個颱風生成,三者一度構成正三角形;後來瑪莉亞往北走,留下寶發和桑美,距離逐漸縮小,且繞著兩者中心點逆時針旋轉,產生「藤原效應」。為何相距超過1000公里的颱風,彼此間會互相影響?

台灣大學大氣科學系教授吳俊傑表示,西北太平洋颱風主要的生成地,是在距離台灣幾千公里遠的關島附近海域,這裡是熱帶海洋表面海水較暖的「暖池(warm pool)」所在區域,夏秋時常有旺盛的對流系統生成;由於熱空氣密度小、氣壓低,會往上升,造成周圍空氣向內「輻合」,受地球自轉影響,北半球低壓環流都呈逆時針旋轉。

外圍環流 半徑千餘公里

在許多有利的大氣環境條件支持下,極少數低氣壓會逐漸組織加強,進而發展成可怕的熱帶風暴系統—颱風,西北太平洋地區平均每年約有30個。

當在海面吸滿水氣的熱空氣上升,到高空變冷,水氣凝結成液態水,釋放潛熱,使空氣變熱膨脹,密度更低,近地表中心氣壓持續下降;由於氣旋內外壓力差異變大,風速隨之增強,從洋面獲取更多暖濕水氣,形成「正回饋」過程,最後變成颱風。

颱風外圍氣旋環流半徑可達一千多公里,舉例說,在不考慮其他大氣條件時,當兩個颱風位在彼此外圍環流影響範圍內,東邊颱風的氣流,會由北往南推動西邊的颱風,驅使西邊颱風往南移動;同理,西邊颱風的氣流則會由南往北推動東邊颱風,使東邊颱風路徑偏北,這就是所謂「藤原效應」,是日本人藤原櫻平在1921年首度發表。

藤原效應 影響移動路徑

吳俊傑指出,藤原效應主要是影響兩個颱風移動路徑,對降雨、強度影響較不明確;2個颱風的路徑偏移,與對方颱風的強弱有關,簡單來說,若東邊颱風強度為2,西邊颱風強度為1,則西邊颱風往南移動2時,東邊颱風只往北邊移動1。吳俊傑曾提出量化藤原效應動力架構的論文。

當兩個颱風強弱相差很大、距離又很近時,強颱也有可能把弱颱「併吞」;因為在某一段時間內,強颱移動的距離很少(幾乎不動),弱颱卻被強颱的外圍氣流推著,繞著強颱移動,甚至變形,最後被捲進強颱內部,兩個颱風的雲系及環流就合而為一。

藤原效應並非經常出現,吳俊傑表示,通常生成一個颱風後,大約要隔7到10天,才會生成下一個颱風;足以讓前一個颱風遠離,距離超過彼此環流互相影響範圍(如一般經驗所指的1400公里),因此不會感受到藤原效應。

盛夏時,有時在西北太平洋區域,會形成大範圍低壓帶,或稱為「季風環流圈」;在季風環流圈裡,可能有利在短時間內,同時生成數個颱風,這種情形相對較易發生藤原效應。

=====================================================================

【2006-08-30/聯合報/C8版/文教】記者李名揚 南亞季風環流圈是夏季青藏高原是個熱源,在75°—110°E之間,氣流從青藏高原上升,到高空折向南流,到低緯下沉,下沉氣流在低空又流向青藏高原,組成一個與哈得萊環流圈的環流方向相反的閉合經向環流圈,稱為南亞季風環流圈。

呵呵呵,

這是一位某大氣系的人的回答@@ ==================================================================07fW210971
中央氣象局  颱風警報單
發    布    時    間:民國98年8月9日21時15分。

警    報    種    類:海上陸上颱風警報。
颱 風 強 度 及 編 號:輕度颱風,編號第8號(國際命名:MORAKOT,中文譯名:莫拉克)
警    報    報    數:第33-1報。
中    心    氣    壓:982百帕。
目    前    時    間:9日21時。
中    心    位    置:北緯 27.1 度,東經 119.9 度,
                     即在馬祖的北方約 100 公里之處。
暴    風    半    徑:7級風暴風半徑 200 公里,10級風暴風半徑 - 公里。
預 測 速 度 及 方 向:以每小時15公里速度,向北進行。
近 中 心 最 大 風 速:每秒 25 公尺(約每小時 90 公里),相當於 10 級風。
瞬 間 之 最 大 陣 風:每秒 33 公尺(約每小時 119 公里),相當於 12 級風。
預    測    時    間:10日20時。
預    測    位    置:北緯 30.2 度,東經 120.3 度,
                     即在馬祖的北方約 450 公里之海面上。
颱    風    動    態:根據最新氣象資料顯示,第8號颱風中心已於9日18時30分左右在馬祖北方進入福
                     建,過去強度略為減弱,繼續向北移動。台灣本島雖已脫離其暴風圈,但降雨仍持續中
                     。預計此颱風強度有再減弱且暴風圈有縮小的趨勢。
警 戒 區 域 及 事 項:陸上:馬祖應嚴加戒備,並防強風豪雨。
                     海上:台灣北部海面航行及作業船隻應嚴加戒備。
                     *豪雨特報:受西南氣流影響,苗栗以南地區有局部性豪雨或大豪雨,尤其山區有超大
                           豪雨發生,其他地區亦有大雨或豪雨發生的機率。
                     *自6日0時至9日21時止出現較大累積雨量如下:嘉義縣阿里山2770毫米、屏
                      東縣尾寮山2566毫米、高雄縣御油山2370毫米、台南縣曾文1919毫米、
                      雲林縣草嶺1907毫米、南投縣神木村1805毫米、台東縣土阪1601毫米、
                      台中縣雪嶺1107毫米、苗栗縣泰安1041毫米、新竹縣雪霸987毫米、宜蘭
                      縣太平山822毫米、高雄市782毫米、台南市737毫米、桃園縣巴陵596毫
                      米。
                     *民眾應避免進入山區及河川活動,山坡地區應嚴防坍方、落石、土石流及山洪爆發;
                      適逢大潮期間,沿海低漥地區應防淹水及海水倒灌。
                     *台灣各地區沿海風浪甚大,請民眾避免前往海邊活動。
                     *台灣海峽、台灣東北部海面、台灣東南部海面及巴士海峽風浪仍大,航行及作業船隻
                      仍應注意。

下次警報預定發布時間為 8月9日23時30分 中央氣象局  颱風警報單
發    布    時    間:民國98年8月10日5時30分。

警    報    種    類:解除颱風警報。
颱 風 強 度 及 編 號:輕度颱風,編號第8號(國際命名:MORAKOT,中文譯名:莫拉克)
警    報    報    數:第36報。
中    心    氣    壓:988百帕。
目    前    時    間:10日5時。
中    心    位    置:北緯 27.8 度,東經 119.7 度,
                     即在馬祖的北方約 180 公里之處。
暴    風    半    徑:7級風暴風半徑 120 公里,10級風暴風半徑 - 公里。
預 測 速 度 及 方 向:以每小時15公里速度,向北進行。
近 中 心 最 大 風 速:每秒 20 公尺(約每小時 72 公里),相當於 8 級風。
瞬 間 之 最 大 陣 風:每秒 28 公尺(約每小時 101 公里),相當於 10 級風。
預    測    時    間:11日5時。
預    測    位    置:北緯 31.0 度,東經 119.9 度,
                     即在馬祖的北方約 530 公里之處。
颱    風    動    態:根據最新氣象資料顯示,第8號颱風過去3小時強度略為減弱且暴風圈亦稍縮小,馬祖
                     已脫離其暴風圈,目前其中心在馬祖北方,繼續向北移動,降雨仍持續中。預計此颱風
                     強度有再減弱且暴風圈有縮小的趨勢。
警 戒 區 域 及 事 項:*豪雨特報:受西南氣流影響,苗栗以南地區有局部性豪雨或大豪雨,尤其山區有超大
                           豪雨發生,其他地區亦有局部性大雨或豪雨發生的機率。山坡地區應嚴防
                           坍方、落石、土石流及山洪爆發;沿海低漥地區應防淹水及海水倒灌。
                     *自6日0時至10日5時止出現較大累積雨量如下:嘉義縣阿里山2855毫米、屏
                      東縣尾寮山2686毫米、高雄縣御油山2517毫米、台南縣曾文1944毫米、
                      雲林縣草嶺1940毫米、南投縣神木村1872毫米、台東縣土阪1615毫米、
                      台中縣雪嶺1269毫米、苗栗縣泰安1068毫米、新竹縣雪霸1040毫米、宜
                      蘭縣太平山822毫米、高雄市811毫米、台南市740毫米、桃園縣巴陵600
                      毫米。
                     *台灣各地區沿海風浪甚大,請民眾避免前往海邊活動。
                     *台灣附近各海面風浪仍大,航行及作業船隻仍應注意。
                     *此為第8號颱風警報最後一次報告。

===============================================================
海上陸上颱風警報終於解除,總共36報還算多
從禮拜三開始發警報至今解除也耗了五天之久
莫拉克自身強度由於登陸中國關係強度持續大幅衰減中
接近輕度下限了!!

各國路徑預測紀錄




回復

使用道具 舉報

簽到天數: 3749 天

[LV.Master]伴壇終老

開梅|2012-5-31 01:45 | 顯示全部樓層
莫拉克的降雨至少有08.06-10五天喔!大部份降在7-9日
回復

使用道具 舉報

快速回覆
您需要登錄後才可以回帖 登錄 | 立即加入

本版積分規則

本平台僅供學術討論之用,預報應以氣象局為準

威普網站虛擬主機贊助公司

臺灣第一個天氣類型社群平台 即時天氣資訊、精準颱風動態

線上客服
FB傳送訊息
廣告行銷
精準行銷 物超所值
官方粉專
發佈 快速回復 返回頂部 返回列表