開啟輔助訪問
 找回密碼
 立即加入

2604 辛樂克 猛爆增強 西太首強颱 1991年以來最強四月颱

簽到天數: 3437 天

[LV.Master]伴壇終老

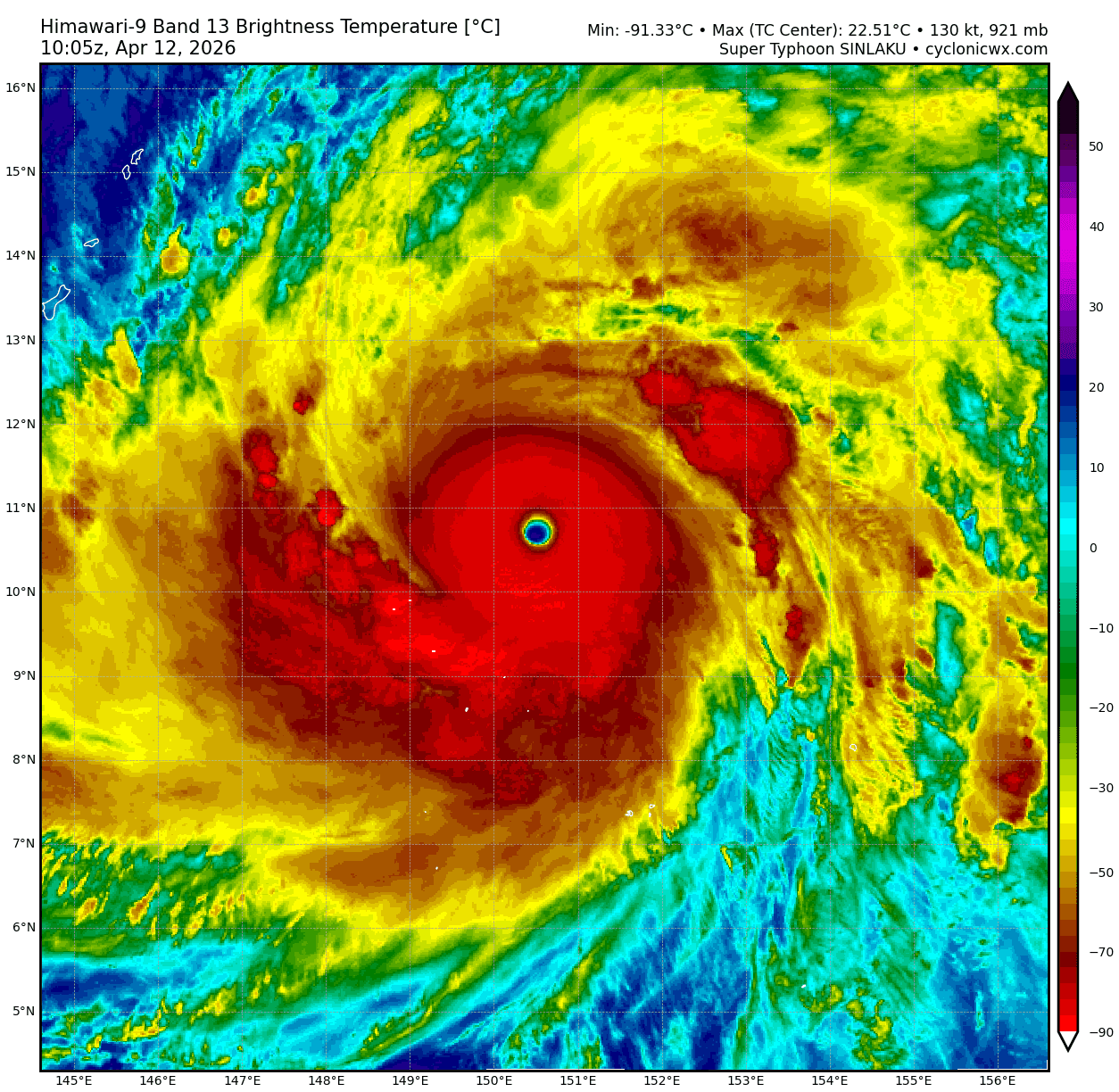
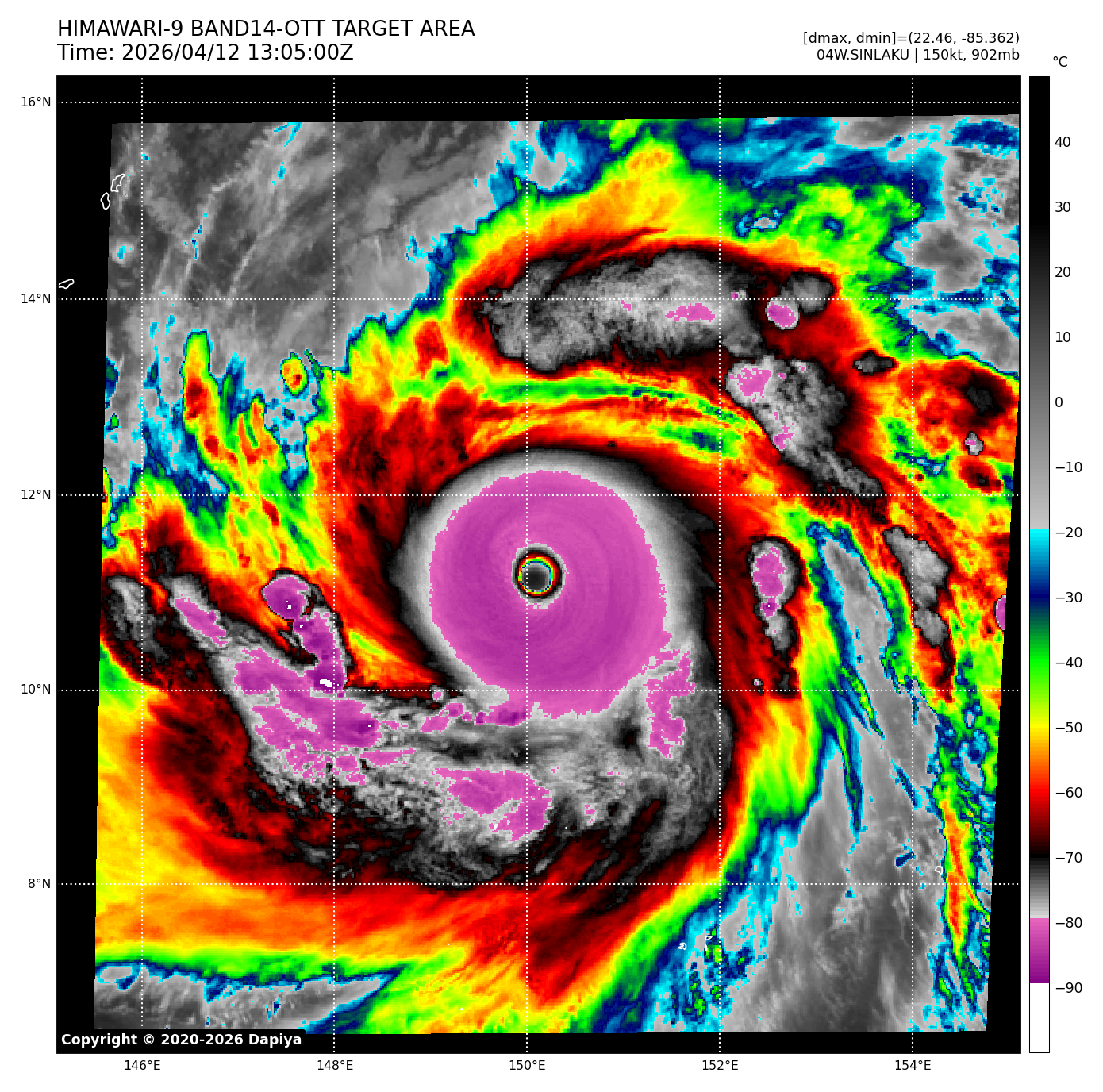
king111807|2026-4-12 21:23 | 顯示全部樓層
JMA評價猛烈な,定強105節,巔峰110節,今年首個猛烈な

台風第4号(シンラコウ)
2026年04月12日21時45分発表
12日21時の実況
種別        台風
大きさ        大型
強さ        猛烈な
存在地域        トラック諸島近海
中心位置        北緯11度00分 (11.0度)
東経150度20分 (150.3度)
進行方向、速さ        北北西 15 km/h (8 kt)
中心気圧        920 hPa
中心付近の最大風速        55 m/s (105 kt)
最大瞬間風速        75 m/s (150 kt)
25m/s以上の暴風域        全域 150 km (80 NM)
15m/s以上の強風域        北東側 600 km (325 NM)
南西側 500 km (270 NM)
13日21時の予報
種別        台風
強さ        猛烈な
存在地域        マリアナ諸島
予報円の中心        北緯13度20分 (13.3度)
東経147度20分 (147.3度)
進行方向、速さ        北西 15 km/h (9 kt)
中心気圧        910 hPa
中心付近の最大風速        55 m/s (110 kt)
最大瞬間風速        80 m/s (155 kt)
予報円の半径        80 km (42 NM)
暴風警戒域        全域 260 km (140 NM)
14日21時の予報
種別        台風
強さ        猛烈な
存在地域        マリアナ諸島
予報円の中心        北緯15度10分 (15.2度)
東経145度25分 (145.4度)
進行方向、速さ        北西 15 km/h (7 kt)
中心気圧        910 hPa
中心付近の最大風速        55 m/s (110 kt)
最大瞬間風速        80 m/s (155 kt)
予報円の半径        130 km (70 NM)
暴風警戒域        全域 310 km (170 NM)
15日21時の予報
種別        台風
強さ        非常に強い
存在地域        マリアナ諸島
予報円の中心        北緯17度10分 (17.2度)
東経144度25分 (144.4度)
進行方向、速さ        北北西 10 km/h (6 kt)
中心気圧        925 hPa
中心付近の最大風速        50 m/s (100 kt)
最大瞬間風速        70 m/s (140 kt)
予報円の半径        150 km (80 NM)
暴風警戒域        全域 350 km (190 NM)
16日21時の予報
種別        台風
強さ        非常に強い
存在地域        マリアナ諸島
予報円の中心        北緯19度50分 (19.8度)
東経144度10分 (144.2度)
進行方向、速さ        北 15 km/h (7 kt)
中心気圧        935 hPa
中心付近の最大風速        45 m/s (90 kt)
最大瞬間風速        65 m/s (130 kt)
予報円の半径        185 km (100 NM)
暴風警戒域        全域 390 km (210 NM)
17日21時の予報
種別        台風
強さ        強い
存在地域        小笠原近海
予報円の中心        北緯22度35分 (22.6度)
東経145度50分 (145.8度)
進行方向、速さ        北北東 15 km/h (8 kt)
中心気圧        960 hPa
中心付近の最大風速        40 m/s (75 kt)
最大瞬間風速        55 m/s (105 kt)
予報円の半径        220 km (120 NM)
暴風警戒域        全域 430 km (230 NM)

typhoon_2604-large.jpg
04W_BW.png
04W_OTT.png
04W_AWV.png
04W_RAMMB.png
fnv3_ens_wp.png
himawari9_rbtop_04W.gif
回復

使用道具 舉報

簽到天數: 3437 天

[LV.Master]伴壇終老

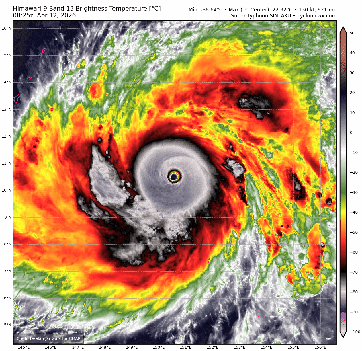
king111807|2026-4-12 21:34 | 顯示全部樓層
CWA 12Z報,定強60m/s,中心氣壓895hpa

強烈颱風辛樂克
編號第 04 號
國際命名 SINLAKU
現況
2026年04月12日20時
中心位置在北緯 11.0 度,東經 150.2 度
過去移動方向 北北西
過去移動時速 15公里
中心氣壓 895百帕
近中心最大風速每秒 60 公尺
瞬間最大陣風每秒 75 公尺
七級風平均暴風半徑 350 公里
 西北側 380 公里 東北側 380 公里
 西南側 300 公里 東南側 350 公里
十級風平均暴風半徑 180 公里
 西北側 180 公里 東北側 180 公里
 西南側 160 公里 東南側 180 公里
預測
預測 6 小時平均移向移速為

西北 時速 16 公里
預測 04月13日02時
中心位置在北緯 11.5 度,東經 149.5 度
中心氣壓895百帕
近中心最大風速每秒 60 公尺
瞬間最大陣風每秒 75 公尺
七級風暴風半徑 350 公里
十級風暴風半徑 150 公里
70%機率半徑 30 公里
預測 6-12 小時平均移向移速為

西北 時速 16 公里
預測 04月13日08時
中心位置在北緯 12.0 度,東經 148.8 度
中心氣壓895百帕
近中心最大風速每秒 60 公尺
瞬間最大陣風每秒 75 公尺
七級風暴風半徑 350 公里
十級風暴風半徑 150 公里
70%機率半徑 40 公里
預測 12-18 小時平均移向移速為

西北 時速 14 公里
預測 04月13日14時
中心位置在北緯 12.5 度,東經 148.2 度
中心氣壓895百帕
近中心最大風速每秒 60 公尺
瞬間最大陣風每秒 75 公尺
七級風暴風半徑 350 公里
十級風暴風半徑 150 公里
70%機率半徑 80 公里
預測 18-24 小時平均移向移速為

西北 時速 12 公里
預測 04月13日20時
中心位置在北緯 12.9 度,東經 147.7 度
中心氣壓895百帕
近中心最大風速每秒 60 公尺
瞬間最大陣風每秒 75 公尺
七級風暴風半徑 350 公里
十級風暴風半徑 150 公里
70%機率半徑 90 公里
預測 24-36 小時平均移向移速為

西北 時速 13 公里
預測 04月14日08時
中心位置在北緯 14.0 度,東經 146.8 度
中心氣壓895百帕
近中心最大風速每秒 60 公尺
瞬間最大陣風每秒 75 公尺
七級風暴風半徑 350 公里
十級風暴風半徑 150 公里
70%機率半徑 100 公里
預測 36-48 小時平均移向移速為

西北 時速 10 公里
預測 04月14日20時
中心位置在北緯 14.8 度,東經 146.1 度
中心氣壓900百帕
近中心最大風速每秒 58 公尺
瞬間最大陣風每秒 73 公尺
七級風暴風半徑 350 公里
十級風暴風半徑 150 公里
70%機率半徑 140 公里
預測 48-72 小時平均移向移速為

北北西 時速 10 公里
預測 04月15日20時
中心位置在北緯 16.8 度,東經 145.5 度
中心氣壓910百帕
近中心最大風速每秒 55 公尺
瞬間最大陣風每秒 68 公尺
七級風暴風半徑 350 公里
十級風暴風半徑 140 公里
70%機率半徑 210 公里
預測 72-96 小時平均移向移速為

北北東 時速 14 公里
預測 04月16日20時
中心位置在北緯 19.6 度,東經 146.4 度
中心氣壓925百帕
近中心最大風速每秒 51 公尺
瞬間最大陣風每秒 63 公尺
七級風暴風半徑 350 公里
十級風暴風半徑 120 公里
70%機率半徑 360 公里
預測 96-120 小時平均移向移速為

東北 時速 19 公里
預測 04月17日20時
中心位置在北緯 22.7 度,東經 149.4 度
中心氣壓945百帕
近中心最大風速每秒 43 公尺
瞬間最大陣風每秒 53 公尺
七級風暴風半徑 280 公里
十級風暴風半徑 90 公里
70%機率半徑 410 公里
Download_PTA_202604121200_SINLAKU_zhtw.png
H9_BW_R3_202604121317.jpg
H9_BD_R3_202604121317.jpg
H9_EIR_R3_202604121317.jpg
himawari9_ir_04W.gif
回復

使用道具 舉報

簽到天數: 3437 天

[LV.Master]伴壇終老

king111807|2026-4-12 23:22 | 顯示全部樓層
JTWC升格C5,評價150節

WTPN31 PGTW 121500
MSGID/GENADMIN/JOINT TYPHOON WRNCEN PEARL HARBOR HI//
SUBJ/SUPER TYPHOON 04W (SINLAKU) WARNING NR 015//
RMKS/
1. SUPER TYPHOON 04W (SINLAKU) WARNING NR 015   
   01 ACTIVE TROPICAL CYCLONE IN NORTHWESTPAC
   MAX SUSTAINED WINDS BASED ON ONE-MINUTE AVERAGE
   WIND RADII VALID OVER OPEN WATER ONLY
    ---
   WARNING POSITION:
   121200Z --- NEAR 11.1N 150.2E
     MOVEMENT PAST SIX HOURS - 335 DEGREES AT 09 KTS
     POSITION ACCURATE TO WITHIN 020 NM
     POSITION BASED ON EYE FIXED BY SATELLITE
   PRESENT WIND DISTRIBUTION:
   MAX SUSTAINED WINDS - 150 KT, GUSTS 180 KT
   WIND RADII VALID OVER OPEN WATER ONLY
   RADIUS OF 064 KT WINDS - 040 NM NORTHEAST QUADRANT
                            050 NM SOUTHEAST QUADRANT
                            030 NM SOUTHWEST QUADRANT
                            035 NM NORTHWEST QUADRANT
   RADIUS OF 050 KT WINDS - 085 NM NORTHEAST QUADRANT
                            090 NM SOUTHEAST QUADRANT
                            105 NM SOUTHWEST QUADRANT
                            100 NM NORTHWEST QUADRANT
   RADIUS OF 034 KT WINDS - 240 NM NORTHEAST QUADRANT
                            180 NM SOUTHEAST QUADRANT
                            185 NM SOUTHWEST QUADRANT
                            180 NM NORTHWEST QUADRANT
   REPEAT POSIT: 11.1N 150.2E
    ---
   FORECASTS:
   12 HRS, VALID AT:
   130000Z --- 12.2N 149.0E
   MAX SUSTAINED WINDS - 150 KT, GUSTS 180 KT
   WIND RADII VALID OVER OPEN WATER ONLY
   RADIUS OF 064 KT WINDS - 050 NM NORTHEAST QUADRANT
                            040 NM SOUTHEAST QUADRANT
                            030 NM SOUTHWEST QUADRANT
                            040 NM NORTHWEST QUADRANT
   RADIUS OF 050 KT WINDS - 100 NM NORTHEAST QUADRANT
                            080 NM SOUTHEAST QUADRANT
                            080 NM SOUTHWEST QUADRANT
                            090 NM NORTHWEST QUADRANT
   RADIUS OF 034 KT WINDS - 220 NM NORTHEAST QUADRANT
                            200 NM SOUTHEAST QUADRANT
                            160 NM SOUTHWEST QUADRANT
                            190 NM NORTHWEST QUADRANT
   VECTOR TO 24 HR POSIT: 310 DEG/ 08 KTS
    ---
   24 HRS, VALID AT:
   131200Z --- 13.3N 147.7E
   MAX SUSTAINED WINDS - 145 KT, GUSTS 175 KT
   WIND RADII VALID OVER OPEN WATER ONLY
   RADIUS OF 064 KT WINDS - 050 NM NORTHEAST QUADRANT
                            040 NM SOUTHEAST QUADRANT
                            030 NM SOUTHWEST QUADRANT
                            040 NM NORTHWEST QUADRANT
   RADIUS OF 050 KT WINDS - 100 NM NORTHEAST QUADRANT
                            080 NM SOUTHEAST QUADRANT
                            070 NM SOUTHWEST QUADRANT
                            090 NM NORTHWEST QUADRANT
   RADIUS OF 034 KT WINDS - 220 NM NORTHEAST QUADRANT
                            210 NM SOUTHEAST QUADRANT
                            160 NM SOUTHWEST QUADRANT
                            190 NM NORTHWEST QUADRANT
   VECTOR TO 36 HR POSIT: 310 DEG/ 08 KTS
    ---
   36 HRS, VALID AT:
   140000Z --- 14.3N 146.5E
   MAX SUSTAINED WINDS - 140 KT, GUSTS 170 KT
   WIND RADII VALID OVER OPEN WATER ONLY
   RADIUS OF 064 KT WINDS - 040 NM NORTHEAST QUADRANT
                            040 NM SOUTHEAST QUADRANT
                            040 NM SOUTHWEST QUADRANT
                            040 NM NORTHWEST QUADRANT
   RADIUS OF 050 KT WINDS - 100 NM NORTHEAST QUADRANT
                            090 NM SOUTHEAST QUADRANT
                            080 NM SOUTHWEST QUADRANT
                            090 NM NORTHWEST QUADRANT
   RADIUS OF 034 KT WINDS - 220 NM NORTHEAST QUADRANT
                            200 NM SOUTHEAST QUADRANT
                            170 NM SOUTHWEST QUADRANT
                            190 NM NORTHWEST QUADRANT
   VECTOR TO 48 HR POSIT: 320 DEG/ 06 KTS
    ---
   EXTENDED OUTLOOK:
   48 HRS, VALID AT:
   141200Z --- 15.3N 145.7E
   MAX SUSTAINED WINDS - 135 KT, GUSTS 165 KT
   WIND RADII VALID OVER OPEN WATER ONLY
   RADIUS OF 064 KT WINDS - 050 NM NORTHEAST QUADRANT
                            050 NM SOUTHEAST QUADRANT
                            040 NM SOUTHWEST QUADRANT
                            050 NM NORTHWEST QUADRANT
   RADIUS OF 050 KT WINDS - 100 NM NORTHEAST QUADRANT
                            090 NM SOUTHEAST QUADRANT
                            080 NM SOUTHWEST QUADRANT
                            090 NM NORTHWEST QUADRANT
   RADIUS OF 034 KT WINDS - 210 NM NORTHEAST QUADRANT
                            200 NM SOUTHEAST QUADRANT
                            170 NM SOUTHWEST QUADRANT
                            190 NM NORTHWEST QUADRANT
   VECTOR TO 72 HR POSIT: 335 DEG/ 06 KTS
    ---
   72 HRS, VALID AT:
   151200Z --- 17.4N 144.7E
   MAX SUSTAINED WINDS - 125 KT, GUSTS 150 KT
   WIND RADII VALID OVER OPEN WATER ONLY
   RADIUS OF 064 KT WINDS - 060 NM NORTHEAST QUADRANT
                            050 NM SOUTHEAST QUADRANT
                            040 NM SOUTHWEST QUADRANT
                            050 NM NORTHWEST QUADRANT
   RADIUS OF 050 KT WINDS - 100 NM NORTHEAST QUADRANT
                            090 NM SOUTHEAST QUADRANT
                            090 NM SOUTHWEST QUADRANT
                            090 NM NORTHWEST QUADRANT
   RADIUS OF 034 KT WINDS - 210 NM NORTHEAST QUADRANT
                            200 NM SOUTHEAST QUADRANT
                            170 NM SOUTHWEST QUADRANT
                            170 NM NORTHWEST QUADRANT
   VECTOR TO 96 HR POSIT: 360 DEG/ 06 KTS
    ---
   LONG RANGE OUTLOOK:
    ---
   96 HRS, VALID AT:
   161200Z --- 19.8N 144.6E
   MAX SUSTAINED WINDS - 105 KT, GUSTS 130 KT
   WIND RADII VALID OVER OPEN WATER ONLY
   RADIUS OF 064 KT WINDS - 050 NM NORTHEAST QUADRANT
                            040 NM SOUTHEAST QUADRANT
                            030 NM SOUTHWEST QUADRANT
                            050 NM NORTHWEST QUADRANT
   RADIUS OF 050 KT WINDS - 090 NM NORTHEAST QUADRANT
                            090 NM SOUTHEAST QUADRANT
                            080 NM SOUTHWEST QUADRANT
                            090 NM NORTHWEST QUADRANT
   RADIUS OF 034 KT WINDS - 200 NM NORTHEAST QUADRANT
                            200 NM SOUTHEAST QUADRANT
                            170 NM SOUTHWEST QUADRANT
                            170 NM NORTHWEST QUADRANT
   VECTOR TO 120 HR POSIT: 015 DEG/ 07 KTS
    ---
   120 HRS, VALID AT:
   171200Z --- 22.6N 145.4E
   MAX SUSTAINED WINDS - 080 KT, GUSTS 100 KT
   WIND RADII VALID OVER OPEN WATER ONLY
   RADIUS OF 064 KT WINDS - 040 NM NORTHEAST QUADRANT
                            030 NM SOUTHEAST QUADRANT
                            030 NM SOUTHWEST QUADRANT
                            050 NM NORTHWEST QUADRANT
   RADIUS OF 050 KT WINDS - 070 NM NORTHEAST QUADRANT
                            080 NM SOUTHEAST QUADRANT
                            060 NM SOUTHWEST QUADRANT
                            070 NM NORTHWEST QUADRANT
   RADIUS OF 034 KT WINDS - 220 NM NORTHEAST QUADRANT
                            200 NM SOUTHEAST QUADRANT
                            160 NM SOUTHWEST QUADRANT
                            200 NM NORTHWEST QUADRANT
    ---
REMARKS:
121500Z POSITION NEAR 11.4N 149.9E.
12APR26. SUPER TYPHOON 04W (SINLAKU), LOCATED APPROXIMATELY 356
NM EAST-SOUTHEAST OF NAVSTA GUAM, HAS TRACKED NORTH-NORTHWESTWARD
AT 09 KNOTS OVER THE PAST SIX HOURS.
MINIMUM CENTRAL PRESSURE AT 121200Z IS 902 MB. MAXIMUM
SIGNIFICANT WAVE HEIGHT AT 121200Z IS 38 FEET. NEXT WARNINGS AT
122100Z, 130300Z, 130900Z AND 131500Z.//
NNNN
wp0426.gif
04W_121200sair.jpg
ohc.png
ir0.gif
wv0.gif
himawari9_rainbow_04W.gif
回復

使用道具 舉報

簽到天數: 3437 天

[LV.Master]伴壇終老

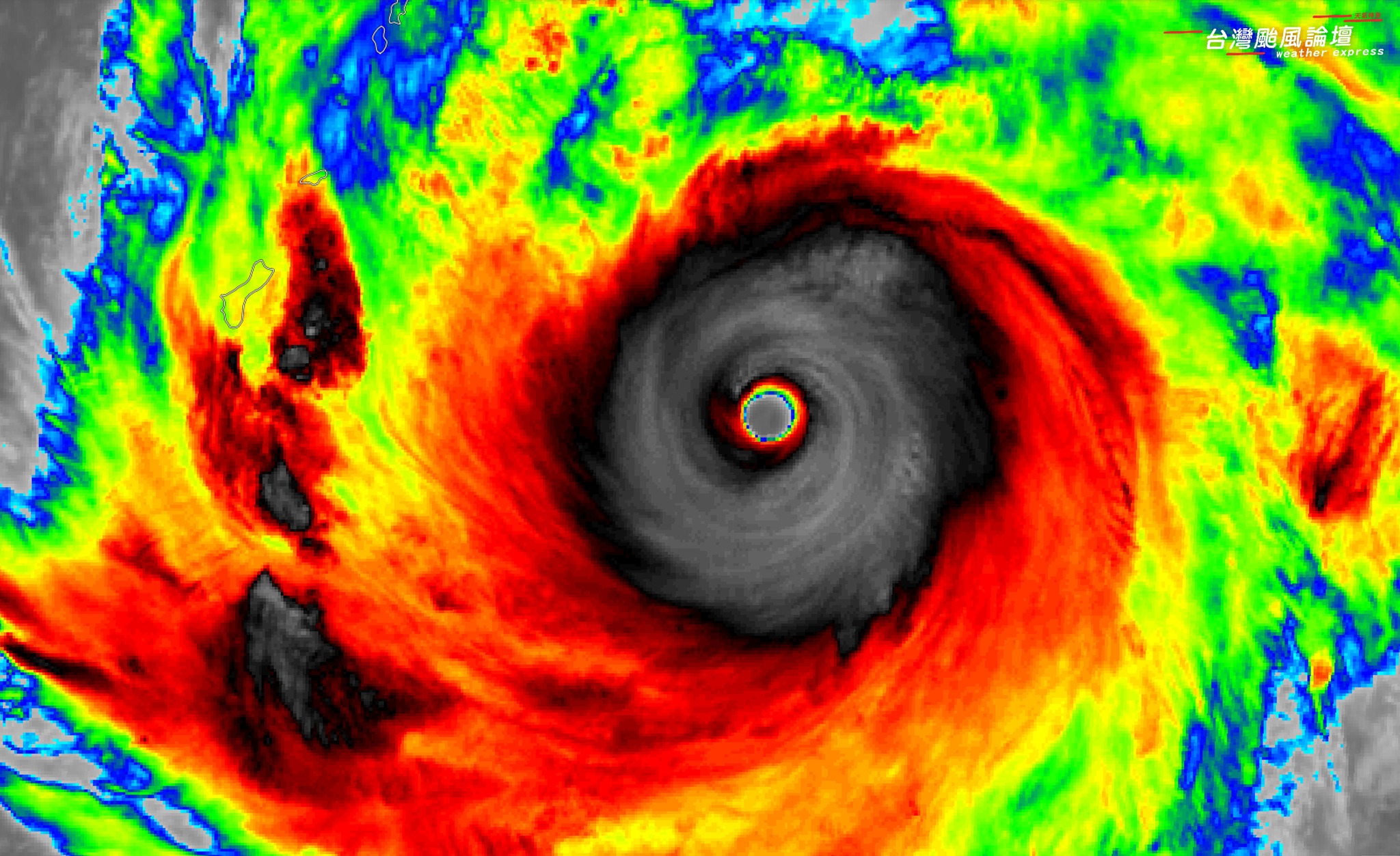
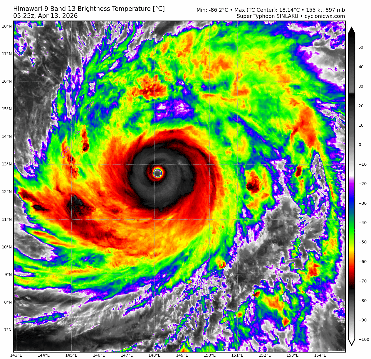
king111807|2026-4-13 00:50 | 顯示全部樓層
H9_EIR_R3.jpg


【35年以來最強四月颱】
辛樂克颱風再增強
晚間8點近中心風速達每秒60公尺
成為1991年以來最強的4月颱!

目前正是他巔峰狀態
颱風核心非常紮實,颱風眼銳利清晰
今年風王應該妥妥的

點評

舒力基當初CWA只升55m/s 梅莎是58m/s 辛樂克才是真正4月最強  發表於 2026-4-13 01:24
回復

使用道具 舉報

簽到天數: 3437 天

[LV.Master]伴壇終老

king111807|2026-4-13 01:14 | 顯示全部樓層
JMA 非正報 評價110節,巔峰上看115節

台風第4号(シンラコウ)
2026年04月13日00時45分発表
13日00時の実況
種別        台風
大きさ        大型
強さ        猛烈な
存在地域        マリアナ諸島
中心位置        北緯11度20分 (11.3度)
東経149度55分 (149.9度)
進行方向、速さ        北北西 15 km/h (8 kt)
中心気圧        910 hPa
中心付近の最大風速        55 m/s (110 kt)
最大瞬間風速        80 m/s (155 kt)
25m/s以上の暴風域        全域 150 km (80 NM)
15m/s以上の強風域        北東側 600 km (325 NM)
南西側 500 km (270 NM)
14日00時の予報
種別        台風
強さ        猛烈な
存在地域        マリアナ諸島
予報円の中心        北緯13度35分 (13.6度)
東経147度05分 (147.1度)
進行方向、速さ        北西 15 km/h (9 kt)
中心気圧        905 hPa
中心付近の最大風速        60 m/s (115 kt)
最大瞬間風速        85 m/s (165 kt)
予報円の半径        80 km (42 NM)
暴風警戒域        全域 260 km (140 NM)
14日21時の予報
種別        台風
強さ        猛烈な
存在地域        マリアナ諸島
予報円の中心        北緯15度10分 (15.2度)
東経145度25分 (145.4度)
進行方向、速さ        北西 15 km/h (7 kt)
中心気圧        910 hPa
中心付近の最大風速        55 m/s (110 kt)
最大瞬間風速        80 m/s (155 kt)
予報円の半径        130 km (70 NM)
暴風警戒域        全域 310 km (170 NM)
15日21時の予報
種別        台風
強さ        非常に強い
存在地域        マリアナ諸島
予報円の中心        北緯17度10分 (17.2度)
東経144度25分 (144.4度)
進行方向、速さ        北北西 10 km/h (6 kt)
中心気圧        925 hPa
中心付近の最大風速        50 m/s (100 kt)
最大瞬間風速        70 m/s (140 kt)
予報円の半径        150 km (80 NM)
暴風警戒域        全域 350 km (190 NM)
16日21時の予報
種別        台風
強さ        非常に強い
存在地域        マリアナ諸島
予報円の中心        北緯19度50分 (19.8度)
東経144度10分 (144.2度)
進行方向、速さ        北 15 km/h (7 kt)
中心気圧        935 hPa
中心付近の最大風速        45 m/s (90 kt)
最大瞬間風速        65 m/s (130 kt)
予報円の半径        185 km (100 NM)
暴風警戒域        全域 390 km (210 NM)
17日21時の予報
種別        台風
強さ        強い
存在地域        小笠原近海
予報円の中心        北緯22度35分 (22.6度)
東経145度50分 (145.8度)
進行方向、速さ        北北東 15 km/h (8 kt)
中心気圧        960 hPa
中心付近の最大風速        40 m/s (75 kt)
最大瞬間風速        55 m/s (105 kt)
予報円の半径        220 km (120 NM)
暴風警戒域        全域 430 km (230 NM)
typhoon_2604-large.jpg
himawari9_ir_04W_202604121420.gif
回復

使用道具 舉報

簽到天數: 582 天

[LV.9]以壇為家II

蜜露|2026-4-13 16:28 | 顯示全部樓層
本帖最後由 蜜露 於 2026-4-13 16:31 編輯



現在主巔峰已經結束了..再走向置換的階段

4月的環境 不用強求多強...他已經是4月最強的颱風了

已經超越了過去4月風王(1989安迪、2015梅莎、2021舒力基)

04W_BD (2).png


暴風半徑 350公里  60m/s的又大又強的辛樂克 直撲塞班島、天寧島的方向前進..

如果台灣朋友在塞班島、天寧島要注意..五級颶風的威力很大

上次瑪娃颱風再關島就很不得了了..

bandicam 2026-04-13 16-21-44-845.jpg

回復

使用道具 舉報

簽到天數: 3437 天

[LV.Master]伴壇終老

king111807|2026-4-13 18:40 | 顯示全部樓層
JMA 評價115節

台風第4号(シンラコウ)
2026年04月13日18時45分発表
13日18時の実況
種別        台風
大きさ        大型
強さ        猛烈な
存在地域        マリアナ諸島
中心位置        北緯12度55分 (12.9度)
東経147度50分 (147.8度)
進行方向、速さ        西北西 15 km/h (7 kt)
中心気圧        905 hPa
中心付近の最大風速        60 m/s (115 kt)
最大瞬間風速        85 m/s (165 kt)
25m/s以上の暴風域        全域 165 km (90 NM)
15m/s以上の強風域        北東側 600 km (325 NM)
南西側 500 km (270 NM)
14日18時の予報
種別        台風
強さ        猛烈な
存在地域        マリアナ諸島
予報円の中心        北緯15度00分 (15.0度)
東経145度50分 (145.8度)
進行方向、速さ        北西 15 km/h (7 kt)
中心気圧        920 hPa
中心付近の最大風速        55 m/s (105 kt)
最大瞬間風速        75 m/s (150 kt)
予報円の半径        65 km (35 NM)
暴風警戒域        全域 250 km (135 NM)
15日15時の予報
種別        台風
強さ        非常に強い
存在地域        マリアナ諸島
予報円の中心        北緯16度25分 (16.4度)
東経144度35分 (144.6度)
進行方向、速さ        北西 ゆっくり
中心気圧        935 hPa
中心付近の最大風速        50 m/s (95 kt)
最大瞬間風速        70 m/s (135 kt)
予報円の半径        100 km (55 NM)
暴風警戒域        全域 320 km (175 NM)
16日15時の予報
種別        台風
強さ        非常に強い
存在地域        マリアナ諸島
予報円の中心        北緯18度50分 (18.8度)
東経143度55分 (143.9度)
進行方向、速さ        北北西 10 km/h (6 kt)
中心気圧        945 hPa
中心付近の最大風速        45 m/s (85 kt)
最大瞬間風速        60 m/s (120 kt)
予報円の半径        150 km (80 NM)
暴風警戒域        全域 370 km (200 NM)
17日15時の予報
種別        台風
強さ        強い
存在地域        小笠原近海
予報円の中心        北緯21度20分 (21.3度)
東経145度10分 (145.2度)
進行方向、速さ        北北東 15 km/h (7 kt)
中心気圧        960 hPa
中心付近の最大風速        40 m/s (75 kt)
最大瞬間風速        55 m/s (105 kt)
予報円の半径        185 km (100 NM)
暴風警戒域        全域 410 km (220 NM)
18日15時の予報
種別        台風
強さ        強い
存在地域        小笠原近海
予報円の中心        北緯24度10分 (24.2度)
東経146度50分 (146.8度)
進行方向、速さ        北北東 15 km/h (8 kt)
中心気圧        970 hPa
中心付近の最大風速        35 m/s (65 kt)
最大瞬間風速        50 m/s (95 kt)
予報円の半径        280 km (150 NM)
暴風警戒域        全域 500 km (270 NM)
typhoon_2604-large.jpg
20260413_030427_WP042026_amsr2_gcom-w1_color37_160kts_100p00_res1p0-cr100-artb89.jpeg
20260413_030427_WP042026_amsr2_gcom-w1_89H_160kts_100p00_res1p0-cr100-artb89hA-b.jpeg
fnv3_ens_wp.png
himawari9_rbtop_04W.gif
回復

使用道具 舉報

簽到天數: 3437 天

[LV.Master]伴壇終老

king111807|2026-4-13 20:26 | 顯示全部樓層
669828697_1406017504890137_4472444243914795544_n.jpg


辛樂克維持巔峰狀態好長一段時間
很不簡單

點評

今年聖嬰現象 後面還會有..只是這麼強的颱風應該是要等秋冬了.  發表於 2026-4-14 10:41
一路上熱焓量都很高,多耗掉一些熱焓量,後續才不會一直出現這種怪物級的颱風。  發表於 2026-4-14 08:31
回復

使用道具 舉報

快速回覆
您需要登錄後才可以回帖 登錄 | 立即加入

本版積分規則

本平台僅供學術討論之用,預報應以氣象局為準

威普網站虛擬主機贊助公司

臺灣第一個天氣類型社群平台 即時天氣資訊、精準颱風動態

線上客服
FB傳送訊息
廣告行銷
精準行銷 物超所值
官方粉專
發佈 快速回復 返回頂部 返回列表