開啟輔助訪問
 找回密碼
 立即加入

30P.Maila 巔峰曾達澳式C5 睽違18年巴布亞紐幾內亞命名氣旋

簽到天數: 3437 天

[LV.Master]伴壇終老

king111807|2026-4-5 13:47 | 顯示全部樓層
BoM升格澳式C2

Tropical Cyclone Maila is intensifying in the Solomon Sea.

Area affected
Warning zone
None.

Watch zone
None.

Cancelled zone
None.

At 10:00 am Australian Eastern Standard Time
At 10:00 am AEST

Intensity
category 2, sustained winds near the centre of 95 kilometres per hour with wind gusts to 130 kilometres per hour

Location
within 55 kilometres of 9.2 degrees South, 154.4 degrees East, 610 kilometres west of Honiara and 800 kilometres east of Port Moresby

Movement
slow moving

Tropical Cyclone Maila, 37U, is currently located in the in the Solomon Sea and intensifying. The environment is generally favourable for further development and Maila is forecast to become a severe tropical cyclone tonight or early Monday.

The steering influences are balanced and Maila is expected to be slow moving over the Solomon Sea through until the middle of the week, when it is forecast to begin moving southwest.

This system is not expected to directly impact the Queensland coast before the middle of the week but may move closer to the north Queensland coast later in the week.

03e92a97-bf8e-4072-8f0a-d0e50450c24e.png
C2.png
MAILA_tc_ec_ens.png
vis-animated.gif
回復

使用道具 舉報

簽到天數: 3437 天

[LV.Master]伴壇終老

king111807|2026-4-5 21:33 | 顯示全部樓層
BoM升格澳式C3

Severe Tropical Cyclone Maila is intensifying and slow moving in the Solomon Sea.

Area affected
Warning zone
None.

Watch zone
None.

Cancelled zone
None.

At 10:00 pm Australian Eastern Standard Time
At 10:00 pm AEST

Intensity
category 3, sustained winds near the centre of 120 kilometres per hour with wind gusts to 165 kilometres per hour

Location
within 65 kilometres of 9.3 degrees South, 154.6 degrees East, 590 kilometres west of Honiara and 820 kilometres east of Port Moresby

Movement
slow moving

Severe Tropical Cyclone Maila, 37U, is currently located in the Solomon Sea and intensifying. The steering influences are balanced and Maila is expected to be slow moving over the Solomon Sea through until the middle of the week, when it is forecast to begin moving southwest.

This system is not expected to directly impact the Queensland coast before the middle of the week but may move closer to the north Queensland coast later in the week.
bda844a0-1954-458c-b729-e37c21d81967.png
C3.png
MAILA_tc_ec_ens.png
rbtop-animated.gif
回復

使用道具 舉報

簽到天數: 3437 天

[LV.Master]伴壇終老

king111807|2026-4-6 12:22 | 顯示全部樓層
JTWC升格C2

WTPS31 PGTW 060300
MSGID/GENADMIN/JOINT TYPHOON WRNCEN PEARL HARBOR HI//
SUBJ/TROPICAL CYCLONE 30P (MAILA) WARNING NR 005//
RMKS/
1. TROPICAL CYCLONE 30P (MAILA) WARNING NR 005   
   02 ACTIVE TROPICAL CYCLONES IN SOUTHPAC
   MAX SUSTAINED WINDS BASED ON ONE-MINUTE AVERAGE
   WIND RADII VALID OVER OPEN WATER ONLY
    ---
   WARNING POSITION:
   060000Z --- NEAR 9.5S 154.7E
     MOVEMENT PAST SIX HOURS - 090 DEGREES AT 01 KTS
     POSITION ACCURATE TO WITHIN 030 NM
     POSITION BASED ON CENTER LOCATED BY SATELLITE
   PRESENT WIND DISTRIBUTION:
   MAX SUSTAINED WINDS - 090 KT, GUSTS 110 KT
   WIND RADII VALID OVER OPEN WATER ONLY
   RADIUS OF 064 KT WINDS - 045 NM NORTHEAST QUADRANT
                            040 NM SOUTHEAST QUADRANT
                            040 NM SOUTHWEST QUADRANT
                            045 NM NORTHWEST QUADRANT
   RADIUS OF 050 KT WINDS - 075 NM NORTHEAST QUADRANT
                            050 NM SOUTHEAST QUADRANT
                            050 NM SOUTHWEST QUADRANT
                            075 NM NORTHWEST QUADRANT
   RADIUS OF 034 KT WINDS - 130 NM NORTHEAST QUADRANT
                            110 NM SOUTHEAST QUADRANT
                            130 NM SOUTHWEST QUADRANT
                            140 NM NORTHWEST QUADRANT
   REPEAT POSIT: 9.5S 154.7E
    ---
   FORECASTS:
   12 HRS, VALID AT:
   061200Z --- 9.7S 155.3E
   MAX SUSTAINED WINDS - 100 KT, GUSTS 125 KT
   WIND RADII VALID OVER OPEN WATER ONLY
   RADIUS OF 064 KT WINDS - 030 NM NORTHEAST QUADRANT
                            030 NM SOUTHEAST QUADRANT
                            030 NM SOUTHWEST QUADRANT
                            030 NM NORTHWEST QUADRANT
   RADIUS OF 050 KT WINDS - 060 NM NORTHEAST QUADRANT
                            040 NM SOUTHEAST QUADRANT
                            040 NM SOUTHWEST QUADRANT
                            060 NM NORTHWEST QUADRANT
   RADIUS OF 034 KT WINDS - 120 NM NORTHEAST QUADRANT
                            100 NM SOUTHEAST QUADRANT
                            120 NM SOUTHWEST QUADRANT
                            130 NM NORTHWEST QUADRANT
   VECTOR TO 24 HR POSIT: 090 DEG/ 02 KTS
    ---
   24 HRS, VALID AT:
   070000Z --- 9.7S 155.8E
   MAX SUSTAINED WINDS - 100 KT, GUSTS 125 KT
   WIND RADII VALID OVER OPEN WATER ONLY
   RADIUS OF 064 KT WINDS - 030 NM NORTHEAST QUADRANT
                            030 NM SOUTHEAST QUADRANT
                            030 NM SOUTHWEST QUADRANT
                            030 NM NORTHWEST QUADRANT
   RADIUS OF 050 KT WINDS - 050 NM NORTHEAST QUADRANT
                            040 NM SOUTHEAST QUADRANT
                            040 NM SOUTHWEST QUADRANT
                            060 NM NORTHWEST QUADRANT
   RADIUS OF 034 KT WINDS - 110 NM NORTHEAST QUADRANT
                            100 NM SOUTHEAST QUADRANT
                            120 NM SOUTHWEST QUADRANT
                            120 NM NORTHWEST QUADRANT
   VECTOR TO 36 HR POSIT: 020 DEG/ 02 KTS
    ---
   36 HRS, VALID AT:
   071200Z --- 9.4S 155.9E
   MAX SUSTAINED WINDS - 100 KT, GUSTS 125 KT
   WIND RADII VALID OVER OPEN WATER ONLY
   RADIUS OF 064 KT WINDS - 030 NM NORTHEAST QUADRANT
                            030 NM SOUTHEAST QUADRANT
                            030 NM SOUTHWEST QUADRANT
                            030 NM NORTHWEST QUADRANT
   RADIUS OF 050 KT WINDS - 050 NM NORTHEAST QUADRANT
                            040 NM SOUTHEAST QUADRANT
                            040 NM SOUTHWEST QUADRANT
                            050 NM NORTHWEST QUADRANT
   RADIUS OF 034 KT WINDS - 110 NM NORTHEAST QUADRANT
                            100 NM SOUTHEAST QUADRANT
                            120 NM SOUTHWEST QUADRANT
                            120 NM NORTHWEST QUADRANT
   VECTOR TO 48 HR POSIT: 305 DEG/ 02 KTS
    ---
   EXTENDED OUTLOOK:
   48 HRS, VALID AT:
   080000Z --- 9.2S 155.6E
   MAX SUSTAINED WINDS - 095 KT, GUSTS 115 KT
   WIND RADII VALID OVER OPEN WATER ONLY
   RADIUS OF 064 KT WINDS - 030 NM NORTHEAST QUADRANT
                            030 NM SOUTHEAST QUADRANT
                            040 NM SOUTHWEST QUADRANT
                            030 NM NORTHWEST QUADRANT
   RADIUS OF 050 KT WINDS - 050 NM NORTHEAST QUADRANT
                            040 NM SOUTHEAST QUADRANT
                            050 NM SOUTHWEST QUADRANT
                            060 NM NORTHWEST QUADRANT
   RADIUS OF 034 KT WINDS - 130 NM NORTHEAST QUADRANT
                            110 NM SOUTHEAST QUADRANT
                            130 NM SOUTHWEST QUADRANT
                            140 NM NORTHWEST QUADRANT
   VECTOR TO 72 HR POSIT: 270 DEG/ 04 KTS
    ---
   72 HRS, VALID AT:
   090000Z --- 9.2S 154.0E
   MAX SUSTAINED WINDS - 085 KT, GUSTS 105 KT
   WIND RADII VALID OVER OPEN WATER ONLY
   RADIUS OF 064 KT WINDS - 030 NM NORTHEAST QUADRANT
                            030 NM SOUTHEAST QUADRANT
                            030 NM SOUTHWEST QUADRANT
                            040 NM NORTHWEST QUADRANT
   RADIUS OF 050 KT WINDS - 060 NM NORTHEAST QUADRANT
                            050 NM SOUTHEAST QUADRANT
                            050 NM SOUTHWEST QUADRANT
                            060 NM NORTHWEST QUADRANT
   RADIUS OF 034 KT WINDS - 120 NM NORTHEAST QUADRANT
                            120 NM SOUTHEAST QUADRANT
                            150 NM SOUTHWEST QUADRANT
                            130 NM NORTHWEST QUADRANT
   VECTOR TO 96 HR POSIT: 250 DEG/ 05 KTS
    ---
   LONG RANGE OUTLOOK:
    ---
   96 HRS, VALID AT:
   100000Z --- 9.8S 152.1E
   MAX SUSTAINED WINDS - 075 KT, GUSTS 090 KT
   WIND RADII VALID OVER OPEN WATER ONLY
   RADIUS OF 064 KT WINDS - 030 NM NORTHEAST QUADRANT
                            030 NM SOUTHEAST QUADRANT
                            030 NM SOUTHWEST QUADRANT
                            030 NM NORTHWEST QUADRANT
   RADIUS OF 050 KT WINDS - 040 NM NORTHEAST QUADRANT
                            040 NM SOUTHEAST QUADRANT
                            040 NM SOUTHWEST QUADRANT
                            050 NM NORTHWEST QUADRANT
   RADIUS OF 034 KT WINDS - 100 NM NORTHEAST QUADRANT
                            110 NM SOUTHEAST QUADRANT
                            120 NM SOUTHWEST QUADRANT
                            130 NM NORTHWEST QUADRANT
   VECTOR TO 120 HR POSIT: 245 DEG/ 06 KTS
    ---
   120 HRS, VALID AT:
   110000Z --- 10.8S 149.9E
   MAX SUSTAINED WINDS - 070 KT, GUSTS 085 KT
   WIND RADII VALID OVER OPEN WATER ONLY
   RADIUS OF 064 KT WINDS - 020 NM NORTHEAST QUADRANT
                            020 NM SOUTHEAST QUADRANT
                            020 NM SOUTHWEST QUADRANT
                            020 NM NORTHWEST QUADRANT
   RADIUS OF 050 KT WINDS - 030 NM NORTHEAST QUADRANT
                            030 NM SOUTHEAST QUADRANT
                            030 NM SOUTHWEST QUADRANT
                            030 NM NORTHWEST QUADRANT
   RADIUS OF 034 KT WINDS - 080 NM NORTHEAST QUADRANT
                            090 NM SOUTHEAST QUADRANT
                            080 NM SOUTHWEST QUADRANT
                            090 NM NORTHWEST QUADRANT
    ---
REMARKS:
060300Z POSITION NEAR 9.5S 154.9E.
06APR26. TROPICAL CYCLONE 30P (MAILA), LOCATED APPROXIMATELY 683
NM NORTHEAST OF CAIRNS, AUSTRALIA, HAS TRACKED EASTWARD AT 01
KNOTS OVER THE PAST SIX HOURS.
MINIMUM CENTRAL PRESSURE AT 060000Z IS 960 MB. MAXIMUM
SIGNIFICANT WAVE HEIGHT AT 060000Z IS 28 FEET.
NEXT WARNINGS AT 060900Z, 061500Z, 062100Z AND 070300Z.
REFER TO TROPICAL CYCLONE 31P (VAIANU) WARNINGS (WTPS32 PGTW 060300)
FOR SIX-HOURLY UPDATES.//
NNNN
sh3026.gif
30P_060000sair.jpg
20260405_075256_SH302026_mwi_wsfm_89H_66kts_100p00_res1p0-cr100-akima-bgInfrared-Gray.jpeg
MAILA_tc_ec_ens.png
himawari9_vis_30P.gif
回復

使用道具 舉報

簽到天數: 3437 天

[LV.Master]伴壇終老

king111807|2026-4-7 18:42 | 顯示全部樓層
BoM升格澳式C4
Severe Tropical Cyclone Maila, in the Solomon Sea, to move towards the Far North Queensland coast on the weekend.

Area affected
Warning zone
None.

Watch zone
None.

Cancelled zone
None.

At 4:00 pm Australian Eastern Standard Time
At 4:00 pm AEST

Intensity
category 4, sustained winds near the centre of 165 kilometres per hour with wind gusts to 230 kilometres per hour

Location
within 35 kilometres of 9.9 degrees South, 156.4 degrees East, 395 kilometres west of Honiara and 1020 kilometres east of Port Moresby

Movement
slow moving

Severe Tropical Cyclone Maila, 37U, is currently located over the Solomon Sea. The steering influences are nearly balanced and Maila is expected to remain slow moving this evening before it begins turning west southwest during Wednesday.

Maila is expected to remain well away from the Queensland coast during the next few days, but from late week Maila is forecast to be moving towards the Far North Queensland coast. It may cross the Cape York Peninsula during the weekend or early next week.
2fc32e20-bcd3-4fda-ac85-8efd17155aea.png
C4.png
fnv3_30P_ensemble_2026040618.png
ascat_wind_30P_202604062240.png
himawari9_rainbow_30P.gif
回復

使用道具 舉報

簽到天數: 3437 天

[LV.Master]伴壇終老

king111807|2026-4-7 18:54 | 顯示全部樓層
JTWC升格C3

WTPS31 PGTW 070900
MSGID/GENADMIN/JOINT TYPHOON WRNCEN PEARL HARBOR HI//
SUBJ/TROPICAL CYCLONE 30P (MAILA) WARNING NR 010//
RMKS/
1. TROPICAL CYCLONE 30P (MAILA) WARNING NR 010   
   02 ACTIVE TROPICAL CYCLONES IN SOUTHPAC
   MAX SUSTAINED WINDS BASED ON ONE-MINUTE AVERAGE
   WIND RADII VALID OVER OPEN WATER ONLY
    ---
   WARNING POSITION:
   070600Z --- NEAR 9.9S 156.5E
     MOVEMENT PAST SIX HOURS - 045 DEGREES AT 01 KTS
     POSITION ACCURATE TO WITHIN 030 NM
     POSITION BASED ON EYE FIXED BY SATELLITE
   PRESENT WIND DISTRIBUTION:
   MAX SUSTAINED WINDS - 100 KT, GUSTS 125 KT
   WIND RADII VALID OVER OPEN WATER ONLY
   RADIUS OF 064 KT WINDS - 040 NM NORTHEAST QUADRANT
                            040 NM SOUTHEAST QUADRANT
                            035 NM SOUTHWEST QUADRANT
                            030 NM NORTHWEST QUADRANT
   RADIUS OF 050 KT WINDS - 060 NM NORTHEAST QUADRANT
                            060 NM SOUTHEAST QUADRANT
                            055 NM SOUTHWEST QUADRANT
                            050 NM NORTHWEST QUADRANT
   RADIUS OF 034 KT WINDS - 120 NM NORTHEAST QUADRANT
                            100 NM SOUTHEAST QUADRANT
                            115 NM SOUTHWEST QUADRANT
                            115 NM NORTHWEST QUADRANT
   REPEAT POSIT: 9.9S 156.5E
    ---
   FORECASTS:
   12 HRS, VALID AT:
   071800Z --- 9.7S 156.4E
   MAX SUSTAINED WINDS - 105 KT, GUSTS 130 KT
   WIND RADII VALID OVER OPEN WATER ONLY
   RADIUS OF 064 KT WINDS - 030 NM NORTHEAST QUADRANT
                            030 NM SOUTHEAST QUADRANT
                            030 NM SOUTHWEST QUADRANT
                            020 NM NORTHWEST QUADRANT
   RADIUS OF 050 KT WINDS - 050 NM NORTHEAST QUADRANT
                            050 NM SOUTHEAST QUADRANT
                            050 NM SOUTHWEST QUADRANT
                            050 NM NORTHWEST QUADRANT
   RADIUS OF 034 KT WINDS - 110 NM NORTHEAST QUADRANT
                            110 NM SOUTHEAST QUADRANT
                            120 NM SOUTHWEST QUADRANT
                            120 NM NORTHWEST QUADRANT
   VECTOR TO 24 HR POSIT: 290 DEG/ 03 KTS
    ---
   24 HRS, VALID AT:
   080600Z --- 9.5S 155.9E
   MAX SUSTAINED WINDS - 110 KT, GUSTS 135 KT
   WIND RADII VALID OVER OPEN WATER ONLY
   RADIUS OF 064 KT WINDS - 030 NM NORTHEAST QUADRANT
                            030 NM SOUTHEAST QUADRANT
                            040 NM SOUTHWEST QUADRANT
                            030 NM NORTHWEST QUADRANT
   RADIUS OF 050 KT WINDS - 050 NM NORTHEAST QUADRANT
                            050 NM SOUTHEAST QUADRANT
                            050 NM SOUTHWEST QUADRANT
                            050 NM NORTHWEST QUADRANT
   RADIUS OF 034 KT WINDS - 110 NM NORTHEAST QUADRANT
                            120 NM SOUTHEAST QUADRANT
                            130 NM SOUTHWEST QUADRANT
                            130 NM NORTHWEST QUADRANT
   VECTOR TO 36 HR POSIT: 270 DEG/ 04 KTS
    ---
   36 HRS, VALID AT:
   081800Z --- 9.5S 155.0E
   MAX SUSTAINED WINDS - 115 KT, GUSTS 140 KT
   WIND RADII VALID OVER OPEN WATER ONLY
   RADIUS OF 064 KT WINDS - 040 NM NORTHEAST QUADRANT
                            040 NM SOUTHEAST QUADRANT
                            040 NM SOUTHWEST QUADRANT
                            030 NM NORTHWEST QUADRANT
   RADIUS OF 050 KT WINDS - 050 NM NORTHEAST QUADRANT
                            050 NM SOUTHEAST QUADRANT
                            050 NM SOUTHWEST QUADRANT
                            050 NM NORTHWEST QUADRANT
   RADIUS OF 034 KT WINDS - 120 NM NORTHEAST QUADRANT
                            130 NM SOUTHEAST QUADRANT
                            140 NM SOUTHWEST QUADRANT
                            140 NM NORTHWEST QUADRANT
   VECTOR TO 48 HR POSIT: 255 DEG/ 05 KTS
    ---
   EXTENDED OUTLOOK:
   48 HRS, VALID AT:
   090600Z --- 9.7S 154.1E
   MAX SUSTAINED WINDS - 115 KT, GUSTS 140 KT
   WIND RADII VALID OVER OPEN WATER ONLY
   RADIUS OF 064 KT WINDS - 040 NM NORTHEAST QUADRANT
                            040 NM SOUTHEAST QUADRANT
                            040 NM SOUTHWEST QUADRANT
                            040 NM NORTHWEST QUADRANT
   RADIUS OF 050 KT WINDS - 060 NM NORTHEAST QUADRANT
                            050 NM SOUTHEAST QUADRANT
                            050 NM SOUTHWEST QUADRANT
                            060 NM NORTHWEST QUADRANT
   RADIUS OF 034 KT WINDS - 110 NM NORTHEAST QUADRANT
                            130 NM SOUTHEAST QUADRANT
                            150 NM SOUTHWEST QUADRANT
                            140 NM NORTHWEST QUADRANT
   VECTOR TO 72 HR POSIT: 250 DEG/ 06 KTS
    ---
   72 HRS, VALID AT:
   100600Z --- 10.5S 151.9E
   MAX SUSTAINED WINDS - 090 KT, GUSTS 110 KT
   WIND RADII VALID OVER OPEN WATER ONLY
   RADIUS OF 064 KT WINDS - 020 NM NORTHEAST QUADRANT
                            020 NM SOUTHEAST QUADRANT
                            020 NM SOUTHWEST QUADRANT
                            020 NM NORTHWEST QUADRANT
   RADIUS OF 050 KT WINDS - 040 NM NORTHEAST QUADRANT
                            050 NM SOUTHEAST QUADRANT
                            030 NM SOUTHWEST QUADRANT
                            040 NM NORTHWEST QUADRANT
   RADIUS OF 034 KT WINDS - 090 NM NORTHEAST QUADRANT
                            110 NM SOUTHEAST QUADRANT
                            110 NM SOUTHWEST QUADRANT
                            120 NM NORTHWEST QUADRANT
   VECTOR TO 96 HR POSIT: 245 DEG/ 07 KTS
    ---
   LONG RANGE OUTLOOK:
    ---
   96 HRS, VALID AT:
   110600Z --- 11.7S 149.2E
   MAX SUSTAINED WINDS - 075 KT, GUSTS 090 KT
   WIND RADII VALID OVER OPEN WATER ONLY
   RADIUS OF 064 KT WINDS - 025 NM NORTHEAST QUADRANT
                            030 NM SOUTHEAST QUADRANT
                            030 NM SOUTHWEST QUADRANT
                            025 NM NORTHWEST QUADRANT
   RADIUS OF 050 KT WINDS - 045 NM NORTHEAST QUADRANT
                            050 NM SOUTHEAST QUADRANT
                            050 NM SOUTHWEST QUADRANT
                            050 NM NORTHWEST QUADRANT
   RADIUS OF 034 KT WINDS - 100 NM NORTHEAST QUADRANT
                            095 NM SOUTHEAST QUADRANT
                            090 NM SOUTHWEST QUADRANT
                            080 NM NORTHWEST QUADRANT
   VECTOR TO 120 HR POSIT: 250 DEG/ 08 KTS
    ---
   120 HRS, VALID AT:
   120600Z --- 12.7S 146.1E
   MAX SUSTAINED WINDS - 065 KT, GUSTS 080 KT
   WIND RADII VALID OVER OPEN WATER ONLY
   RADIUS OF 064 KT WINDS - 030 NM NORTHEAST QUADRANT
                            030 NM SOUTHEAST QUADRANT
                            020 NM SOUTHWEST QUADRANT
                            015 NM NORTHWEST QUADRANT
   RADIUS OF 050 KT WINDS - 055 NM NORTHEAST QUADRANT
                            055 NM SOUTHEAST QUADRANT
                            055 NM SOUTHWEST QUADRANT
                            040 NM NORTHWEST QUADRANT
   RADIUS OF 034 KT WINDS - 110 NM NORTHEAST QUADRANT
                            100 NM SOUTHEAST QUADRANT
                            080 NM SOUTHWEST QUADRANT
                            080 NM NORTHWEST QUADRANT
    ---
REMARKS:
070900Z POSITION NEAR 9.9S 156.5E.
07APR26. TROPICAL CYCLONE 30P (MAILA), LOCATED APPROXIMATELY 668
NM SOUTH OF KAPINGAMARANGI, HAS TRACKED NORTHEASTWARD AT 01 KNOTS
OVER THE PAST SIX HOURS.
MINIMUM CENTRAL PRESSURE AT 070600Z IS 953 MB. MAXIMUM
SIGNIFICANT WAVE HEIGHT AT 070600Z IS 32 FEET. NEXT WARNINGS AT
071500Z, 072100Z, 080300Z AND 080900Z.
REFER TO TROPICAL CYCLONE 31P (VAIANU) WARNINGS (WTPS32 PGTW)
FOR SIX-HOURLY UPDATES.//
NNNN
sh3026.gif
30P_070600sair.jpg
20260407_033533_SH302026_amsr2_gcom-w1_color37_69kts_100p00_res1p0-cr100-artb89h.jpeg
20260407_033533_SH302026_amsr2_gcom-w1_89H_69kts_100p00_res1p0-cr100-artb89hA-bg.jpeg
MAILA_tc_ec_ens.png
himawari9_rbtop_30P.gif
回復

使用道具 舉報

簽到天數: 3437 天

[LV.Master]伴壇終老

king111807|2026-4-8 06:18 | 顯示全部樓層
JTWC升格C4

WTPS31 PGTW 072100
MSGID/GENADMIN/JOINT TYPHOON WRNCEN PEARL HARBOR HI//
SUBJ/TROPICAL CYCLONE 30P (MAILA) WARNING NR 012//
RMKS/
1. TROPICAL CYCLONE 30P (MAILA) WARNING NR 012   
   02 ACTIVE TROPICAL CYCLONES IN SOUTHPAC
   MAX SUSTAINED WINDS BASED ON ONE-MINUTE AVERAGE
   WIND RADII VALID OVER OPEN WATER ONLY
    ---
   WARNING POSITION:
   071800Z --- NEAR 9.5S 156.0E
     MOVEMENT PAST SIX HOURS - 305 DEGREES AT 04 KTS
     POSITION ACCURATE TO WITHIN 020 NM
     POSITION BASED ON EYE FIXED BY SATELLITE
   PRESENT WIND DISTRIBUTION:
   MAX SUSTAINED WINDS - 125 KT, GUSTS 150 KT
   WIND RADII VALID OVER OPEN WATER ONLY
   RADIUS OF 064 KT WINDS - 040 NM NORTHEAST QUADRANT
                            040 NM SOUTHEAST QUADRANT
                            035 NM SOUTHWEST QUADRANT
                            030 NM NORTHWEST QUADRANT
   RADIUS OF 050 KT WINDS - 060 NM NORTHEAST QUADRANT
                            060 NM SOUTHEAST QUADRANT
                            055 NM SOUTHWEST QUADRANT
                            050 NM NORTHWEST QUADRANT
   RADIUS OF 034 KT WINDS - 120 NM NORTHEAST QUADRANT
                            100 NM SOUTHEAST QUADRANT
                            115 NM SOUTHWEST QUADRANT
                            115 NM NORTHWEST QUADRANT
   REPEAT POSIT: 9.5S 156.0E
    ---
   FORECASTS:
   12 HRS, VALID AT:
   080600Z --- 9.3S 155.6E
   MAX SUSTAINED WINDS - 125 KT, GUSTS 150 KT
   WIND RADII VALID OVER OPEN WATER ONLY
   RADIUS OF 064 KT WINDS - 030 NM NORTHEAST QUADRANT
                            030 NM SOUTHEAST QUADRANT
                            030 NM SOUTHWEST QUADRANT
                            030 NM NORTHWEST QUADRANT
   RADIUS OF 050 KT WINDS - 060 NM NORTHEAST QUADRANT
                            060 NM SOUTHEAST QUADRANT
                            050 NM SOUTHWEST QUADRANT
                            050 NM NORTHWEST QUADRANT
   RADIUS OF 034 KT WINDS - 120 NM NORTHEAST QUADRANT
                            110 NM SOUTHEAST QUADRANT
                            120 NM SOUTHWEST QUADRANT
                            130 NM NORTHWEST QUADRANT
   VECTOR TO 24 HR POSIT: 285 DEG/ 04 KTS
    ---
   24 HRS, VALID AT:
   081800Z --- 9.1S 154.9E
   MAX SUSTAINED WINDS - 120 KT, GUSTS 145 KT
   WIND RADII VALID OVER OPEN WATER ONLY
   RADIUS OF 064 KT WINDS - 040 NM NORTHEAST QUADRANT
                            030 NM SOUTHEAST QUADRANT
                            030 NM SOUTHWEST QUADRANT
                            030 NM NORTHWEST QUADRANT
   RADIUS OF 050 KT WINDS - 060 NM NORTHEAST QUADRANT
                            050 NM SOUTHEAST QUADRANT
                            050 NM SOUTHWEST QUADRANT
                            060 NM NORTHWEST QUADRANT
   RADIUS OF 034 KT WINDS - 120 NM NORTHEAST QUADRANT
                            120 NM SOUTHEAST QUADRANT
                            130 NM SOUTHWEST QUADRANT
                            130 NM NORTHWEST QUADRANT
   VECTOR TO 36 HR POSIT: 260 DEG/ 03 KTS
    ---
   36 HRS, VALID AT:
   090600Z --- 9.2S 154.2E
   MAX SUSTAINED WINDS - 105 KT, GUSTS 130 KT
   WIND RADII VALID OVER OPEN WATER ONLY
   RADIUS OF 064 KT WINDS - 040 NM NORTHEAST QUADRANT
                            030 NM SOUTHEAST QUADRANT
                            030 NM SOUTHWEST QUADRANT
                            030 NM NORTHWEST QUADRANT
   RADIUS OF 050 KT WINDS - 060 NM NORTHEAST QUADRANT
                            050 NM SOUTHEAST QUADRANT
                            050 NM SOUTHWEST QUADRANT
                            060 NM NORTHWEST QUADRANT
   RADIUS OF 034 KT WINDS - 120 NM NORTHEAST QUADRANT
                            120 NM SOUTHEAST QUADRANT
                            140 NM SOUTHWEST QUADRANT
                            130 NM NORTHWEST QUADRANT
   VECTOR TO 48 HR POSIT: 250 DEG/ 06 KTS
    ---
   EXTENDED OUTLOOK:
   48 HRS, VALID AT:
   091800Z --- 9.6S 153.1E
   MAX SUSTAINED WINDS - 090 KT, GUSTS 110 KT
   WIND RADII VALID OVER OPEN WATER ONLY
   RADIUS OF 064 KT WINDS - 030 NM NORTHEAST QUADRANT
                            030 NM SOUTHEAST QUADRANT
                            020 NM SOUTHWEST QUADRANT
                            030 NM NORTHWEST QUADRANT
   RADIUS OF 050 KT WINDS - 050 NM NORTHEAST QUADRANT
                            050 NM SOUTHEAST QUADRANT
                            050 NM SOUTHWEST QUADRANT
                            050 NM NORTHWEST QUADRANT
   RADIUS OF 034 KT WINDS - 110 NM NORTHEAST QUADRANT
                            110 NM SOUTHEAST QUADRANT
                            140 NM SOUTHWEST QUADRANT
                            120 NM NORTHWEST QUADRANT
   VECTOR TO 72 HR POSIT: 245 DEG/ 07 KTS
    ---
   72 HRS, VALID AT:
   101800Z --- 10.8S 150.7E
   MAX SUSTAINED WINDS - 075 KT, GUSTS 090 KT
   WIND RADII VALID OVER OPEN WATER ONLY
   RADIUS OF 064 KT WINDS - 020 NM NORTHEAST QUADRANT
                            020 NM SOUTHEAST QUADRANT
                            010 NM SOUTHWEST QUADRANT
                            000 NM NORTHWEST QUADRANT
   RADIUS OF 050 KT WINDS - 040 NM NORTHEAST QUADRANT
                            030 NM SOUTHEAST QUADRANT
                            030 NM SOUTHWEST QUADRANT
                            030 NM NORTHWEST QUADRANT
   RADIUS OF 034 KT WINDS - 090 NM NORTHEAST QUADRANT
                            090 NM SOUTHEAST QUADRANT
                            080 NM SOUTHWEST QUADRANT
                            100 NM NORTHWEST QUADRANT
   VECTOR TO 96 HR POSIT: 245 DEG/ 07 KTS
    ---
   LONG RANGE OUTLOOK:
    ---
   96 HRS, VALID AT:
   111800Z --- 12.0S 148.2E
   MAX SUSTAINED WINDS - 070 KT, GUSTS 085 KT
   WIND RADII VALID OVER OPEN WATER ONLY
   RADIUS OF 064 KT WINDS - 000 NM NORTHEAST QUADRANT
                            000 NM SOUTHEAST QUADRANT
                            000 NM SOUTHWEST QUADRANT
                            010 NM NORTHWEST QUADRANT
   RADIUS OF 050 KT WINDS - 020 NM NORTHEAST QUADRANT
                            030 NM SOUTHEAST QUADRANT
                            020 NM SOUTHWEST QUADRANT
                            020 NM NORTHWEST QUADRANT
   RADIUS OF 034 KT WINDS - 080 NM NORTHEAST QUADRANT
                            070 NM SOUTHEAST QUADRANT
                            060 NM SOUTHWEST QUADRANT
                            050 NM NORTHWEST QUADRANT
   VECTOR TO 120 HR POSIT: 245 DEG/ 07 KTS
    ---
   120 HRS, VALID AT:
   121800Z --- 13.0S 145.7E
   MAX SUSTAINED WINDS - 065 KT, GUSTS 080 KT
   WIND RADII VALID OVER OPEN WATER ONLY
   RADIUS OF 064 KT WINDS - 000 NM NORTHEAST QUADRANT
                            000 NM SOUTHEAST QUADRANT
                            000 NM SOUTHWEST QUADRANT
                            010 NM NORTHWEST QUADRANT
   RADIUS OF 050 KT WINDS - 020 NM NORTHEAST QUADRANT
                            030 NM SOUTHEAST QUADRANT
                            020 NM SOUTHWEST QUADRANT
                            020 NM NORTHWEST QUADRANT
   RADIUS OF 034 KT WINDS - 080 NM NORTHEAST QUADRANT
                            070 NM SOUTHEAST QUADRANT
                            060 NM SOUTHWEST QUADRANT
                            050 NM NORTHWEST QUADRANT
    ---
REMARKS:
072100Z POSITION NEAR 9.5S 155.9E.
07APR26. TROPICAL CYCLONE 30P (MAILA), LOCATED APPROXIMATELY 743
NM NORTHEAST OF CAIRNS, AUSTRALIA, HAS TRACKED NORTHWESTWARD AT
04 KNOTS OVER THE PAST SIX HOURS.
MINIMUM CENTRAL PRESSURE AT 071800Z IS 930 MB. MAXIMUM
SIGNIFICANT WAVE HEIGHT AT 071800Z IS 38 FEET. NEXT WARNINGS AT
080300Z, 080900Z, 081500Z AND 082100Z.REFER TO TROPICAL CYCLONE 31P
(VAIANU) WARNINGS (WTPS32 PGTW) FOR SIX-HOURLY UPDATES.//
NNNN
sh3026.gif
30P_071800sair.jpg
30P_BW.png
30P_TRUECOLOR.png
30P_AWV.png
fnv3_30P_ensemble_2026040712.png
himawari9_rbtop_30P.gif
回復

使用道具 舉報

簽到天數: 3437 天

[LV.Master]伴壇終老

king111807|2026-4-8 06:34 | 顯示全部樓層
BoM升格澳式C5

Severe Tropical Cyclone Maila, in the Solomon Sea, to move towards the Far North Queensland coast on the weekend.

Area affected
Warning zone
None.

Watch zone
None.

Cancelled zone
None.

At 4:00 am Australian Eastern Standard Time
At 4:00 am AEST

Intensity
category 5, sustained winds near the centre of 215 kilometres per hour with wind gusts to 295 kilometres per hour

Location
within 30 kilometres of 9.6 degrees South, 156.1 degrees East, 425 kilometres west of Honiara and 980 kilometres east of Port Moresby

Movement
slow moving

Severe Tropical Cyclone Maila, 37U, is currently located over the Solomon Sea. The steering influences are nearly balanced and Maila is expected to remain slow moving tonight before it begins turning west southwest overnight Wednesday.

Maila is expected to remain well away from the Queensland coast during the next few days, but from late week Maila is forecast to be moving towards the Far North Queensland coast. It may cross the Cape York Peninsula during the weekend or early next week.
9cf70af4-17f1-4ac4-841c-e2876138a9d1.png
C5.png
20260407_174700_SH302026_ssmis_F18_color91_115kts_100p00_res1p0-cr100-arH91-bgIn.jpeg
ir0.gif
vis0.gif
MAILA_tc_ec_ens.png
himawari9_rainbow_30P.gif
回復

使用道具 舉報

簽到天數: 582 天

[LV.9]以壇為家II

蜜露|2026-4-8 12:56 | 顯示全部樓層




巴布亞紐幾內亞的區域命名 比較罕見..

30P_CA_20260407093000.png

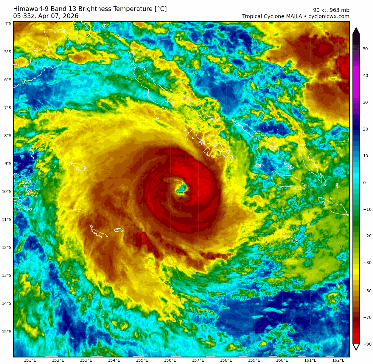
巔峰左右的圖 大概是長這樣  澳式Cat.5  115kts  差不就普通強颱水準.

e544e78a-7fa1-492f-a5b4-420938970912.jpg

5eb8e017-e362-43a3-adc6-22dc4eba57c2.png

30P_CA.png


目前強度逐漸減弱....移速緩慢  繞圈圈像冷水上翻


回復

使用道具 舉報

快速回覆
您需要登錄後才可以回帖 登錄 | 立即加入

本版積分規則

本平台僅供學術討論之用,預報應以氣象局為準

威普網站虛擬主機贊助公司

臺灣第一個天氣類型社群平台 即時天氣資訊、精準颱風動態

線上客服
FB傳送訊息
廣告行銷
精準行銷 物超所值
官方粉專
發佈 快速回復 返回頂部 返回列表