開啟輔助訪問
 找回密碼
 立即加入

1319 天兔(Usagi) 颱風總回顧

簽到天數: 241 天

[LV.8]以壇為家I

2013-9-23 19:38 | 顯示全部樓層
本帖最後由 krichard2011 於 2014-8-15 14:00 編輯

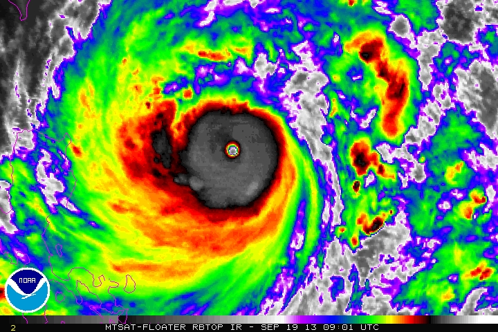
20130919.1132.mtsat2.x.ir1km.17WUSAGI.140kts-918mb-182N-1273E.100pc.jpg
1319 - 天兔颱風 Typhoon Usagi (2013.09.15 ~ 2013.09.23)
存活期間   :2013.09.15 ~ 2013.09.23
警報發布日期 :2013.09.19 23:20 ~ 2013.09.22 14:30
巔峰強度   :強烈颱風 (JTWC:Cat.5, JMA:猛烈な)
近中心最大風速:55 m/s (JTWC:140 kts, JMA:110 kts)
瞬間最大風速 :68 m/s (JTWC:170 kts, JMA:155 kts)
中心最低氣壓 :910 hPa
最大暴風半徑 :280/120 Km
(7級風/10級風)

零、目錄
壹、擾動篇
貳、颱風篇
參、影響地區
肆、天氣觀測記錄(風速、雨量、浪高)
伍、天兔颱風路徑總回顧
陸、天兔颱風極盛時期
柒、天兔颱風相關影片動畫
捌、參考資料及其他
玖、台灣颱風論壇─天兔颱風相關文章推薦


說明:由於圖片過多,因此採用連結的方式呈獻。
【圖A.論B-C】
A=圖片編號 B=天兔颱風討論帖樓層數 C=第B樓第C張圖
EX. 【圖4.論29-1】即為第29樓第1張圖

天兔颱風討論帖:http://twtybbs.com/thread-5397-1-1.html

評分

參與人數 11水氣能量 +1032 風力強度 +4 雲層高度 +2 收起 理由
黄罗彦 + 2 有趣!
正宜27 + 15 贊一個!
abcdefg60317 + 15 這個不贊不行!
帥神 + 70 贊一個!
king111807 + 100 很給力!

查看全部評分

簽到天數: 241 天

[LV.8]以壇為家I

krichard2011|2013-9-23 19:42 | 顯示全部樓層
壹、擾動篇
9/15 1~11樓
  位於菲律賓東方的大片低壓槽,於下午2點被NRL編號為99W,擾動編號初期,大氣環境大致上還算不錯,對流發展旺盛,且初具良好螺旋性。

9/16 12~36樓
  窩度加深,JTWC於早上將99W的評級提升為LOW【圖1.論14】,而JMA於台灣時間08點發表GW的訊息【圖2.論15】。由於結構逐漸轉佳,中心對流發展旺盛,JTWC也很快的在中午左右針對99W發出TCFA【圖3.論18】。入夜之後,中心對流爆發,CDO逐漸成型【圖4.論29-1】,窩度漸泛白且渾圓【圖5.論29-2】,螺旋性略佳。

9/17 37~39 樓
  JMA於台灣時間凌晨兩點,將99W升格為今年第19號颱風天兔。


回復

使用道具 舉報

簽到天數: 241 天

[LV.8]以壇為家I

krichard2011|2013-9-23 20:09 | 顯示全部樓層
貳、颱風篇
9/17 40~80樓
  中央氣象局於凌晨兩點也與JMA同步,發表輕度颱風成型的消息【圖6.論42】,並且預測將從呂宋島北方近海通過,各數值模式也普遍指向巴士海峽與恆春半島之間通過,不過南北分歧仍大,早上八點CWB將預測陸徑略為北修至恆春半島近海通過,與JTWC預測的預測路徑大致類似,此時JTWC強度上看Cat.2【圖7.論48-1】
  結構方面,當天並不太優,LLCC也有裸露的情況【圖8.論48-2】,還需要更近一步整合。下午JTWC預測路徑略為北偏至屏東與台東之間登陸【圖9.論53】,而JMA仍預測通過巴士海峽以南【圖10.論54】,這段期間,颱風移動速度相當緩慢,甚至有滯留打轉的情形。
  入夜之後,對流再度引爆【圖11.論73】,加上收微水氣相當豐沛,與西南氣流的加持之下,深層對流也逐漸覆蓋中心,LLCC裸露的問題也因此得到改善,晚間颱風強度也有微幅增強。不過此時各機構預測路徑南北分歧還是很大,從以巴士海峽以南至登陸的預測路徑都有,不過晚間最新一報各機構也有逐漸北修的趨勢。

9/18 81~143樓
  對流續爆,CDO也初具一定規模【圖12.論81】,各機構也略為北修一些,預測路徑趨於一致,預測將從恆春近海附近通過。由於行徑非常緩慢,因此在海上吸收了不少水氣,加上環境適合,整體結構已逐漸趨於完整,早上的底層掃瞄也可以看出,底層風眼已經建立得差不多【圖13.論88】,這也為天兔颱風強度發癲正式鋪路。
  此後,JTWC在最新一爆上修了天兔颱風的預測強度,預測顛峰強度來到了Cat.3,而強度也來到了55kts,並且預測登陸台灣南端。之後JMA將天兔颱風升格為強烈熱帶風暴(STS)【圖14.論91】,CWB上午最新一報也略為北調至中心擦過恆春半島。入夜之後,對流又再度爆發,高層眼也逐漸成型【圖15.論115-1】,底層結構相當的完整,從多頻掃描中也可以看出,小而扎實的底層風眼【圖16.論115-2】,似乎也預告著,天兔颱風強度將猛爆增強,從風場掃描中也可以見到他的風場相當的廣【圖17.論117】,氣勢上已十分嚇人。
  晚間,JMA風速提升至65kt,此後CWB也更進,將天兔颱風升格成為中度颱風,近中心風速來到33m/s,爆風圈也略為擴大至200km,並且預測像西北西進行,以非常靠近的距離中心擦過或登陸恆春半島【圖18.論128】。越晚,天兔颱風的結構就越完整,晚間最新得多頻掃描掃到的風演更加犀利【圖19.論130】,由於雲圖上的風眼以漸趨明顯,ADT也開始出現跳動的情形,JTWC在晚間最新一報,正式將天兔升格Cat.1【圖20.論138】,JMA之後也調高了天兔的強度。

9/19 144~251樓 - 極盛期
  凌晨,天兔颱風仍在台灣東南方海面短暫向西北西移動,CDO持續爆發,大至上已發展出完整而厚實的CDO,其中甚至開始發展出CDG環,風眼小而清晰【圖21.論148-5】,天兔颱風的強度發展開始邁向最高峰,各機構的預測路徑大致經過台灣南端到進海之間【圖22.論148-1】
  早上,JTWC最新一報,又將天兔颱風的強度提升到90kts Cat.2,顛峰更是上看Cat.4,各機構預測路徑大致是從恆春半島近海通過,各機構在北偏的幅度,仍有一些分歧【圖23.論158-1】,不過幅度不是很大。颱風的結構仍在不斷的增強,結構越變越扎實,最新一張多頻掃描,CDO已經非常的結實【圖24.論160】【圖25.論167-2】,從可見光來看【圖26.論166】,風眼小而清晰,是個針眼颱風,想必近中心的風速相當的可觀,不過早上JMA的最新一報,還並未有更進一步的增強,不過路徑方面各機構包含CWB接有些許南調,至恆春近海通過。
  由於天兔颱風處在的區域,環境相當優越,加上本身良好的低層幅合與不錯的高層幅散,天兔颱風的強度仍在繼續爆發當中,從最新一張CIMSS的為掃描中,颱風的眼牆出奇的結實【圖27.論169】,已經很有上看Cat.5的架勢。路徑方面,由於北方的高壓勢力強大,加上北方的槽線還沒有很強【圖28.論170-1】,因此無法有效打擊副壓,導致天兔颱風以比較偏西的方向進行,偏北的角度不明顯,各機構的預測路徑也普遍指向經過恆春近海,走幾年前杜鵑颱風的路線。
  颱風結構完美,JMA於下午也急升了天兔颱風的強度,近中心最大風速來到了中度颱風的上限,並且強度上看猛烈,隨後JTWC更高頻率上調天兔颱風的強度,從一開始105kts->115kts->120kts到最後直接升上140kts(Cat.5),成為今年地球第一個強度Cat.5的熱帶氣旋,從Cat.1花不到一天增強為Cat.5熱帶氣旋真的是很不簡單,最近的熱帶氣旋似乎都很喜歡玩這種短時間強度猛暴的把戲,不過CWB在下午那報,強度只升到中度颱風的上限,近中心風速來到48m/s(詳請看第190樓),直到晚上才正式升格為強烈颱風,且近中心風速罕見地跳過了51m/s直接跳到53m/s,由此可知,天兔颱風增強的相當快速。入夜之後,天兔颱風又開始發展出完整又變態的CDG【圖29.論207-2】【圖30.論215-1】【圖31.論239】,風眼變得比之前還要更清楚,颱風的強度正一步一步的邁向巔峰,且風場十分寬廣【圖32.論219】【圖33.論236】,此時稱他是隻暴力兔,一點也不為過。此後中央氣象局,於深夜11:30針對台灣東部海域及巴士海峽【圖34.論240】,發布海上颱風警報。

9/20 252~338樓 –極盛期
  隔天凌晨兩點,中央氣象局,最新一報強度又增強到了55m/s,中心氣壓降到了910hPa,這強度算是滿強的了。接著中央氣象局在早上8:30也針對台灣南部地區與綠島蘭嶼發布陸上颱風警報,到了下午,蘭嶼已有明顯強陣風,傍晚甚至颳起破表的17風以上65.3m/s【圖35.論307】,然而,天兔颱風的7級風暴風半徑還並未勾到蘭嶼,可見天兔颱風的強風區十分廣大。
  從下午的底層掃瞄可以看得出來,天兔颱風已經開始出現明顯的雙眼牆,眼牆置換的過程也宣告開始,這也就代表著,天兔颱風的巔峰已經過了,強度開始由盛轉衰。此時各機構,預測路徑大致從恆春近海通過,走杜鵑颱風的路線。晚間最新的KMA探空圖,可以看出,北方的副高,雖然有稍微減弱,不過幅度還是有限,因此天兔颱風還是以西北西偏西的方式在移動,此時速度有稍微加快,不像前幾天,幾乎都賴在差不多的地方。
  深夜,從中央氣象局的雷達回波,大致也可以依稀看到颱風的眼牆了,7級風暴風圈也逐漸開始接觸陸地【圖36.論335】

9/21 339~390 樓
  隔天凌晨,眼牆置換仍沒有成功,雙眼牆的問題仍繼續存在著【圖37.論348-1】,中央氣象局,也於凌晨兩點的那報下修天兔颱風的強度為53m/s,不過仍然是隻強度很強的強烈颱風,暴風圈也於凌晨逐漸接觸台灣南部陸地【圖38.論349】。早上颱風中心經過巴士海峽巴士古島,其測到912hPa最低氣壓,與平均風49m/s,數據也是滿驚人的,此時其回波也逐漸掃到台灣南部地區,東半部因處迎風面,也開始出現地型性的劇烈降雨【圖39.論356】,因此中央氣象局也針對了整個東半部與屏東恆春等地發出超大豪雨特報。
  下午起,颱風逐漸經過台灣南部海面,北部,因地型效應,也有強陣風出現,其實這從前一天發布颱風警報的時候,就已經開始呼籲北台灣,可能會出現10級以上的強陣風發生的機率,不過還好,颱風的路徑比預期的還要偏南,因此10級風暴分圈並沒有真正進入台灣陸地,傷害也較小一點,不過恆春在這一天還是有錄到最大瞬間陣風14級。接著HKO也在晚間對香港地區發出三號風球。

9/22 391~437 樓
  凌晨時分,颱風位在台灣西南方海面上,持續向西北西,向香港地區接近,期結構稍微受到陸地的破壞,因此結構上已沒有之前這麼完美,加上演牆置換沒有成功,因此強度仍無法回升,中央氣象局也下修了颱風的強度,強度降為中度颱風上限,廣東地區的雷達也能清楚看到天兔颱風全貌【圖40.論410】,不過期時從雷達來看他的底層結構的話,他的結構期時也沒有很差,雖然已降為中颱上限,不過強度依然不可小覷。
  下午起,廣東部分地區開始逐漸進入天兔颱風的暴風圈,中央氣象局也已於下午兩點半解除對台灣本島的海上與陸上颱風警報。
  入夜之後颱風正式登陸,廣東省汕尾市【圖41.論427】,登陸的期間甚至測到了嚇人的74.7m/s,相當可怕,此後港澳地區也陸續出現明顯風雨。

9/23 438~
  颱風深入陸地,雲系逐漸瓦解,減弱為輕度颱風,並於下午2:30正是減弱為熱帶性低氣壓,天兔颱風的傳奇就此告終。


回復

使用道具 舉報

簽到天數: 241 天

[LV.8]以壇為家I

krichard2011|2013-9-23 20:17 | 顯示全部樓層
參、影響地區
一、台灣
(一)死傷統計:
1.總計:0人死亡 0人失蹤 12人受傷
        (1)金門縣:12人受傷

(二)交通設施災情:
1.省道:中斷三處,預警封閉5處(另鄉道1處)
2.台鐵:停駛160班
3.海運:停航116班
4.飛航:國內取消12航班 國際取消82航班

(三)民生設施災情:
1.電力:停電89896戶
2.自來水:停水6710戶
3.市話:中斷4500戶
4.基地台:受損161座
5.水利、淹水災情:水利設施受損1處 淹水8處
6.疏散收容:3349人
7.農業損失:229萬元

(四)預警統計
1.土石流紅色警戒:42條
        (1)桃園縣:5條
        (2)高雄市:5條
        (3)宜蘭縣:2條
        (4)花蓮縣:5條
        (5)台東縣:14條
        (6)屏東縣:11條

2.土石流黃色警戒:598條
        (1)桃園縣:25條
        (2)新竹縣:26條
        (3)南投縣:82條
        (4)高雄市:72條
        (5)宜蘭縣:85條
        (6)花蓮縣:108條
        (7)台東縣:146條
        (8)屏東縣:54條

二、中國大陸
相關新聞:天兔颱風離開台灣後,昨天晚上開始在香港和大陸廣東省發威,目前已釀成25死,包括廣東等沿海地區,全都籠罩在天兔的威脅下,像是汕頭老城區幾乎全淹,路樹被連根拔起,電線桿也都橫躺在地,大陸記者連線時站都站不穩,連說話都很勉強,幸好天兔颱風在登陸廣東後,強度已轉減弱為熱帶低壓。

大陸記者:「隨著天兔的登陸,外面的風勢越來越大,像我這樣站立都非常困難。」

大陸記者連線搖搖擺擺,強風暴雨絲豪不留情面,電線桿的燈還亮著,但卻不是站,而是橫躺在馬路中央。大陸記者:「汕尾陸豐市區裡面,風雨已經是非常的猛烈,那麼我們現在站在這個路面上,不時呢…不時會有這個風…。」

風雨真的太猛烈,連一句話都講不完整,天兔吹進廣東,從汕頭到汕尾,從夜晚到白天,全在它的籠罩之下,被吹垮的招牌碎片掉滿地,停在路邊的轎車,也遭池魚之殃,被掉落的招牌砸中,雖然魔鬼兔的威力已持續減弱,但瞧瞧路旁的行道樹連根都被拔起,東倒西歪,天兔還沒登陸廣東之前,先撲向香港,也引發一波波騷動。

大陸記者:「海面上的風浪非常的巨大,呃啊…。」

一片大浪打上岸,大陸記者受到小小驚嚇,從台灣、香港,如今再到大陸,天兔所到之處一片狼籍。
港澳地區
相關新聞:
天兔颱風直撲香港,導致今天港台往返的班機,一共13個航班受到影響,不論是滯留香港的旅客,還是在台灣等待前往香港的民眾,只能在機場苦苦等候,滑滑手機打發時間,甚至有人累到直接在大廳沙發,躺著呼呼大睡。

紙板上斗大寫著「我要回台北、我要去上課」,不只無奈,小朋友和大人們都累壞了。返台滯港旅客:「如果我趕不及,後面幾天都滿座,我整個星期都回不去上學。」

航班看板上滿江紅,大大的紅字「取消」,台灣遊客滯留香港,回家的路遙遙無期。返台滯港旅客:「我們排在160號左右,那昨天差不多排到70號左右,所以我猜今天上飛機的機會不大。」

沒辦法搭上飛機的旅客,索性直接躺在地上呼呼大睡起來,香港亂,桃園機場也好不到哪裡去,旅客們拖著行李,排著長長隊伍等待補位,因為天兔颱風持續朝香港前進,港台一共13個航班受到影響。赴港旅客:「大概7點多就到了。」記者:「那航空公司沒通知你喔?」赴港旅客:「航空公司沒通知。」

赴港旅客:「沒辦法也不能遠離,因為不一定,怕改幾點的航班。」

沒補到位的民眾,只能在機場大廳苦苦等候,撐著臉頰發呆放空,不然就是滑滑手機,天兔颱風大攪局,所有滯留的旅客要平安返家,恐怕還有得等。
、菲律賓
相關新聞:
【大紀元2013年09月24日訊】(大紀元記者韓婕綜合報導)
今年第18號颱風天兔(Usagi),雖然沒有直接登陸菲律賓,但掠過北部後引進大量雨量,已經造成首都馬尼拉幾乎全泡在水裡,目前已知造成20人死亡,近5萬人被疏散;而在東南亞地區因天兔颱風死亡人數已達47人。

受到西南季風及天兔颱風餘勁夾擊,菲律賓北部地區星期一(23日)降下豪雨,以三描禮士省(Zambales)災情最為慘重。在菲律賓北部的呂宋島,海邊掀起滔天巨浪,颱風中心風速估計達到每小時205公里,位於馬尼拉西北的蘇碧鎮水深及胸,有大批民眾被困,還在屋頂等候救援。
菲律賓官員表示,至少7人失蹤,救援人員正在搜救中。大馬尼拉地區多座城市因為淹水停課,部分政府機關也暫停辦公。

菲律賓天氣預報員表示,天兔颱風是菲律賓自2010年以來首次發佈的四級強颱警報。

回復

使用道具 舉報

簽到天數: 241 天

[LV.8]以壇為家I

krichard2011|2013-9-23 20:55 | 顯示全部樓層
肆、天氣觀測記錄(風速、雨量、浪高)
一、台灣
1.台灣各地區最大平均風與瞬間最大陣風排行 單位: m/s(級)
風速.PNG
資料來源:中央氣象局  整理製表 By krichard2011(KingChard)

2.09.20 00:00 ~ 09.22 19:00 累積雨量前二十五名 單位:mm
2013-09-22_1900.QZL[1].jpg
總雨量.JPG
資料來源:中央氣象局  整理製表 By krichard2011(KingChard)

更多雨量資料請見:http://twtybbs.com/thread-5433-1-1.html
以上資料彙整 By ben811018 大

3.最大浪高:
台東大武沿海 9/21 07:00 - 11.6 m

二、中國大陸
1.天兔颱風登陸時所測得瞬間最大陣風 單位:m/s(級)
風速-廣東.PNG
以上資料由會員logdog大大提供(天兔颱風討論帖438#)
整理製圖 By krichard2011(KingChard)



回復

使用道具 舉報

簽到天數: 241 天

[LV.8]以壇為家I

krichard2011|2013-9-23 21:32 | 顯示全部樓層
伍、天兔颱風路徑總回顧
1.jpg
製圖 By krichard2011(KingChard)

陸、天兔颱風極盛時期
20130919.1132.mtsat2.x.ir1km.17WUSAGI.140kts-918mb-182N-1273E.100pc.jpg
1750120laqxmf8m81vtzqq.jpg
回復

使用道具 舉報

簽到天數: 241 天

[LV.8]以壇為家I

krichard2011|2013-9-23 21:49 | 顯示全部樓層
柒、天兔颱風相關影片與動畫
1.天兔颱風 NRL色調強化衛星雲圖 生死全記錄 請使用高畫質

2.天兔颱風 中央氣象局 雷達回波 請使用高畫質
注:因個人疏失,09/21 18:22 ~ 09/21 21:37沒有下載到,因此畫面可能有一段大幅度跳動請見諒...

回復

使用道具 舉報

簽到天數: 241 天

[LV.8]以壇為家I

krichard2011|2013-9-23 22:09 | 顯示全部樓層
捌、參考資料及其他

一、參考資料
1.中央氣象局(CWB)http://www.cwb.gov.tw/V7/
2.日本氣象廳(JMA)http://www.jma.go.jp/jma/index.html
3.聯合颱風警報中心(JTWC)http://anonymouse.org/cgi-bin/an ... usno.navy.mil/JTWC/
4.台灣颱風論壇版友回覆內容http://twtybbs.com/thread-5397-1-1.html
5.歐洲中長期西北太平洋數值預報(ECMWF)http://www.ecmwf.int/
6.美國海軍研究實驗室(NRL)http://199.9.2.143/TC.html
7.麥迪遜─威斯康辛大學熱帶氣旋網頁(CIMSS)http://tropic.ssec.wisc.edu/
8.韓國氣象廳(KMA)http://web.kma.go.kr/chn/index.jsp
9.UnisysWeather http://weather.unisys.com/hurricane/
10.Wunderground.com http://www.wunderground.com/tropical/
11.香港天文台(HKO)http://www.weather.gov.hk/contentc.htm
12.中國氣象局(CMA)http://www.cma.gov.cn/
13.中央災害應變中心 - 颱洪專區 http://eoc.nfa.gov.tw/eoc/index.aspx?ID=33

二、其他
1.以上長篇回顧乃由我krichard2011(KingChard)在此,我要真摯感謝論壇裡的版友熱烈的回復,讓我得以有充足的資料可以發揮,這是我在貴論壇第一次發表如此長篇的文章,請大家多多指教,再一次感謝大家!

2.以下純屬娛樂
此外,在此颱風來襲前,更有台灣的一名繪師ZAX,在噗浪發表一篇貼文,塑造出了天兔颱風的最初形象。隨後也有多位繪師,也一同加入將天兔颱風擬人化的行列。
300px-ZAXUSAGITAIPHONE.jpg
詳情請看萌娘百科 天兔颱風篇 http://zh.moegirl.org/%E5%8F%B0%E9%A3%8E%E5%A4%A9%E5%85%94


回復

使用道具 舉報

12下一頁
快速回覆
您需要登錄後才可以回帖 登錄 | 立即加入

本版積分規則

本平台僅供學術討論之用,預報應以氣象局為準

威普網站虛擬主機贊助公司

臺灣第一個天氣類型社群平台 即時天氣資訊、精準颱風動態

線上客服
FB傳送訊息
廣告行銷
精準行銷 物超所值
官方粉專
發佈 快速回復 返回頂部 返回列表